Titel Logo
Bad Königer Stadtnachrichten und Badeblatt
Ausgabe 33/2023
Aus dem Rathaus
Zurück zur vorigen Seite
Zurück zur ersten Seite der aktuellen Ausgabe

Bebauungsplan „Sonnensiedlung“

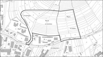
Abbildung genordet, ohne Maßstab

Bekanntmachung des Aufstellungsbeschlusses gemäß § 2 Abs. 1 Baugesetzbuch (BauGB)

Die Stadtverordnetenversammlung der Stadt Bad König hat in ihrer Sitzung am 09.12.2021 gemäß § 2 Abs. 1 BauGB die Aufstellung des Bebauungsplanes „Sonnensiedlung“ beschlossen. Der räumliche Geltungsbereich des Bebauungsplanes umfasst die nachfolgend genannten Flurstücke:

-

Gemarkung Bad König, Flur 2, Flurstücke 400/13 teilweise, 519/33 teilweise, 519/35, 519/36 teilweise

-

Gemarkung Bad König, Flur 4, Flurstücke 114/2, 115/1, 116/1, 117/1, 118, 119, 120, 121, 122, 123, 124, 125, 126, 140 teilweise, 145 und 146

-

Gemarkung Bad König, Flur 6, Flurstücke 171, 172, 173, 174, 175, 176, 177, 178, 179, 180, 181, 182, 183, 197/1, 197/2, 197/3, 197/4, 226/24, 226/25, 226/27, 231 teilweise und 232

-

Gemarkung Bad König, Flur 7, Flurstück 381/1 teilweise

Die Abgrenzung des räumlichen Geltungsbereiches des Bebauungsplanes kann der nachfolgenden Übersichtskarte entnommen werden. Der Aufstellungsbeschluss wird hiermit bekanntgemacht.

Mit dem Bebauungsplan sollen auf Ebene der verbindlichen Bauleitplanung die bauplanungsrechtlichen Voraussetzungen für die städtebauliche Entwicklung des geplanten Wohnquartiers „Sonnensiedlung“ am nördlichen Rand der Kernstadt auf der Grundlage des hierzu erstellten städtebaulichen Konzeptes geschaffen werden. Das Planziel des Bebauungsplanes ist die Ausweisung eines Allgemeinen Wohngebietes gemäß § 4 Baunutzungsverordnung (BauNVO) sowie die Sicherung einzelner Flächen für gemischte und nicht störende gewerbliche Nutzungen, für die Errichtung einer Kindertagesstätte sowie die Sicherung der Erschließung und der zugehörigen Grün- und Freiflächen im Quartier. Hinzu kommen Festsetzungen, die auf das übergeordnete Ziel der Entwicklung einer Plus-Energie-Siedlung abstellen.

Bad König, den 11.08.2023
Der Magistrat der Stadt Bad König
Axel Muhn, Bürgermeister

Räumlicher Geltungsbereich des Bebauungsplanes „Sonnensiedlung“