Titel Logo
Oberzent aktuell
Ausgabe 31/2023
Amtliche Bekanntmachungen
Zurück zur vorigen Seite
Zurück zur ersten Seite der aktuellen Ausgabe

Bauleitplanung der Stadt Oberzent

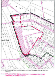
hier: Bebauungsplan „Landrat-Ackermann-Straße, 3. Änderung“, Stadtteil Beerfelden

In ihrer Sitzung am 21.09.2021 hat die Stadtverordnetenversammlung der Stadt Oberzent den Planentwurf mit Begründung festgestellt und gem. § 2 BauGB die Aufstellung eines Bebauungsplanes und die Offenlegung gem. § 3 (2) BauGB beschlossen.

Anlass der Planung ist die Änderung der ursprünglich vorgesehenen Straßenführung im Bereich der Professor-Braun-Straße. Dies hat Einfluss auch auf die Bildung der Baugrundstücke. Der Bereich der 3. Änderung des B.-Planes liegt vollständig im Geltungsbereich des bestehenden B.-Planes „Landrat-Ackermann-Straße“.

Betroffen von der 3. Änderung sind demnach die Grundstücke Flur 6 Nr. 223/1, 225/1, 226/1, 228/2, 220/2, 476, 477 sowie die städt. Grundstücke Flur 6 Nr. 224/1, 226/2, 249/1, 450 sowie 331/1.

Hierdurch wird bekannt gemacht, dass der Planentwurf mit Begründung auf die Dauer eines Monats, und zwar vom 14. August 2023 bis 15. September 2023 im Rathaus der Stadt Oberzent, Verwaltungsstandort Rothenberg, Hauptstraße 23, Zi. 3, öffentlich ausgelegt wird. Der Entwurf dieser Satzung mit Begründung kann auch auf der Homepage der Stadt Oberzent und im zentralen Internetportal des Landes Hessen unter https://bauleitplanung.hessen.de eingesehen werden.

Dienststunden:

montags

von 8.30 Uhr bis 12.00 Uhr

dienstags

von 8.30 Uhr bis 12.00 Uhr

donnerstags

von 8.30 Uhr bis 12.00 Uhr

und 13.30 Uhr bis 18.00 Uhr

freitags

von 8.30 Uhr bis 12.00 Uhr

Während der Auslegungsfrist können Stellungnahmen abgegeben werden. Nicht fristgerecht abgegebene Stellungnahmen können bei der Beschlussfassung über den Bauleitplan unberücksichtigt bleiben.

Beerfelden, 4. August 2023
Der Magistrat der Stadt Oberzent
Kehrer, Bürgermeister