Titel Logo
Brombachtal-Nachrichten Amtsblatt der Gemeinde Brombachtal
Ausgabe 13/2023
Amtliche Bekanntmachungen
Zurück zur vorigen Seite
Zurück zur ersten Seite der aktuellen Ausgabe

Bekanntmachung,

Vollzug des Baugesetzbuches (BauGB)

2. Änderung des Bebauungsplanes „Auf der Herberg“

hier: Bekanntmachung des Satzungsbeschlusses gemäß § 10 Abs. 3 BauGB

Die Gemeindevertretung der Gemeinde Brombachtal hat in ihrer Sitzung am 21.03.2023 die 2. Änderung des Bebauungsplanes „Auf der Herberg“ gemäß § 10 Abs. 1 BauGB als Satzung beschlossen. Der Bebauungsplan tritt mit dieser Bekanntmachung in Kraft (§ 10 Abs. 3 Satz 4 BauGB).

Die Planaufstellung erfolgte im beschleunigten Verfahren nach § 13a BauGB (Bebauungsplan der Innenentwicklung) ohne Umweltprüfung nach § 2 Abs. 4 BauGB. Eingriffe aufgrund der Festsetzungen der Änderung dieses Bebauungsplanes gelten nach § 13a Abs. 2 S. 1 Nr. 4 BauGB als vor der planerischen Entscheidung zulässig bzw. erfolgt.

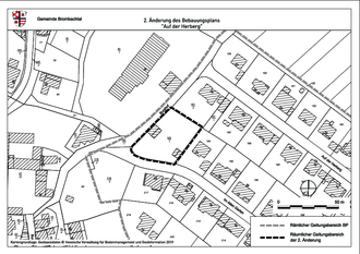
Der Geltungsbereich der 2. Änderung des Bebauungsplanes „Auf der Herberg“ befindet sich im Norden des Ortsteiles Kirchbrombach und beschränkt sich auf das Flurstück Nr. 193/1, Flur 10, Gmkg. Kirchbrombach. Der räumliche Geltungsbereich des Bebauungsplanes ergibt sich ebenso aus dem beigefügten Kartenausschnitt (Lageplan) in dem der Planbereich gekennzeichnet ist. Der Kartenausschnitt ist als Anlage Teil dieser Bekanntmachung.

Mit der Änderung des Bebauungsplanes sollten die überbaubaren Grundstücksflächen sowie die Festsetzungen bzgl. der Dachform und -neigung angepasst bzw. eine grundsätzliche Möglichkeit für eine verträgliche Nachverdichtung geschaffen werden.

Die 2. Änderung des Bebauungsplanes „Auf der Herberg“ (Planblatt und Begründung) kann ab sofort im Rathaus der Gemeinde Brombachtal, Hauptstraße 59, 64753 Brombachtal, während der üblichen Öffnungszeiten (Montag und Dienstag: 08:00 bis 12:00 Uhr und 13:30 bis 15:30 Uhr, Mittwoch: 08:00 bis 12:00 Uhr, Donnerstag: 08:00 bis 12:00 Uhr und 13:30 bis 18:00 Uhr, Freitag: 08:00 bis 12:00 Uhr) von jedermann eingesehen werden.

Auf die Voraussetzungen für die Geltendmachung der Verletzung von Verfahrens- und Formvorschriften und von Mängeln der Abwägung sowie der Rechtsfolgen des § 215 Abs. 1 BauGB wird hingewiesen.

Unbeachtlich werden demnach:

1.

eine nach § 214 Abs. 1 Satz 1 Nr. 1 bis 3 BauGB beachtliche Verletzung der dort bezeichneten Verfahrens- und Formvorschriften,

2.

eine unter Berücksichtigung des § 214 Abs. 2 BauGB beachtliche Verletzung der Vorschriften über das Verhältnis des Bebauungsplans und des Flächennutzungsplans und

3.

nach § 214 Abs. 3 Satz 2 BauGB beachtliche Mängel des Abwägungsvorgangs,

wenn sie nicht innerhalb eines Jahres seit dieser Bekanntmachung schriftlich gegenüber der Gemeinde Brombachtal (Hauptstraße 59, 64753 Brombachtal) geltend gemacht worden sind; der Sachverhalt, der die Verletzung oder den Mangel begründen soll, ist darzulegen.

Außerdem wird auf die Vorschriften des § 44 Abs. 3 Satz 1 und 2 sowie Abs. 4 BauGB hingewiesen. Danach erlöschen Entschädigungsansprüche für nach den §§ 39 bis 42 BauGB eingetretene Vermögensnachteile, wenn nicht innerhalb von drei Jahren nach Ablauf des Kalenderjahres, in dem die Vermögensnachteile eingetreten sind, die Fälligkeit des Anspruches herbeigeführt wird.

Die Behörden werden ferner auf ihre Mitwirkungspflicht gemäß § 4 Abs. 3 BauGB hingewiesen.

Brombachtal, den 28.03.2023
Gemeinde Brombachtal
Andreas Koch
Bürgermeister