Titel Logo
Siegsdorfer Gemeindekurier
Ausgabe 3/2023
Amtliche Bekanntmachungen
Zurück zur vorigen Seite
Zurück zur ersten Seite der aktuellen Ausgabe

Vollzug des Baugesetzbuches (BauGB)

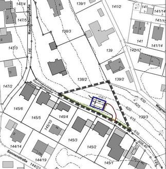
Auszug aus dem Bebauungsplan

Änderung des Bebauungsplanes „Siegsdorf-Ost“ für den Bereich der Fl.Nr. 138/2 T, Gemarkung Obersiegsdorf (Rauschbergstraße 1)

Bekanntmachung des Änderungsbeschlusses

Der Gemeinderat der Gemeinde Siegsdorf hat in seiner Sitzung vom 27.03.2023 beschlossen, für den Bebauungsplan „Siegsdorf-Ost“ im Bereich der Fl.Nr. 138/2 T (Rauschberstraße 1 - südlicher Grundstücksbereich), nördlich der Rauschbergstraße, eine Bebauungsplanänderung als Bebauungsplan der Innenentwicklung im beschleunigten Verfahren nach § 13 a Baugesetzbuch (BauGB), ohne Durchführung einer Umweltprüfung nach § 2 Abs. 4 BauGB, durchzuführen.

Die Änderung umfasst eine Teilfläche der Fl.Nr. 138/2 der Gemarkung Obersiegsdorf.

Der Geltungsbereich des Bebauungsplanes ist aus dem beiliegenden Lageplan ersichtlich, der Bestandteil der Bekanntmachung ist.

Anlass sowie Ziele und Zwecke der Planung:

Nach Maßgaben des § 1 Abs. 5 Satz 3 BauGB soll die städtebauliche Entwicklung vorrangig durch Maßnahmen der Innenentwicklung erfolgen. Dies wird durch die Regelungen des § 1 a Abs. 2 BauGB zum sparsamen Umgang mit Grund und Boden durch Nachverdichtung verstärkt.

Auch das Landesentwicklungsprogramm Bayern sowie der für Siegsdorf relevante Regionalplan 18 stellen die Innenentwicklung in den Fokus der baulichen Entwicklung.

Vor diesem Hintergrund soll der Bebauungsplan „Siegsdorf-Ost“ auf der Fl.Nr. 138/2 (Rauschbergstraße 1) geändert werden.

Ziele der Planung sind:

-

moderate Nachverdichtung

-

Wahrung des Ortsbildes der Gemeinde Siegsdorf

Verfahren nach § 13 a BauGB:

Im Rahmen der Bebauungsplanänderung werden weniger als 20.000 m² Grundfläche im Sinne des § 19 Abs. 2 BauNVO festgesetzt. Auch wird keine Zulässigkeit von Vorhaben begründet, die einer Pflicht zur Durchführung einer Umweltverträglichkeitsprüfung nach dem Gesetz über die Umweltverträglichkeitsprüfung oder nach Landesrecht unterliegen. Es bestehen keine Anhaltspunkte für eine Beeinträchtigung der in § 1 Abs. 6 Nr. 7 b BauGB genannten Schutzgüter. § 50 Satz 1 des Bundes-Immissionsschutzgesetzes zu schweren Unfällen wird nicht einschlägig.

Somit wird der Bebauungsplan im beschleunigten Verfahren der Innenentwicklung nach § 13 a BauGB, ohne Durchführung einer Umweltprüfung nach § 2 Abs. 4 BauGB, geändert.

Der Beschluss des Gemeinderats zur Änderung des Bebauungsplans „Siegsdorf-Ost“ wird hiermit nach § 2 Abs. 1 Satz 2 i.V. m. § 13 a Abs. 3 BauGB bekannt gemacht.

Die Öffentlichkeit kann sich über die allgemeinen Ziele und Zwecke sowie die wesentlichen Auswirkungen der Planung im Rathaus der Gemeinde Siegsdorf, Rathausplatz 1, 83313 Siegsdorf zu den üblichen Dienststunden unterrichten und

bis zum 08.05.2023

zur Planung äußern.

Ergänzend dazu sind die Planunterlagen auch auf der Homepage der Gemeinde

www.rathaus-siegsdorf.de

unter der Rubrik „Wirtschaft und Bauen“ - „Bau- und Gewerbeflächen“ - „Bauleitplanung“ einsehbar.

Von einer frühzeitigen Unterrichtung und Erörterung nach § 3 Abs. 1 und § 4 Abs. 1 BauGB wird nach § 13 Abs. 2 Nr.1 BauGB abgesehen.

Eine Änderung des Flächennutzungsplanes ist nicht nötig, da die Art der Nutzung durch die Bebauungsplanänderung nicht berührt wird.

Siegsdorf, den 28.03.2023
Gemeinde Siegsdorf
gez.
Thomas Kamm
1. Bürgermeister
III-610-04/01/Dab