Titel Logo
Amtsblatt für den Landkreis Elbe-Elster
Ausgabe 3/2024
Amtliche Bekanntmachungen des Landkreises Elbe-Elster
Zurück zur vorigen Seite
Zurück zur ersten Seite der aktuellen Ausgabe

Öffentliche Bekanntmachung

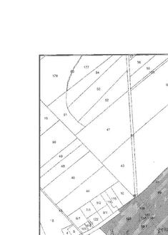
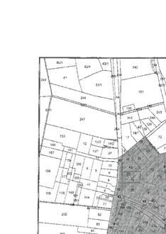
Auszug aus der Liegenschaftskarte – Rechtsinhaber: Land Brandenburg

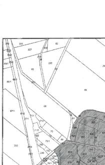
Auszug aus der Liegenschaftskarte – Rechtsinhaber: Land Brandenburg

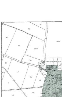
Auszug aus der Liegenschaftskarte – Rechtsinhaber: Land Brandenburg

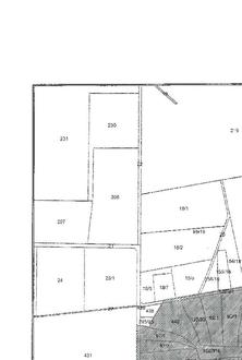
Auszug aus der Liegenschaftskarte – Rechtsinhaber: Land Brandenburg

Auszug aus der Liegenschaftskarte – Rechtsinhaber: Land Brandenburg

Auszug aus der Liegenschaftskarte – Rechtsinhaber: Land Brandenburg

Auszug aus der Liegenschaftskarte – Rechtsinhaber: Land Brandenburg

Hier: Eintragung von Bodendenkmalen des Landkreises Elbe-Elster in das Verzeichnis der Denkmale des Landes Brandenburg

Der Landkreis Elbe-Elster hat als zuständige untere Denkmalschutzbehörde gemäß § 3 Abs. 4 Satz 2 und 3 des Gesetzes über den Schutz und die Pflege der Denkmale im Land Brandenburg (Brandenburgisches Denkmalschutzgesetz – BbgDSchG) vom 24. Mai 2004 (Gesetz- und Verordnungsblatt für das Land Brandenburg Teil I, Nr. 9, S. 215 ff), geändert durch Gesetz vom 28. Juni 2023 (Gesetz- und Verordnungsblatt für das Land Brandenburg Teil I, Nr. 16) die Verfügungsberechtigten (Eigentümer, Pächter o. ä.) von Denkmalen zu ermitteln und über die Eintragung oder Löschung zu unterrichten. Wurden mehr als 20 Verfügungsberechtigte für ein Denkmal ermittelt, so können diese über die Eintragung oder Löschung durch Bekanntmachung im amtlichen Verkündungsblatt des Landkreises (hier: Amtsblatt des Landkreises Elbe-Elster) unterrichtet werden. Da dies für die nachfolgend angeführten Bodendenkmale zutrifft, gibt die untere Denkmalschutzbehörde des Landkreises Elbe-Elster bekannt, dass genannte Bodendenkmale im Sinne von § 2 Abs. 1 und 2 Nr. 4 BbgDSchG vom Brandenburgischen Landesamt für Denkmalpflege und Archäologischen Landesmuseum in das Verzeichnis der Denkmale (Denkmalliste) des Landes Brandenburg eingetragen wurden:

1. Domsdorf, Fundplatz 1; Dorfkern des deutschen Mittelalters und der Neuzeit; Bodendenkmalnummer 20897

Flur 3; Flurstücke (vollständig vom Bodendenkmal berührt) 80/3, 91/3, 91/5, 91/6, 91/7, 94/5, 94/6, 94/7, 94/8, 94/9, 109/5, 122/1, 122/2, 122/3, 123, 204/4, 294/121, 534/86, 596/118, 691/121, 902, 913, 914, 915, 928, 930, 972, 974, 976, 979, 982, 983, 986, 988, 990, 992, 994, 995, 998, 999, 1049, 1051, 1053, 1055, 1059, 1061, 1063, 1065, 1067, 1126, 1127 – Flur 3; Flurstücke (teilweise vom Bodendenkmal berührt) 82/2, 86/1, 88/1, 91/8, 94/10, 98/1, 124, 594/122, 916, 942, 1108

2. Friedersdorf (bei Herzberg), Fundplatz 2; Dorfkern des deutschen Mittelalters und der Neuzeit; Bodendenkmalnummer 20900

Flur 1; Flurstücke (vollständig vom Bodendenkmal berührt) 27/39, 27/40, 27/41, 41/3, 57, 58/6, 58/7, 58/8, 58/9, 61/6, 61/7, 61/8, 61/11, 61/12, 63/1, 63/2, 65, 67/6, 67/7, 67/9, 67/10, 67/11, 67/12, 67/13, 67/14, 67/15, 67/16, 70, 71, 72, 73/2, 155, 156, 157/66, 157, 158, 180, 181, 182, 185, 186, 187, 188, 189, 190, 191, 192, 193, 194, 195, 196, 197, 198, 199, 200, 201, 202, 220/68, 251/49, 260/60, 272, 273, 274, 275, 318, 319 – Flur 1; Flurstücke (teilweise vom Bodendenkmal berührt) 109, 191/89, 303

3. Großrössen, Fundplatz 1; Dorfkern, Kirche, Friedhof des deutschen Mittelalters und der Neuzeit; Bodendenkmalnummer 20908

Flur 2; Flurstücke (vollständig vom Bodendenkmal berührt) 2/2, 7/2, 10/1, 13/1, 13/3, 13/4, 14, 15, 17, 18/1, 21, 22/1, 22/3, 22/4, 22/5, 22/6, 22/7, 22/8, 23/6, 23/8, 24/5, 24/6, 25/1, 27, 32/2, 40/1, 41/1, 42, 43, 131, 132, 133, 144, 159, 160, 163, 166, 169, 170, 171, 172, 174, 175, 176, 177, 178, 179, 180, 181, 183, 184, 185, 186, 187, 188, 189, 190, 191, 193, 194, 195, 196, 197, 198, 199, 201, 202, 203, 204, 205, 206, 207, 208, 209, 210, 211, 212, 213, 214, 217, 218, 219, 220, 221, 222, 223, 228, 229, 230, 231, 232, 233, 244, 245, 246, 247, 249, 250, 251 – Flur 6; Flurstücke (vollständig vom Bodendenkmal berührt) 23, 24, 25, 35/2, 36, 38, 42, 43, 46, 50, 51, 53, 59, 72, 73, 74, 75, 76, 77, 78, 79, 80, 81 – Flur 2; Flurstücke (teilweise vom Bodendenkmal berührt) 16/2, 79/1, 148, 227 – Flur 6; Flurstücke (teilweise vom Bodendenkmal berührt) 15, 19

4. Kauxdorf, Fundplätze 2 und 3; Dorfkern, Kirche, Friedhof des deutschen Mittelalters und der Neuzeit, Steinkreuz des deutschen Mittelalters; Bodendenkmalnummer 20377

Flur 2; Flurstücke (vollständig vom Bodendenkmal berührt) 16/4, 17/3, 20/3, 20/4, 22/2, 58/1,59/2, 59/3, 60/1, 63/2, 65/2, 65/3, 65/4, 65/5, 186/62, 187/62, 210/59, 305, 306, 307, 309, 310, 311, 319, 321, 343, 344, 416 – Flur 4; Flurstücke (vollständig vom Bodendenkmal berührt) 17/2, 17/3, 20/1, 21, 23/1, 23/2, 71/14, 75/18, 77/22, 78/22, 79/22, 103/14, 118/18, 129/25, 166/32, 167/32, 200/17, 204/23, 210/20, 211/20, 214/25, 327, 337, 384 – Flur 2; Flurstücke (teilweise vom Bodendenkmal berührt) 1, 57, 67/1, 338 – Flur 4; Flurstücke (teilweise vom Bodendenkmal berührt) 11, 328, 382

5. Kleinrössen, Fundplatz 3; Dorfkern, Kirche, Friedhof des deutschen Mittelalters und der Neuzeit, Siedlung der Urgeschichte; Bodendenkmalnummer 20909

Flur 1; Flurstücke (vollständig vom Bodendenkmal berührt) 12, 15/1, 15/2, 16, 17, 18/2, 19, 21, 22, 23/1, 23/2, 24, 29, 30, 31, 32, 33, 34/2, 35, 36/2, 38, 40, 41, 95/3, 96, 111, 112, 116, 119, 120, 123, 124, 125, 126, 127, 128, 157, 158, 159, 160, 187, 188, 189, 192, 193, 194, 195 – Flur 1; Flurstücke (teilweise vom Bodendenkmal berührt) 28/3, 42, 89, 95/6, 161

6. Rothstein, Fundplatz 2; Dorfkern des deutschen Mittelalters und der Neuzeit, Mühle der Neuzeit; Bodendenkmalnummer 20687

Flur 2; Flurstück (vollständig vom Bodendenkmal berührt) 123/28 – Flur 3; Flurstücke (vollständig vom Bodendenkmal berührt) 34/2, 34/3, 34/4, 41/4, 80/2, 80/3, 82/1, 82/2, 84/1, 86/1, 87/1, 90/1, 92/1, 97/1, 97/2, 98/1, 100/2, 102/2, 102/4, 102/5, 103/2, 103/3, 103/4, 106/1,106/2, 106/3, 108/2, 108/3, 109/1, 110/1, 113/1, 115/1, 118/1, 119/3, 120, 132/84, 137/93, 143/104, 150/115, 151/115, 154/116, 155/116, 172/115, 175/80, 212/117, 246/79, 278/79, 297/43, 298/33, 299/33, 301/112, 400, 401, 406, 407, 408, 413, 414, 415, 417, 435, 436, 440, 472, 473, 476 – Flur 2; Flurstücke (teilweise vom Bodendenkmal berührt) 122/28, 223 – Flur 3; Flurstücke (teilweise vom Bodendenkmal berührt) 34/1, 35/2, 100/1, 205/58, 254/39, 290/117, 426, 433, 434

7. Saxdorf, Fundplatz 3; Dorfkern, Kirche, Friedhof des deutschen Mittelalters und der Neuzeit, Steinkreuz des deutschen Mittelalters; Bodendenkmalnummer 20381

Flur 2; Flurstücke (vollständig vom Bodendenkmal berührt) 21/2, 32, 33/1, 33/2, 38, 40/1, 41, 42, 43, 44, 45, 46, 47/2, 55/1, 56, 60, 61/1, 62, 67, 68, 70/1, 71, 73, 74, 90, 91, 94, 95, 96, 97, 98, 99, 100, 226, 232, 233, 243, 244, 298, 299, 300, 301, 308, 309, 310, 311, 312, 313, 314, 315, 316, 317, 318, 319, 320, 321, 3322, 323, 324, 325, 326, 328, 329, 330, 331, 332, 333, 357, 361, 362, 364, 366, 367, 368, 369, 370, 372, 373, 374, 395, 396, 397, 398, 399, 401, 402, 403 – Flur 2; Flurstücke (teilweise vom Bodendenkmal berührt) 14, 21/1, 48, 103, 131/3, 405

Die Verfügungsberechtigten haben im Rahmen des Zumutbaren die Bodendenkmale zu erhalten, zu schützen und zu pflegen und so zu nutzen, dass ihre Erhaltung auf Dauer gewährleistet ist (§ 7 Abs. 1 und 2 BbgDSchG). Maßnahmen an Bodendenkmalen oder in ihrer Umgebung, die die Substanz oder das Erscheinungsbild verändern oder beeinträchtigen, bedürfen gemäß § 9 Abs. 1 BbgDSchG einer denkmalrechtlichen Erlaubnis. Dazu gehören Ausschachtungen, die Errichtung von Gebäuden usw.

Es besteht die Möglichkeit, bei der unteren Denkmalschutzbehörde, Nordpromenade 4a, 04916 Herzberg (Elster), Einsicht in die Denkmalliste zu nehmen.

Für weitere Auskünfte stehen die Mitarbeiter der unteren Denkmalschutzbehörde gern zur Verfügung (Tel. 03535 469101 und 9102).

Frank George
Amtsleiter