Titel Logo
Mitteilungsblatt Markt Zapfendorf
Ausgabe 22/2024
Amtliche Bekanntmachungen
Zurück zur vorigen Seite
Zurück zur ersten Seite der aktuellen Ausgabe

Erneute förmliche Öffentlichkeitsbeteiligung gemäß § 3 Abs. 2 BauGB i. V. m. § 4 a Abs. 3 BauGB

Der Marktgemeinderat Zapfendorf hat in seiner Sitzung am 17.10.2024 den in seiner Sitzung am 18.01.2024 gefasste Feststellungsbeschluss für die

9. Änderung des Flächennutzungs- und Landschaftsplanes (FNP/LSP)

im Bereich des vorhabenbezogenen Bebauungs- und Grünordnungsplanes (vBBP/GOP) mit der Bezeichnung „Bayerische Milchindustrie (BMI) eG, Werk Zapfendorf“ aufgehoben und eine erneute förmliche Öffentlichkeits-, Träger- und Behördenbeteiligung gemäß §§ 3 Abs. 2 und 4 Abs. 2 BauGB jeweils in Verbindung mit § 4 a Abs. 3 BauGB beschlossen.

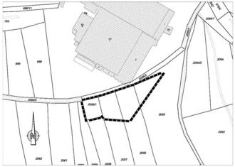
Der Änderungsgeltungsbereich besteht aus zwei Teilflächen. Beide Teilflächen liegen in der Gemarkung (Gmkg.) Zapfendorf.

Die geänderte Teilfläche 1 wird wie folgt festgelegt:

im Norden

durch das Grundstück mit der Flur - Nummer (Fl.-Nr.) 675/2 (Gehweg),

im Süden

durch das Grundstück mit der Fl.-Nr. 2055/4 (Wirtschaftsweg),

im Westen

durch die Grundstücke mit den Fl.-Nr. 686/5 (Einkaufsmärkte), 686/8 („Oberweg“), 686/7 (Grünstreifen mit Bewuchs), 686/15 (Privatgrundstück mit Wohnhaus), 686/12 (Privatgrundstück mit Gewerbe), 686/3 und 686/4 (beides Grünlandflächen), 686/10 (Verkehrsflächen), 706/1 und 705 (beides Privatgrundstücke mit Wohngebäuden), 706/2 (Privatgrundstück mit Wohnhaus und Gewerbe), 706/4 (Privatgrundstück, nicht bebaut, Grünfläche mit Bewuchs), 703/1, 801/1 (beides Wirtschaftswege mit Grünlandflächen) und 702/1 (Wirtschaftsweg) sowie

im Osten

durch die Grundstücke mit den Fl.-Nr. 686/1 (Werksgelände Bayerische Milchindustrie (BMI)), 686/10, 686/11 und 703 (alles Grünlandflächen), 700 (Christbaumkultur), 699 (gerodete Christbaumkultur, Grünlandflächen) begrenzt und umfasst voll- oder teilflächig (TF) die Grundstücke mit den Fl.-Nr. 686/1 (TF), 686/2, 686/3 (TF), 686/4 (TF), 686/5 (TF), 686/7 (TF), 686/9, 686/10 (TF), 686/11 (TF), 686/12 (TF), 686/15 (TF), 699 (TF), 700 (TF), 701, 702, 703 (TF), 704, 704/1, 705 (TF) und 706/1 (TF).

Es ist beabsichtigt, die bisherigen Darstellungen des wirksamen FNP/LSP im Bereich der Teilfläche 1 (Sonderbau-, gewerbliche Bau-, Grün- und Verkehrsflächen) in Sonderbauflächen (§ 1 Abs. 1 Nr. 4 BauNVO, Baunutzungsverordnung), in gewerbliche Bauflächen (§ 1 Abs. 1 Nr. 3 BauNVO), in sonstige überörtliche und örtliche Hauptverkehrsstraßen (§ 5 Abs. 2 Nr. 3 BauGB), in Flächen für Versorgungsanlagen mit der Zweckbestimmung „Elektrizität“ (§ 5 Abs. 2 Nr. 4 BauGB) und in Grünflächen (§ 5 Abs. 2 Nr. 5 BauGB zu ändern.

Die Teilfläche 2 wird

im Norden

durch die Grundstücke mit den Fl.-Nr. 2055/5 (Werksgelände BMI, Umfahrung) und 2055 (Flächen für die Landwirtschaft),

im Süden

durch die Grundstücke mit den Fl.-Nr. 2056 - 2058 (alles Waldflächen),

im Westen

durch das Grundstück mit der Fl.-Nr. 2059 (Waldflächen) sowie

im Osten

durch die Grundstücke mit den Fl.-Nr. 2055 (Flächen für die Landwirtschaft) und 2056 (Waldflächen)

begrenzt und umfasst voll- oder teilflächig (TF) die Grundstücke mit den Fl.-Nr. 2055 (TF), 2056 (TF), 2057 (TF) und 2058/1.

Es ist beabsichtigt, hier die bisherigen Darstellungen des wirksamen FNP/LSP (Wald- und Grünlandflächen) in gewerbliche Bauflächen (§ 1 Abs. 1 Nr. 3 BauNVO) zu ändern.

Die Aufhebung des Feststellungsbeschluss und der erneute Billigungs- und Auslegungsbeschluss wurden notwendig, nachdem sich in dem im Parallelverfahren durchgeführten verbindlichen Bauleitplanverfahren mit der Bezeichnung vBBP/GOP „Bayerische Milchindustrie (BMI) eG, Werk Zapfendorf“ Änderungen des Flächenzuschnittes des Geltungsbereiches und hinsichtlich der Art der Nutzung ergeben hatten, die ihrerseits wieder Auswirkungen auf den FNP/LSP hatten und hier nochmals Anpassungen/Änderungen erforderlich machten.

Der erneute Planentwurf in der Fassung vom 17.10.2024 wurde von der Ingenieuraktiengesellschaft Höhnen & Partner aus Bamberg ausgearbeitet und vom Marktgemeinderat des Marktes Zapfendorf in der Sitzung am 17.10.2024 für die erneute förmliche Öffentlichkeits-, Träger- und Behördenbeteiligung gem. §§ 3 Abs. 2 BauGB und 4 Abs. 2 BauGB i. V. § 4 a Abs. 3 BauGB bestimmt.

Folgende Arten umweltbezogener Informationen sind verfügbar:

  • Planbegründung zum erneuten Planentwurf vom 17.10.2024 mit einer Bestandsbeschreibung, mit umweltbezogenen Informationen, in wie weit naturschutzfachliche Schutzgebiete, Boden-/ Baudenkmäler, Ensembles und/oder landschaftsprägende Denkmäler vorliegen bzw. von der Planung betroffen sind sowie mit um-weltbezogenen Informationen zu den Aspekten Geologie/Baugrund, Altlasten, und Geothermie, zu den Belangen des Wassers (Hochwasserschutzgebiete, wassersensible Bereiche, Wasserschutzgebiete, Grundwasser) und zu sonstigen Schutzgütern (Belange der Land- und Forstwirtschaft). Weiterhin enthält die Planbegründung Informationen zu den Themen Schmutz-/Niederschlagswasserbeseitigung, Trinkwasser, Elektrizität/Telekommunikation, Müllbeseitigung und zu Grünflächen. Des Weiteren sind Angaben zu artenschutzrechtlichen Belangen sowie Hinweise zum üblicherweise vorzulegenden, separaten Umweltbericht enthalten.
  • Im Rahmen der frühzeitigen und der förmlichen Beteiligung abgegebene Stellungnahmen mit umweltrelevanten/umweltbezogenen Informationen zu den Themen Immissionsschutz (Gewerbe-/Verkehrslärm), Bodenschutz, zu wasserwirtschaftlichen und wasserrechtlichen Belangen, zu Belangen der Bodendenkmalpflege, des Verkehres (Verkehrsmengen, Erschließung) sowie des Brandschutzes und des Rettungswesens

Die 9. FNP-/LSP - Änderung erfolgt im Parallelverfahren gem. § 8 Abs. 3 BauGB mit dem vBBP/GOP „Bayerische Milchindustrie (BMI) eG, Werk Zapfendorf“. Der Auslegungsbeschluss für die erneute förmliche Öffentlichkeitsbeteiligung für den vBBP/GOP „Bayerische Milchindustrie (BMI) eG, Werk Zapfendorf“ wurden gesondert öffentlich bekannt gemacht.

Der erneute Planentwurf mit Planbegründung und separatem Umweltbericht jeweils in der Fassung vom 17.10.2024 sowie die vorgenannten Stellungnahmen mit umweltrelevanten/umweltbezogenen Informationen liegen in der Zeit vom

28.10.2024 bis einschließlich 29.11.2024

auf der Internetseite des Marktes Zapfendorf unter folgendem Link online/digital einsehbar/ zugänglich:

https://www.zapfendorf.de/meine-gemeinde/bauen-wohnen/laufende-bauleitplanverfahren

Zusätzlich sind die vorgenannten Unterlagen auch im Geoportal Bayern unter folgendem Link online/digital einsehbar/zugänglich:

https://www.geoportal.bayern.de/bauleitplanungsportal

Zudem liegen die vorgenannten Planunterlagen auch im Rathaus der Marktgemeinde Zapfendorf (Obergeschoss, Zimmer 14, Herrngasse 1, 96199 Zapfendorf) zu den allgemein bekannten Dienst-/ Öffnungszeiten öffentlich aus, sind dort öffentlich zugänglich und können hier in Papierform eingesehen werden können. Während der vorgenannten Auslegungsfrist können beim Markt Zapfendorf Anregungen/Hinweise zur 9. FNP-/LSP - Änderung im Bereich des vBBP/GOP „Bayerische Milchindustrie (BMI) eG, Werk Zapfendorf“ persönlich/mündlich, fernmündlich, schriftlich (auch digital) vorgebracht werden. Nicht fristgerecht abgegebene Stellungnahmen können bei der Beschlussfassung zur 9. Änderung des FNP/LSP unberücksichtigt bleiben, wenn der Markt Zapfendorf den Inhalt nicht kannte und nicht hätte kennen müssen und deren Inhalt für die Rechtmäßigkeit zur Änderung des FNP/LSP nicht von Bedeutung ist.

Eine Vereinigung im Sinne des § 4 Abs. 3 S. 1 Nr. 2 UmwRG (Umwelt - Rechtsbehelfsgesetzes) ist in einem Rechtsbehelfsverfahren nach § 7 Abs. 2 UmwRG gemäß § 7 Abs. 3 S. 1 UmwRG mit allen Einwendungen ausgeschlossen, die sie im Rahmen der Auslegungsfrist nicht oder nicht rechtzeitig geltend gemacht hat, aber hätte geltend machen können (§ 3 Abs. 3 BauGB).

Die Verarbeitung personenbezogener Daten erfolgt auf der Grundlage des Art. 6 Abs. 1 e DSGVO (Datenschutz - Grundverordnung) i. V. m. § 3 BauGB und dem BayDSG (Bayerisches Datenschutzgesetz). Stellungnahmen ohne vollständige Absenderangaben erhalten keine Mitteilung über das Ergebnis der Prüfung. Weitere Informationen können dem Formblatt „Datenschutzrechtliche Informationspflichten im Bauleitplanverfahren“ entnommen werden, das ebenfalls öffentlich ausliegt.

Markt Zapfendorf, 21.10.2024

Senger
Erster Bürgermeister