Titel Logo
Weißenhorner Stadtanzeiger
Ausgabe 27/2023
Amtliche Bekanntmachungen
Zurück zur vorigen Seite
Zurück zur ersten Seite der aktuellen Ausgabe

Ausschreibung Grundstücke Unterfeld+NE

- Erweiterung und Verlängerung der Ausschreibung -

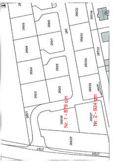
Die Stadt Weißenhorn verkauft im Baugebiet „Unterfeld“ in Hegelhofen zwei Bauplätze. Die Grundstücke haben die Nrn. 1 (Fl.Nr. 265/28, Gem. Hegelhofen) und 2 (Fl.Nr. 265/27, Gem. Hegelhofen), die Lage kann dem beigefügten Grundstücksplan entnommen werden. Für das Baugebiet gilt der Bebauungsplan „Unterfeld“. Infos zum Bebauungsplan entnehmen Sie bitte aus dem Geodatenportal des Landkreises Neu-Ulm.

Die Grundstücke sind erschlossen und sofort bebaubar. Der Bebauungsplan setzt dort „Mi“ als Mischgebiet fest. Bauplatz Nr. 1 hat eine Größe von 879 qm und Bauplatz Nr. 2 hat eine Größe von 924 qm. Der Kaufpreis beträgt 215,00 €/m² inklusive der Straßenerschließungsbeiträge. Hinzukommen die Herstellungsbeiträge für Wasser und Kanal sowie die Kosten für die hergestellten Grundstücksanschlüsse für Wasser und Kanal. Die Gebäude müssen an das Fernwärmenetz angeschlossen werden.

Die Bauplätze müssen innerhalb von 4 Jahren mit einem bezugsfertigen Gebäude bebaut werden.

Die erste Ausschreibung umfasste lediglich Mehrfamilienhäuser.

Die Ausschreibung wird im Rahmen des gültigen Bebauungsplanes erweitert. Der Bebauungsplan sieht in diesem Bereich Mischgebiet „MI“ vor. Folgende Möglichkeiten sind im Bebauungsplan zulässig:

Mischgebiet, §2 Abs. 3:

Wohngebäude

Geschäfts- und Bürogebäude

Sonstige das Wohnen nicht wesentlich störende Gewerbebetriebe

Anlagen für Verwaltung sowie für kirchliche, kulturelle, soziale, gesundheitliche und sportliche Zwecke

Sollten Sie Interesse an einem der zur Verfügung stehenden Bauplätze haben, können Sie per E-Mail oder postalisches Schreiben ihr Interesse bekunden.

Nach Eingang des Schreibens wird den Interessenten ein Kriterienkatalog übersandt, welcher Grundlage zur Bebauung der oben genannten Bauplätze ist.

Der Interessent hat dann die Möglichkeit innerhalb einer gesetzten Frist sein Baukonzept bei der Stadt Weißenhorn einzureichen. Sollten alle Festsetzungen des Kriterienkatalogs eingehalten sein, wird die Verwaltung und der Stadtrat unter Einfluss der Gesamtwürdigung über ein Konzept entscheiden, welches Anlage eines Kaufvertrages wird.

Bitte schicken Sie ihr Interessensschreiben bis zum 11.08.2023 an die Stadt Weißenhorn, z.H. Frau Merk, Schlossplatz 1, 89264 Weißenhorn oder per E-Mail an: n.merk@weissenhorn.de.