Titel Logo
Brensbacher Nachrichten
Ausgabe 4/2026
Amtliche Bekanntmachungen
Zurück zur vorigen Seite
Zurück zur ersten Seite der aktuellen Ausgabe

Bekanntmachung

Satzung gemäß § 34 Abs. 4 Nr. 3 BauGB „Stierbacher Grund“

hier: Bekanntmachung der Beteiligung der Öffentlichkeit gemäß § 34 Abs. 6 Satz 1 i. V. m. § 13 Abs. 2 Nr. 2 und § 3 Abs. 2 BauGB
(Veröffentlichung im Internet / öffentliche Auslegung)

Der Entwurf der Abrundungs- bzw. Einbeziehungssatzung im Ortsteil Nieder-Kainsbach / Stierbach wird gemäß § 34 Abs. 6 Satz 1 i. V. m. § 13 Abs. 2 Nr. 2 und § 3 Abs. 2 des Baugesetzbuchs (BauGB) in der Fassung der Bekanntmachung vom 03.11.2017 (BGBl. I S. 3634) in der Zeit

vom 26.01.2026 bis einschließlich 02.03.2026

im Internet veröffentlicht unter www.brensbach.de/rathaus/bauleitplanung.

Die Bekanntmachung kann ebenfalls unter www.brensbach.de/rathaus/bauleitplanung eingesehen werden.

Der Inhalt der Bekanntmachung sowie die nach § 3 Abs. 2 Satz 1 BauGB zu veröffentlichten Unterlagen können zudem über das zentrale Internetportal des Landes Hessen (https://bauleitplanung.hessen.de) abgerufen werden.

Die nach § 3 Abs. 2 Satz 1 BauGB zu veröffentlichenden Unterlagen werden während des o. g. Zeitraums zusätzlich zur Veröffentlichung im Internet als andere leicht zu erreichende Zugangsmöglichkeit im Gemeindezentrum der Gemeinde Brensbach, im Ortsteil Brensbach, Ezyer Str. 5, Zimmer Nr. 6, während der folgenden Öffnungszeiten öffentlich ausgelegt:

Dienstag: 08:30 Uhr - 12:00 Uhr und 13:30 Uhr - 15:30 Uhr

Mittwoch: 08:30 Uhr - 12:00 Uhr und 13:30 Uhr - 17:30 Uhr

Freitag: 08:30 Uhr - 12:00 Uhr

Der räumliche Geltungsbereich der Satzung gemäß § 34 Abs. 4 Nr. 3 BauGB umfasst 2 Teilgebiete: Teilgebiet A und Teilgebiet B. Das Teilgebiet A liegt im Ortsteil Nieder-Kainsbach / Stierbach, in der Gemarkung Affhöllerbach am Schnellertsweg.

Die genaue Lage des Teilgebietes A sowie der Geltungsbereich sind aus nachfolgender Abbildung 1 ersichtlich.

Abb. 1: Katasterauszug mit dem Geltungsbereich des Teilgebietes A

Datengrundlage: Amtliches Liegenschaftskatasterinformationssystem (ALKIS) der Hessischen Verwaltung für Bodenmanagement und Geoinformation

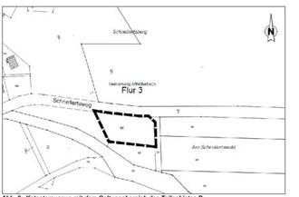
Der Geltungsbereich des Teilgebietes B, der ausschließlich die Flächen für den benötigten naturschutzrechtlichen Ausgleich umfasst, beinhaltet in der Gemarkung Affhöllerbach das Flurstück Flur 3 Nr. 68 tlw.

Die genaue Lage des Teilgebietes B sowie dessen Geltungsbereich sind aus nachfolgender Abbildung 2 ersichtlich.

Abb. 2: Katasterauszug mit dem Geltungsbereich des Teilgebietes B

Datengrundlage: Amtliches Liegenschaftskatasterinformationssystem (ALKIS) der Hessischen Verwaltung für Bodenmanagement und Geoinformation

Gemäß § 13 Abs. 3 BauGB wird von einer Umweltprüfung abgesehen.

Jede Person hat das Recht, den Satzungsentwurf und die Begründung während der Offenlegungszeit einzusehen und kann über den Inhalt Auskunft verlangen.

Stellungnahmen können während der Dauer der Veröffentlichung per E-Mail an info@brensbach.de abgegeben und geäußert oder schriftlich bei der Gemeindeverwaltung Brensbach, Ezyer Straße 5, 64395 Brensbach eingereicht oder bei der Gemeindeverwaltung Brensbach, Ezyer Straße 5, 64395 Brensbach zur Niederschrift gegeben werden.

Nicht fristgerecht abgegebene Stellungnahmen können bei der Beschlussfassung über die Satzung unberücksichtigt bleiben.

Datenschutzhinweise zur Öffentlichkeitsbeteiligung im Bauleitplanverfahren

Die Erhebung der personenbezogenen Daten erfolgt zur Aufstellung, Änderung, Ergänzung oder Aufhebung von Bauleitplänen nach den Vorgaben des Baugesetzbuches (BauGB) im Rahmen der kommunalen Planungshoheit. Im Rahmen dieser Verfahren sind die Auswirkungen der Planung zu ermitteln sowie die durch die Planung betroffenen öffentlichen und privaten Belange zu erheben und gegeneinander und untereinander gerecht abzuwägen. Im Bauleitplanverfahren erfolgt eine Erhebung personenbezogener Daten, soweit dies zur Ermittlung der abwägungsrelevanten Belange und zur Beteiligung von Planungsbetroffenen erforderlich ist.

Zudem werden die persönlichen Daten derjenigen erfasst, die im Planverfahren eine Stellungnahme abgeben. Im Rahmen der Aufstellung, Änderung, Ergänzung oder Aufhebung von Bauleitplänen wird der Öffentlichkeit zum einen Gelegenheit zur Äußerung und Erörterung der jeweiligen Planungen, zum anderen Gelegenheit zur Stellungnahme zu den Entwürfen der Bauleitpläne, der Begründung und den wesentlichen, bereits vorliegenden umweltbezogenen Stellungnahmen gegeben. Die Erhebung erfolgt unter anderem durch den Gemeindevorstand oder im Auftrag des Gemeindevorstands durch Dritte, durch eingehende Stellungnahme der Öffentlichkeit und der Behörden im Rahmen der gesetzlich geforderten Öffentlichkeits- und Behördenbeteiligung nach §§ 3 bis 4c des Baugesetzbuches (BauGB).

Wenn Sie sich zur Abgabe einer Stellungnahme entschließen, werden die darin gemachten Angaben (sog. aufgedrängte Daten) sowie Ihre persönlichen Daten mit vollständigem Namen, Anschrift, Telefonnummer und E-Mailadresse und ggf. bodenrechtlich relevante Daten (z. B. Grundstück, Flurstücksbezeichnung, Eigentumsverhältnisse) gespeichert. Die persönlichen Angaben werden benötigt, um den Umfang Ihrer Betroffenheit oder Ihr sonstiges Interesse hinsichtlich des Bauleitplanverfahrens beurteilen zu können. Außerdem werden die Daten nach Abschluss des Bauleitplanverfahrens verwendet, um Sie über das Ergebnis der Prüfung und dessen Berücksichtigung zu informieren (§ 3 Abs. 2 Satz 4 2. Halbsatz BauGB). Sofern Sie eine Stellungnahme ohne Absenderangaben abgeben, erhalten Sie keine Mitteilung über das Ergebnis der Prüfung. Es werden auch Daten von Planungsbetroffenen erhoben, deren Beteiligung zur Ermittlung von öffentlichen oder privaten Belangen von Amts wegen erforderlich ist.

Die Verarbeitung ist für die Wahrnehmung einer öffentlichen Aufgabe erforderlich, die im öffentlichen Interesse liegt. Rechtsgrundlage ist Art. 6 Abs. 1 e) DSGVO in Verbindung mit § 7 des Hessischen Datenschutzgesetzes (HDSG) sowie dem anzuwendenden Fachgesetz (BauGB).

Ihre personenbezogenen Daten werden weitergegeben an:

  • die Gemeindevertretung zur Abwägung der öffentlichen und privaten Belange nach § 1 Abs. 7 BauGB;
  • einen Dritten, der auf Grundlage von § 4b BauGB zur Beschleunigung des Bauleitplanverfahrens die Vorbereitung und Durchführung von Verfahrensschritten nach den §§ 2a bis 4a BauGB übertragen bekommen hat (z.B. Planungsbüros);
  • andere Ämter oder Fachbereiche innerhalb der Kommunalverwaltung, wenn diese als zuständige Fachstelle zu den von Ihnen vorgebrachten Argumenten eine fachliche Stellungnahme abgeben müssen oder in den Bearbeitungsprozess einbezogen sind;
  • andere Behörden oder Fachstellen außerhalb der Kommunalverwaltung, wenn diese zuständigkeitshalber zu den von Ihnen vorgebrachten Argumenten eine fachliche Stellungnahme abgeben müssen;
  • höhere Verwaltungsbehörden zur Prüfung von Rechtsmängeln;
  • Gerichte im Rahmen einer gerichtlichen Überprüfung der Wirksamkeit von Bauleitplänen.

Die Gewährleistung eines Rechtsschutzes im Rahmen einer gerichtlichen Prüfung erfordert die dauerhafte Speicherung personenbezogener Daten. Denn auch nach Ablauf der Fristen für die Erhebung einer Normenkontrollklage kann ein Bauleitplan Gegenstand einer gerichtlichen Inzidenzprüfung sein. Sonstige Unterlagen werden so lange gespeichert, wie dies unter Beachtung gesetzlicher Aufbewahrungsfristen bzw. für die Aufgabenerfüllung erforderlich ist.

Brensbach, den 16.01.2026