Titel Logo
Mitteilungsblatt Markt Zapfendorf
Ausgabe 25/2024
Amtliche Bekanntmachungen
Zurück zur vorigen Seite
Zurück zur ersten Seite der aktuellen Ausgabe

Amtliche Bekanntmachungen

der

Genehmigung gemäß § 6 Abs. 5 BauGB

für die

10. Änderung des Flächennutzungs- und Landschaftsplanes (FNP/LSP)

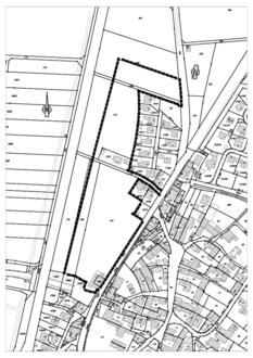
im Bereich des Bebauungs- und Grünordnungsplanes (BBP/GOP) „Unterleiterbach - West“

Der Marktgemeinderat Zapfendorf hat mit Beschluss vom 21.11.2024 die Änderung des FNP/LSP im Bereich des BBP/GOP „Unterleiterbach - West“ festgestellt und dieser Änderung ebenfalls am 21.11.2024 gemäß der fortlaufenden Nummerierung den Änderungsindex 10 gegeben.

Mit Bescheid vom 28.11.2024 (Az. 41.2-6100-004434) hat das Landratsamt Bamberg die 10. FNP-/ LSP - Änderung genehmigt. Die Erteilung der Genehmigung wird hiermit gemäß (gem.) § 6 Abs. 5 BauGB (Baugesetzbuch) ortsüblich bekannt gemacht. Mit dieser Bekanntmachung wird die 10. FNP-/LSP - Änderung für den nachfolgend definierten Bereich am westlichen Siedlungsrand von Unterleiterbach zwischen der Staatsstraße St 2197 (Lichtenfelser Straße), der Valentinsiedlung und dem Lärmschutzwall der DB - Strecke, wirksam.

Der Änderungsgeltungsbereich umfasst voll- bzw. teilflächig (TF) die Grundstücke mit den Flurnummern 166, 167, 169 (TF), 172 (TF), 175 (TF), 175/1, 248 (TF) und 249 (TF) der Gemarkung Unterleiterbach.

Die 10. FNP-/LSP - Änderung, die Planbegründung, der Umweltbericht sowie die zusammenfassende Erklärung gem. § 6 a Abs. 1 BauGB über die Art und Weise, wie die Umweltbelange und die Ergebnisse der Öffentlichkeits- und Behördenbeteiligung berücksichtigt wurden und aus welchen Gründen die Planänderung nach Abwägung mit den geprüften, in Betracht kommenden, anderweitigen Planungsmöglichkeiten gewählt wurde, können im Rathaus der Marktgemeinde Zapfendorf (Obergeschoss, Zimmer 14, Herrngasse 1, 96199 Zapfendorf) während der allgemein bekannten Öffnungs-/Dienstzeiten eingesehen und dort über deren Inhalt Auskunft verlangt werden.

Ergänzend stehen die Planunterlagen auch online/digital auf der Homepage des Marktes Zapfendorf zur Einsichtnahme zur Verfügung.

https://www.zapfendorf.de/meine-gemeinde/bauen-wohnen/laufende-bauleitplanverfahren

Zusätzlich sind die vorgenannten Unterlagen auch im Geoportal Bayern unter folgendem Link online/digital einsehbar/zugänglich:

https://www.geoportal.bayern.de/bauleitplanungsportal

Auf die Voraussetzung für die Geltendmachung der Verletzung von Verfahrens- und Formvorschriften und von Mängeln der Abwägung sowie der Rechtsfolgen des § 215 Abs. 1 BauGB wird hingewiesen. Unbeachtlich werden demnach

1)

eine nach § 214 Abs. 1 Satz 1 Nr. 1 bis 3 BauGB beachtliche Verletzung der dort bezeichneten Verfahrens- und Formvorschriften und

2)

eine unter Berücksichtigung des § 214 Abs. 2 BauGB beachtliche Verletzung der Vorschriften über das Verhältnis des Bebauungsplans und des Flächennutzungsplans und

3)

nach § 214 Abs. 3 Satz 2 BauGB beachtliche Mängel des Abwägungsvorganges, wenn sie nicht innerhalb eines Jahres seit Bekanntmachung der 10. FNP-/LSP - Änderung schriftlich gegenüber dem Markt Zapfendorf geltend gemacht worden sind. Der Sachverhalt, der die Verletzung oder den Mangel begründen soll, ist darzulegen.

Zapfendorf, 29.11.2024
Senger
Erster Bürgermeister