Titel Logo
Siegsdorfer Gemeindekurier
Ausgabe 8/2025
Amtliche Bekanntmachungen
Zurück zur vorigen Seite
Zurück zur ersten Seite der aktuellen Ausgabe

Bauamt

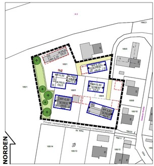
(Auszug, nicht maßstabsgetreu)

Der Gemeinderat hat in seiner Sitzung vom 05.08.2025 die Aufstellung der 6. Änderung des Bebauungsplanes „Siegsdorf-Seelau“ im beschleunigten Verfahren nach § 13a BauGB ohne Durchführung einer Umweltprüfung nach § 2 Abs. 4 BauGB beschlossen. Dieser Beschluss wird hiermit öffentlich bekannt gemacht.

Der Gemeinderat hat in seiner Sitzung vom 05.08.2025 den Entwurf zur 6. Änderung des Bebauungsplanes „Siegsdorf-Seelau“ in der Fassung vom 08.07.2025 gebilligt.

Ziel der Bebauungsplanänderung ist die Schaffung von Wohn- und Arbeitsräumen sowie die Sicherung einer geordneten städtebaulichen Entwicklung. Das Vorhaben entspricht der planerischen Vorstellungen der Gemeinde sowie den Zielen und den Grundsätzen der Landesplanung.

Der Geltungsbereich liegt im nordwestlichen Siedlungsrand der Gemeinde Siegsdorf südlich der Autobahn A8 unweit der Ausfahrt 111 „Siegsdorf-West“ und umfasst die Grundstücke mit der Flur Nrn. 166/1 T, 166/4 und 166/5, Gemarkung Untersiegsdorf. Der genaue Geltungsbereich ist der nachfolgenden Planzeichnung zu entnehmen.

Das Verfahren wird nun mit der förmlichen Beteiligung der Öffentlichkeit gemäß § 3 Abs. 2 BauGB fortgeführt. Die förmliche Beteiligung der Träger öffentlicher Belange und der sonstigen Behörden gemäß § 4 Abs. 2 BauGB erfolgt parallel.

Zu diesem Zweck sind der Inhalt dieser Bekanntmachung, der Planentwurf der 6. Änderung des Bebauungsplanes sowie die Begründung inklusive Umweltbericht und sonstigen auszulegenden Unterlagen in der Zeit

vom 01. September 2025 bis einschließlich 06. Oktober 2025

im Internet veröffentlicht und sind auf

  1. www.rathaus-siegsdorf.de unter der Rubrik „Wirtschaft und Bauen“ – „Bau- und Gewerbeflächen“ – „Bauleitplanung“
  2. bzw. der Adresse https://www.rathaus-siegsdorf.de/wirtschaft-und-bauen/bau-und-gewerbeflaechen/bauleitplanung
  3. und über das Landesportal Bayern https://geoportal.bayern.de/bauleitplanungsportal – Siegsdorf – Bauleitplanungsseite

einsehbar.

Es wird auf folgendes hingewiesen:

  1. Während der Dauer der Veröffentlichungsfrist können Stellungnahmen abgegeben werden.
  2. Stellungnahmen sollen elektronisch, per Mail an bauleitplanung@siegsdorf.bayern.de übermittelt werden, können bei Bedarf aber auch auf anderem Weg abgegeben werden.
  3. Nicht fristgerecht abgegebene Stellungnahmen können bei der Beschlussfassung über den Bebauungsplan unberücksichtigt bleiben.
  4. Neben der Veröffentlichung im Internet liegen die Unterlagen in Papierform im Rathaus der Gemeinde im Vorzimmer der Bereichs - Planen und Bauen -, 1. OG, Rathausplatz 1, 83313 Siegsdorf, während folgender Zeiten: Montag bis Freitag von 8.00 bis 12.00 Uhr, Donnerstag, zusätzlich von 14.00 bis 18.00 Uhr öffentlich aus.

Datenschutz:

Die Verarbeitung personenbezogener Daten erfolgt auf der Grundlage der Art. 6 Abs. 1 Buchst. e (DSGVO) i.V. mit § 3 BauGB und dem BayDSG. Sofern Sie Ihre Stellungnahme ohne Absenderangaben abgeben, erhalten Sie keine Mitteilung über das Ergebnis der Prüfung. Weitere Informationen entnehmen Sie bitte dem Formblatt „Datenschutzrechtliche Informationspflichten im Bauleitplanverfahren“ das ebenfalls öffentlich ausliegt.

Siegsdorf, 14.08.2025
Gemeinde Siegsdorf
gez. Kamm, 1. Bürgermeister
III-610-02/20-Lin