Titel Logo
Bad Königer Stadtnachrichten und Badeblatt
Ausgabe 33/2023
Öffentliche Bekanntmachungen
Zurück zur vorigen Seite
Zurück zur ersten Seite der aktuellen Ausgabe

Bauleitplanung der Stadt Bad König, Kernstadt

Änderung des Flächennutzungsplanes im Bereich „Sonnensiedlung“

Bekanntmachung des Aufstellungsbeschlusses gemäß § 2 Abs. 1 Baugesetzbuch (BauGB)

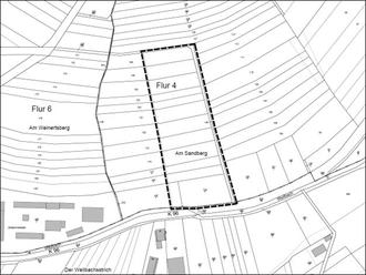
Die Stadtverordnetenversammlung der Stadt Bad König hat in ihrer Sitzung am 09.12.2021 gemäß § 2 Abs. 1 BauGB die Aufstellung der teilräumlichen Änderung des Flächennutzungsplanes im Bereich „Sonnensiedlung“ beschlossen. Der räumliche Geltungsbereich der Flächennutzungsplan-Änderung umfasst in der Gemarkung Bad König Flächen in der Flur 4.Die Abgrenzung des räumlichen Geltungsbereiches der Flächennutzungsplan-Änderung kann der nachfolgenden Übersichtskarte entnommen werden. Der Aufstellungsbeschluss wird hiermit bekanntgemacht.

Mit der Änderung des Flächennutzungsplanes sollen auf Ebene der vorbereitenden Bauleitplanung die planungsrechtlichen Voraussetzungen für die städtebauliche Entwicklung der östlichen Teilflächen des geplanten Wohnquartiers „Sonnensiedlung“ am nördlichen Rand der Kernstadt im Zuge der Aufstellung des gleichnamigen Bebauungsplanes geschaffen werden. Das Planziel der Änderung des Flächennutzungsplanes ist die Ausweisung von „Wohnbaufläche“ gemäß § 1 Abs. 1 Nr. 1 Baunutzungsverordnung (BauNVO) zulasten der bisherigen Darstellung von „Flächen für die Landwirtschaft“.

Bad König, den 11.08.2023
Der Magistrat der Stadt Bad König
Axel Muhn, Bürgermeister

Räumlicher Geltungsbereich der Änderung des Flächennutzungsplanes im Bereich „Sonnensiedlung“