Der Marktgemeinderat Zapfendorf hat in seiner Sitzung am 20.06.2024 gemäß (gem.) § 2 Abs. 1 BauGB (Baugesetzbuch) die Durchführung des Verfahrens zur
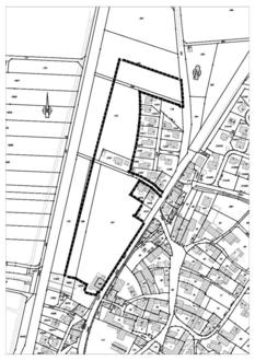
im Bereich des Bebauungs- und Grünordnungsplanes (BBP/GOP) „Unterleiterbach - West“ beschlossen. Der Änderungsgeltungsbereich liegt vollflächig in der Gemarkung (Gmkg.) Unterleiterbach, wird
| im Norden | durch das Grundstück mit der Flur - Nummern (Fl.-Nr.) 248 (Flächen für die Landwirtschaft, Acker), |
| im Süden | durch die Grundstücke mit den Fl.-Nr. 169/2 und 167/9 (beides Brach-, Ruderal-, Lager-, Baustelleneinrichtungsflächen) bzw. 154/7 (Lichtenfelser Straße und Unterbrunner Weg, Fahrbahn mit Gehweg), |
| im Westen | durch die Grundstücke mit den Fl.-Nr. 169 (Flächen für die Landwirtschaft, Acker), 172 (Wirtschaftsweg), 175 (Fläche für die Landwirtschaft, Grünlandfläche), 249 (Wirtschaftsweg) und 248 (Flächen für die Landwirtschaft, Ackerflächen) sowie |
| im Osten | durch die Grundstücke mit den Fl.-Nr. 250 (Michael - Küchel - Straße), 174 (noch nicht bebautes Privatgrundstück), 174/1 und 172/7 - 172/13 und 173 (alles Privatgrundstücke mit Wohngebäuden, Nebenanlagen, Gartenflächen), 154/1 (Lichtenfelser Straße/ St 2197), 167/5, 167/8 und 167/7 (alle drei Privatgrundstücke mit Wohngebäuden, Nebenanlagen, Gartenflächen) |
begrenzt und umfasst voll- bzw. teilflächig (TF) die Grundstücke mit den Fl.-Nr. 166, 167, 169 (TF), 172 (TF), 175 (TF), 175/1, 248 (TF) und 249 (TF).
Es ist beabsichtigt, die bisherigen Darstellungen des wirksamen FNP/LSP (Flächen für die Landwirtschaft, Flächen für Gemeinbedarf) in Wohnbauflächen (§ 5 Abs. 2 Nr. 1 BauGB), in Flächen für die Abwasserbeseitigung mit der Zweckbestimmung Regenwasserrückhaltung (§ 5 Abs. 2 Nr. 4 BauGB) und in Grünflächen mit der Zweckbestimmung Ortsrandeingrünung/-durchgrünung (§ 5 Abs. 2 Nr. 4 BauGB) zu ändern.
Der Planvorentwurf in der Fassung vom 20.06.2024 wurde vom Marktgemeinderat Zapfendorf in der Sitzung am 20.06.2024 für die frühzeitige Öffentlichkeits-, Träger- und Behördenbeteiligung gem. §§ 3 Abs. 1 und 4 Abs. 1 BauGB bestimmt.
Die FNP-/LSP - Änderung erfolgt im Parallelverfahren gem. § 8 Abs. 3 BauGB mit dem BBP/GOP „Unterleiterbach - West“. Der Aufstellungsbeschluss sowie die frühzeitige Öffentlichkeitsbeteiligung für den BBP/GOP „Unterleiterbach - West“ wurden gesondert öffentlich bekannt gemacht.
Der Planvorentwurf bestehend aus der Planurkunde und der Planbegründung (mit Angaben zum Umweltbericht) jeweils in der Fassung vom 20.06.2024 ist in der Zeit vom
08.07.2024 bis 09.08.2024
auf der Internetseite des Marktes Zapfendorf unter folgendem Link online/digital einsehbar/ zugänglich:
https://www.zapfendorf.de/meine-gemeinde/bauen-wohnen/laufende-bauleitplanverfahren
Zusätzlich sind die vorgenannten Unterlagen auch im Geoportal Bayern unter folgendem Link online/digital einsehbar/zugänglich:
https://www.geoportal.bayern.de/bauleitplanungsportal
Zusätzlich liegen die vorgenannten Planunterlagen auch im Rathaus der Marktgemeinde Zapfendorf (Obergeschoss, Zimmer 14, Herrngasse 1, 96199 Zapfendorf) zu den allgemein bekannten Dienst-/ Öffnungszeiten öffentlich aus, sind dort öffentlich zugänglich und können hier in Papierform eingesehen werden können. Während der vorgenannten Auslegungsfrist können beim Markt Zapfendorf Anregungen/Hinweise zur FNP-/LSP - Änderung im Bereich des BBP/GOP „Unterleiterbach - West“ persönlich/mündlich, fernmündlich, schriftlich (auch digital) vorgebracht werden.
Die Verarbeitung personenbezogener Daten erfolgt auf der Grundlage des Art. 6 Abs. 1 e DSGVO (Datenschutz - Grundverordnung) i. V. m. § 3 BauGB und dem BayDSG (Bayerisches Datenschutzgesetz). Stellungnahmen ohne vollständige Absenderangaben erhalten keine Mitteilung über das Ergebnis der Prüfung. Weitere Informationen können dem Formblatt „Datenschutzrechtliche Informationspflichten im Bauleitplanverfahren“ entnommen werden, das ebenfalls öffentlich ausliegt.