Titel Logo
Mitteilungsblatt Markt Erlbach
Ausgabe 8/2023
Amtliche Bekanntmachungen
Zurück zur vorigen Seite
Zurück zur ersten Seite der aktuellen Ausgabe

Bekanntmachung des Marktes Markt Erlbach

Vollzug des Baugesetzbuches (BauGB)

Bekanntmachung der Öffentlichen Auslegung gemäß § 3 Abs. 2 BauGB für den Entwurf des Bebauungsplanes Nr. 36 „Solarpark Rimbach“ der 13. Änderung des Flächennutzungsplanes

Der Marktgemeinderat hat in seiner Sitzung am 31.03.2023 den Entwurf zum Bebauungsplan Nr. 36 und zu der 13. Änderung des Flächennutzungsplanes gebilligt und die öffentliche Auslegung gemäß § 3 Abs. 2 BauGB beschlossen.

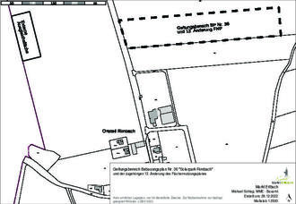
Der räumliche Geltungsbereich des Bebauungsplanes Nr. 36 „Solarpark Rimbach“ des Marktes Markt Erlbach und der 13. Änderung des Flächennutzungsplanes umfasst eine ca. 2,4 ha große Teilfläche aus dem Flst. 660, Gemarkung Klausaurach, als Baufläche für die PV-Anlage. Der Bebauungsplan beinhaltet zudem eine ca. 0,5 ha große Teilfläche aus dem Flurstück 647, Gemarkung Klausaurach, als externe Ausgleichsfläche bzw. Fläche für den vorgezogenen Artenschutzrechtlichen Ausgleich (CEF-Maßnahme). Der Geltungsbereich der beiden Bauleitpläne ist in dem nebenstehenden Lageplan dargestellt.

Ziel der vorliegenden Bauleitpläne ist es, Baurecht für den Bau einer größeren Freiflächen-Photovoltaikanlage zu schaffen und auch den notwendigen naturschutzfachlichen Ausgleich zu regeln, um einen Beitrag zur Energiewende und zum Klimaschutz zu leisten. Die Bauflächen sollen als Sondergebiet nach § 11 BauNVO mit der Zweckbestimmung „Photovoltaik-Freiflächenanlage“ festgesetzt werden.

Der Entwurf zum Bebauungsplan Nr. 36 und zur 13. Änderung des Flächennutzungsplanes liegt einschließlich der umweltrelevanten Informationen in der Zeit vom

24.04.2023 bis einschließlich 26.05.2023

im Bauamt im Rathaus des Marktes Markt Erlbach (Neue Straße 16, 91459 Markt Erlbach, EG Zimmer 4) während der Öffnungszeiten (Montag bis Freitag 08:00 - 12:00 Uhr sowie Mittwoch zusätzlich 13:00 - 18:00 Uhr) oder nach Terminvereinbarung zur allgemeinen Einsicht aus.

Stellungnahmen können während der oben genannten Frist schriftlich (per Brief oder Mail) oder während der Dienststunden zur Niederschrift (auch telefonisch) abgegeben werden.

Nicht fristgerecht abgegebene Stellungnahmen können bei der Beschlussfassung über den Bebauungsplan sowie die Änderung des Flächennutzungsplanes unberücksichtigt bleiben, wenn die Gemeinde den Inhalt nicht kannte und nicht hätte kennen müssen und deren Inhalt für die Rechtmäßigkeit des Bebauungsplans sowie die Änderung des Flächennutzungsplans nicht von Bedeutung ist (§ 3 Abs. 2 Satz 2 Halbsatz 2 BauGB i.V.m. § 4a Abs. 6 BauGB).

Folgende umweltrelevanten Informationen sind verfügbar:

Berichte und Gutachten

-

Begründung und Umweltbericht zum Bebauungsplan Nr. 36 und zur 12. Änderung des Flächennutzungs- und Landschaftsplanes in diesem Bereich, in der Fassung vom 31.03.2023 (Schutzgüter Boden, Wasser, Klima/Luft, Tiere/Pflanzen, Mensch, Landschaft/Fläche, Kultur- und Sachgüter) sowie weitere umweltbezogenen Belange)

-

Spezielle artenschutzrechtliche Prüfung (saP) des Büros für ökologische Studien Schlumprecht GmbH vom 07.12.2022 (zu den Auswirkungen auf die Arten des Anhangs IV der FFH-Richtlinie sowie europäische Vogelarten einschließlich erforderlicher Vermeidungs- und CEF-Maßnahmen) (Schutzgut Pflanzen/Tiere)

-

Gutachterliche Stellungnahme zur Einschätzung potenzieller Blendwirkungen der PV Anlage der Firma SolPEG GmbH vom 17.01.2023

Umweltbelange aus Stellungnahmen gemäß § 3 Abs. 1 und § 4 Abs. 1 BauGB

-

Schutzgut Mensch:

Blendwirkung PV-Anlagen, Abstand zur Siedlung und Gewerbebetrieben, Versorgungssicherheit, regionale Wertschöpfung, Vorbeugender Brandschutz,

-

Schutzgut Boden/Fläche:

Erhalt landwirtschaftlicher Produktionsfläche, Schutz des Bodens, Vermeidung von Bodenaushub und Wiederverwendung auf der Baufläche, Verminderung des Kompensationsfaktors, Flächensparen, Abstand der PV-Reihen, Eintrag von Zink in den Boden

-

Schutzgut Wasser:

Versickerung des Niederschlagswassers, Lage außerhalb von Schutz- und Überschwemmungsgebieten, kein Umgang mit Wassergefährdenden Stoffen ersichtlich, Schutz des Grundwassers, keine Informationen zu Altlasten vorhanden,

-

Schutzgut Pflanzen/Tiere:

Nutzung von Ökokonten, Nutzung von produktionsintegrierten Maßnahmen, Beweidung und Wolfsschutz, Pflegehinweise und Ausgestaltung zu Grün- und Ausgleichsflächen, Vergrämungsmaßnahmen, Bauzeit

-

Schutzgut Landschaft:

Landschaftsbild, Eingrünung der Anlage, Vorprägung, Sichtschutz,

-

Schutzgut Kultur- und Sachgüter:

Keine

-

Klima/Luft

Erzeugung und Nutzung erneuerbarer Energien, Klimawandel

-

Sonstige bzw. allgemeine umweltbezogenen Belange:

Erfordernisse der Raumordnung und Landesplanung, Vorranggebiet Windkraft

Die diesen Informationen zugrunde liegenden Stellungnahmen liegen ebenfalls aus.

Der Inhalt dieser Bekanntmachung und die nach § 3 Abs. 2 S. 1 BauGB auszulegenden Unterlagen sind auch im Internet auf der Homepage des Marktes unter

https://www.markt-erlbach.de/markt-erlbach/bauen-wohnen/bauleitplanverfahren

veröffentlicht.

Die Unterlagen zur Bauleitplanung sind außerdem auch auf der zentralen Onlineplattform des Freistaates Bayern unter

https://geoportal.bayern.de/bauleitplanungsportal/

verlinkt.

Eine Vereinigung im Sinne des § 4 Abs. 3 S. 1 Nr. 2 UmwRG (Umwelt-Rechtsbehelfsgesetzes) ist in einem Rechtsbehelfsverfahren nach § 7 Abs. 2 UmwRG gemäß § 7 Abs. 3 S. 1 UmwRG mit allen Einwendungen ausgeschlossen, die sie im Rahmen der Auslegungsfrist nicht oder nicht rechtzeitig geltend gemacht hat, aber hätte geltend machen können (§ 3 Abs. 3 BauGB)

Datenschutz

Die Verarbeitung personenbezogener Daten erfolgt auf der Grundlage der Art. 6 Abs. 1 Buchstabe e (DSGVO) i. V. mit § 3 BauGB und dem BayDSG. Sofern Sie Ihre Stellungnahme ohne Absenderangaben abgeben, erhalten Sie keine Mitteilung über das Ergebnis der Prüfung. Weitere Informationen entnehmen Sie bitte dem Formblatt „Datenschutzrechtliche Informationspflichten im Bauleitplanverfahren“ das ebenfalls öffentlich ausliegt.

Markt Erlbach, den 14.04.2023

Dr. Birgit Kreß
Erste Bürgermeisterin