Titel Logo
Mitteilungsblatt Markt Zapfendorf
Ausgabe 20/2024
Amtliche Bekanntmachungen
Zurück zur vorigen Seite
Zurück zur ersten Seite der aktuellen Ausgabe

Amtliche Bekanntmachungen

- Förmliche Öffentlichkeitsbeteiligung gemäß § 3 Abs. 2 BauGB -

Der Marktgemeinderat Zapfendorf hat in seiner Sitzung am 20.06.2024 gemäß (gem.) § 2 Abs. 1 BauGB (Baugesetzbuch) die Durchführung des Verfahrens zur

Änderung des Flächennutzungs- und Landschaftsplanes (FNP/LSP)

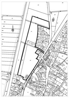
im Bereich des Bebauungs- und Grünordnungsplanes (BBP/GOP) „Unterleiterbach - West“ im Gemeindeteil Unterleiterbach beschlossen. Der Änderungsgeltungsbereich liegt vollflächig in der Gemarkung (Gmkg.) Unterleiterbach, wird

im Norden

durch das Grundstück mit der Flur - Nummern (Fl.-Nr.) 248 (Flächen für die Landwirtschaft, Acker),

im Süden

durch die Grundstücke mit den Fl.-Nr. 169/2 und 167/9 (beides Brach-, Ruderal-, Lager-, Baustelleneinrichtungsflächen) bzw. 154/7 (Lichtenfelser Straße und Unterbrunner Weg, Fahrbahn mit Gehweg),

im Westen

durch die Grundstücke mit den Fl.-Nr. 169 (Flächen für die Landwirtschaft, Acker), 172 (Wirtschaftsweg), 175 (Fläche für die Landwirtschaft, Grünlandfläche), 249 (Wirtschaftsweg) und 248 (Flächen für die Landwirtschaft, Ackerflächen) sowie

im Osten

durch die Grundstücke mit den Fl.-Nr. 250 (Michael - Küchel - Straße), 174 (noch nicht bebautes Privatgrundstück), 174/1 und 172/7 - 172/13 und 173 (alles Privatgrundstücke mit Wohngebäuden, Nebenanlagen, Gartenflächen), 154/1 (Lichtenfelser Straße/ St 2197), 167/5, 167/8 und 167/7 (alle drei Privatgrundstücke mit Wohngebäuden, Nebenanlagen, Gartenflächen)

begrenzt und umfasst voll- bzw. teilflächig (TF) die Grundstücke mit den Fl.-Nr. 166, 167, 169 (TF), 172 (TF), 175 (TF), 175/1, 248 (TF) und 249 (TF).

Es ist beabsichtigt, die bisherigen Darstellungen des wirksamen FNP/LSP (Flächen für die Landwirtschaft, Flächen für Gemeinbedarf) in Wohnbauflächen (§ 5 Abs. 2 Nr. 1 BauGB), in Flächen für die Abwasserbeseitigung mit der Zweckbestimmung Regenwasserrückhaltung (§ 5 Abs. 2 Nr. 4 BauGB) und in Grünflächen mit der Zweckbestimmung Ortsrandeingrünung (§ 5 Abs. 2 Nr. 4 BauGB) zu ändern.

Der Planentwurf in der Fassung vom 19.09.2024 wurde vom Marktgemeinderat Zapfendorf in der Sitzung am 19.09.2024 für die förmliche Öffentlichkeits-, Träger- und Behördenbeteiligung gem. §§ 3 Abs. 2 und 4 Abs. 2 BauGB bestimmt.

Folgende Arten umweltbezogener Informationen sind verfügbar:

  • Planbegründung zum Planentwurf in der Fassung vom 19.09.2024 mit umweltbezogenen Informationen, in wie weit naturschutzfachliche Schutzgebiete, Boden-/Baudenkmäler, Ensembles und/oder landschaftsprägende Denkmäler vorliegen bzw. von der Planung betroffen sind sowie mit umweltbezogenen Informationen zu den Aspekten Geologie/Baugrund, Altlasten, und Geothermie, zu den Belangen des Wassers (Hochwasserschutzgebiete, wassersensible Bereiche, Wasserschutzgebiete, Grundwasser) und zu sonstigen Schutzgütern (Landschafts- und Siedlungsbild, gesunde Wohn-/Arbeitsverhältnisse, Landwirtschaft, Staatsstraße St 2197, Bahnanlagen). Weiterhin enthält die Planbegründung Informationen zu den Themen Schmutz-und Niederschlagswasserbeseitigung, Trinkwasser, Elektrizität/Telekommunikation, Müllbeseitigung, zu Grünflächen und zum Immissionsschutz. Des Weiteren sind Angaben zu artenschutzrechtlichen Belangen, eine Flächenbilanz sowie Hinweise zum üblicherweise vorzulegenden, separaten Umweltbericht enthalten.

Darüber hinaus liegen im Rahmen der frühzeitigen Beteiligung abgegebene Stellungnahmen mit umweltrelevanten/umweltbezogenen Informationen zu den Themen Bodenschutz (Altlasten), Immissionsschutz (im Umfeld vorhandene Vorranggebiet für die Sand-/Kiesgewinnung, Bahn-/ Straßenverkehrslärm), Wasserrecht (Standort, Trinkwasserversorgung, Abwasserentsorgung, Schmutzwasser, Niederschlagswasser, Flächenversiegelung), Wasserschutzgebiete, Wasserversorgung, Überschwemmungsgebiete, Gewässerentwicklung, Gewässerschutz, Boden- und Baudenkmalpflege, Niederschlagswasserbeseitigung/-versickerung, vorbeugender Hochwasserschutz, Verkehr, Verkehrsführung, Erschließungssituation und Brandschutz vor.

Die FNP-/LSP - Änderung erfolgt im Parallelverfahren gem. § 8 Abs. 3 BauGB mit dem BBP/GOP „Unterleiterbach - West“. Der Aufstellungsbeschluss sowie die frühzeitige Öffentlichkeitsbeteiligung für den BBP/GOP „Unterleiterbach - West“ wurden gesondert öffentlich bekannt gemacht.

Der Planentwurf mit Planbegründung und separatem Umweltbericht jeweils in der Fassung vom 19.09.2024 sowie die vorgenannten Stellungnahmen mit umweltrelevanten/umweltbezogenen Informationen sind in der Zeit vom

30.09.2024 bis 31.10.2024

auf der Internetseite des Marktes Zapfendorf unter folgendem Link online/digital einsehbar/ zugänglich:

https://www.zapfendorf.de/meine-gemeinde/bauen-wohnen/laufende-bauleitplanverfahren

Zusätzlich sind die vorgenannten Unterlagen auch im Geoportal Bayern unter folgendem Link online/digital einsehbar/zugänglich:

https://www.geoportal.bayern.de/bauleitplanungsportal

Zudem liegen die vorgenannten Planunterlagen auch im Rathaus der Marktgemeinde Zapfendorf (Obergeschoss, Zimmer 14, Herrngasse 1, 96199 Zapfendorf) zu den allgemein bekannten Dienst-/ Öffnungszeiten öffentlich aus, sind dort öffentlich zugänglich und können hier in Papierform eingesehen werden können. Während der vorgenannten Auslegungsfrist können beim Markt Zapfendorf Anregungen/Hinweise zur FNP-/LSP - Änderung im Bereich des BBP/GOP „Unterleiterbach - West“ persönlich/mündlich, fernmündlich, schriftlich (auch digital) vorgebracht werden. Nicht fristgerecht abgegebene Stellungnahmen können bei der Beschlussfassung zur Änderung des FNP/LSP unberücksichtigt bleiben, wenn der Markt Zapfendorf den Inhalt nicht kannte und nicht hätte kennen müssen und deren Inhalt für die Rechtmäßigkeit zur Änderung des FNP/LSP nicht von Bedeutung ist.

Eine Vereinigung im Sinne des § 4 Abs. 3 S. 1 Nr. 2 UmwRG (Umwelt - Rechtsbehelfsgesetzes) ist in einem Rechtsbehelfsverfahren nach § 7 Abs. 2 UmwRG gemäß § 7 Abs. 3 S. 1 UmwRG mit allen Einwendungen ausgeschlossen, die sie im Rahmen der Auslegungsfrist nicht oder nicht rechtzeitig geltend gemacht hat, aber hätte geltend machen können (§ 3 Abs. 3 BauGB).

Die Verarbeitung personenbezogener Daten erfolgt auf der Grundlage des Art. 6 Abs. 1 e DSGVO (Datenschutz - Grundverordnung) i. V. m. § 3 BauGB und dem BayDSG (Bayerisches Datenschutzgesetz). Stellungnahmen ohne vollständige Absenderangaben erhalten keine Mitteilung über das Ergebnis der Prüfung. Weitere Informationen können dem Formblatt „Datenschutzrechtliche Informationspflichten im Bauleitplanverfahren“ entnommen werden, das ebenfalls öffentlich ausliegt.

Zapfendorf, 20.09.2024
Senger
Erster Bürgermeister