Titel Logo
Mitteilungsblatt Markt Zapfendorf
Ausgabe 7/2023
Amtliche Bekanntmachungen
Zurück zur vorigen Seite
Zurück zur ersten Seite der aktuellen Ausgabe

Änderung des Flächennutzungs- und Landschaftsplanes

Bekanntmachung

- Aufstellungsbeschluss gemäß § 2 Abs. 1 BauGB -

- Frühzeitige Öffentlichkeitsbeteiligung gemäß § 3 Abs. 1 BauGB -

Der Marktgemeinderat des Marktes Zapfendorf hat in seiner Sitzung am 16.03.2023 gemäß (gem.) § 2 Abs. 1 BauGB (Baugesetzbuch) die Durchführung des Verfahrens zur

Änderung des Flächennutzungs- und Landschaftsplanes (FNP/LSP)

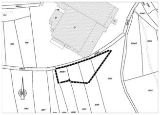
im Bereich der 2. Änderung und Erweiterung des Bebauungs- und Grünordnungsplanes (BBP/GOP) „Scheßlitzer Straße/Oberweg“ beschlossen. Der Änderungsgeltungsbereich besteht aus zwei Teilflächen. Beide Teilflächen liegen in der Gemarkung (Gmkg.) Zapfendorf.

Die Teilfläche 1 wird

im Norden

durch das Grundstück mit der Flur - Nummer (Fl.-Nr.) 675/2 (Gehweg),

im Süden

durch das Grundstück mit der Fl.-Nr. 2055/4 (Wirtschaftsweg),

im Westen

durch die Grundstücke mit den Fl.-Nr. 686/5 (Einkaufsmärkte), 686/8 (Oberweg), 686/7 (Grünstreifen mit Bewuchs), 686/15 (Privatgrundstück mit Wohnhaus), 686/12 (Privatgrundstück mit Gewerbe), 686/3 und 686/4 (beides Grünlandflächen), 686/10 (Verkehrsflächen), 706/1 und 705 (beides Privatgrundstücke mit Wohngebäuden), 706/2 (Privatgrundstück mit Wohnhaus und Gewerbe), 706/4 (Privatgrundstück, nicht bebaut, Grünfläche mit Bewuchs), 703/1 und 801/1 (beides Wirtschaftswege mit Grünlandflächen) und 702/1 (Wirtschaftsweg) sowie

im Osten

durch die Grundstücke mit den Fl.-Nr. 686/1 (Werksgelände Bayerische Milchindustrie (BMI)), 686/10, 686/11 und 703 (alles Grünlandflächen), 699 (gerodete Christbaumkultur, Grünlandflächen), 698 (Grünlandflächen)

begrenzt und umfasst voll- oder teilflächig (TF) die Grundstücke mit den Fl.-Nr. 686/1 (TF), 686/2, 686/3 (TF), 686/4 (TF), 686/5 (TF), 686/7 (TF), 686/9, 686/10 (TF), 686/11 (TF), 686/12 (TF), 686/15 (TF), 698 (TF), 699 (TF), 700, 701, 702, 703 (TF), 704, 704/1, 705 (TF) und 706/1 (TF).

Es ist beabsichtigt, die bisherigen Darstellungen des wirksamen FNP/LSP im Bereich der Teilfläche 1 (Sonderbau-, gewerbliche Bau-, Grün- und Verkehrsflächen) in Sonderbauflächen (§ 1 Abs. 1 Nr. 4 BauNVO, Baunutzungsverordnung), in gewerbliche Bauflächen (§ 1 Abs. 1 Nr. 3 BauNVO), in sonstige überörtliche und örtliche Hauptverkehrsstraßen (§ 5 Abs. 2 Nr. 3 BauGB) und in Flächen für Versorgungsanlagen mit der Zweckbestimmung „Elektrizität“ (§ 5 Abs. 2 Nr. 4 BauGB) zu ändern.

Die Teilfläche 2 wird

im Norden

durch die Grundstücke mit den Fl.-Nr. 2055/5 (Werksgelände BMI, Umfahrung) und 2055 (Flächen für die Landwirtschaft),

im Süden

durch die Grundstücke mit den Fl.-Nr. 2056 - 2058 (alles Waldflächen),

im Westen

durch das Grundstück mit der Fl.-Nr. 2059 (Waldflächen) sowie

im Osten

durch die Grundstücke mit den Fl.-Nr. 2055 (Flächen für die Landwirtschaft) und 2056 (Waldflächen)

begrenzt und umfasst voll- oder teilflächig (TF) die Grundstücke mit den Fl.-Nr. 2055 (TF), 2056 (TF), 2057 (TF) und 2058/1.

Es ist beabsichtigt, hier die bisherigen Darstellungen des wirksamen FNP/LSP (Wald- und Grünlandflächen) in gewerbliche Bauflächen (§ 1 Abs. 1 Nr. 3 BauNVO) zu ändern.

Der Planvorentwurf in der Fassung vom 16.03.2023 wurde von der Ingenieuraktiengesellschaft Höhnen & Partner aus Bamberg ausgearbeitet und vom Marktgemeinderat des Marktes Zapfendorf in der Sitzung am 16.03.2023 für die frühzeitige Öffentlichkeits-, Träger- und Behördenbeteiligung gem. §§ 3 Abs. 1 BauGB und 4 Abs. 1 BauGB bestimmt.

Die FNP-/LSP - Änderung erfolgt im Parallelverfahren gem. § 8 Abs. 3 BauGB mit der 2. Änderung und Erweiterung des BBP/GOP „Scheßlitzer Straße/Oberweg“. Der Aufstellungsbeschluss sowie die frühzeitige Öffentlichkeitsbeteiligung für die 2. Änderung und Erweiterung des BBP/GOP „Scheßlitzer Straße/Oberweg“ wurden gesondert öffentlich bekannt gemacht.

Durchgeführt wird das durch das BauGB vorgegebene zweistufige Regelverfahren mit der frühzeitigen bzw. der förmlichen Öffentlichkeits-, Träger- und Behördenbeteiligung gem. §§ 3 Abs. 1 und 4 Abs. 1 BauGB bzw. §§ 3 Abs. 2 und 4 Abs. 2 BauGB.

Der Planvorentwurf bestehend aus der Planurkunde, der Planbegründung und einem separatem Umweltbericht jeweils in der Fassung vom 16.03.2023 liegt in der Zeit vom

12.04.2023 bis 19.05.2023

im Rathaus der Marktgemeinde Zapfendorf (Obergeschoss, Zimmer 14, Herrngasse 1, 96199 Zapfendorf) zu den allgemein bekannten Dienst-/Öffnungszeiten öffentlich aus und kann dort eingesehen werden. Zusätzlich werden die vorgenannten Auslegungsunterlagen sowie diese Bekanntmachung auch auf der Homepage des Marktes Zapfendorf online/digital zur Einsichtnahme zur Verfügung gestellt.

Während der vorgenannten Auslegungsfrist können beim Markt Zapfendorf Anregungen/Hinweise zur Änderung des FNP/LSP im Bereich der 2. Änderung und Erweiterung des BBP/GOP „Scheßlitzer Straße/Oberweg“ persönlich/mündlich, fernmündlich, schriftlich (auch digital) vorgebracht werden.

Die Verarbeitung personenbezogener Daten erfolgt auf der Grundlage des Art. 6 Abs. 1 e DSGVO (Datenschutz - Grundverordnung) i. V. m. § 3 BauGB und dem BayDSG (Bayerisches Datenschutzgesetz). Stellungnahmen ohne vollständige Absenderangaben erhalten keine Mitteilung über das Ergebnis der Prüfung. Weitere Informationen können dem Formblatt „Datenschutzrechtliche Informationspflichten im Bauleitplanverfahren“ entnommen werden, das ebenfalls öffentlich ausliegt.

Zapfendorf, 17.03.2023
Michael Senger
Erster Bürgermeister