Titel Logo
Mitteilungsblatt Gemeinde Frensdorf
Ausgabe 1/2023
Amtliche Bekanntmachungen
Zurück zur vorigen Seite
Zurück zur ersten Seite der aktuellen Ausgabe

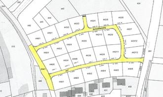
Widmungen der Straßen und Wege im Baugebiet Ahornweg Nord Vorra

Bekanntmachung

Widmungen der Straßen und Wege im Baugebiet „Ahornweg Nord“ im Gemeindeteil Vorra

Die Gemeinde Frensdorf hat als örtlich zuständige Straßenbaubehörde in der Sitzung des Bau- und Umweltausschusses am 13.12.2022 folgende Straßen und Wege in der Gemarkung Birkach als öffentliche Verkehrsflächen im Sinne des Art. 6 BayStrWG (Bayerisches Straßen- und Wegegesetz) gewidmet:

Ortsstraßen:

Schwalbenweg

Fl.Nr.:

447

Anfangspunkt:

Abzweig von Fl.Nr. 364/1 zwischen Fl.Nrn. 446/1 u. 446/4 bzw. 446/6 u. 448/1

Endpunkt:

Einmündung in Fl.Nr. 384 (BA 22) bzw. Grünstreifen an der Stichstraße in Richtung

Fl.Nr. 442

Länge:

0,417 km

Ahornweg (Fortführung der Straße)

Aufstufung eines ausgebauten öffentlichen Feld- und Waldweges

Fl.Nr.:

364/1

Anfangspunkt:

Fl.Nr. 627 (Ahornweg)

Endpunkt:

Fl.Nr. 364

Länge:

0,093 km

Gehwege:

Die Gehwege/Seitenstreifen an der Straße sind gem. Art 2 Nr. 1 Buchst. b BayStrWG Bestandteil der Straße und werden daher nicht separat gewidmet.

Die Widmungsunterlagen können zu den üblichen Öffnungszeiten im Rathaus Frensdorf, Zimmer 01 bei Herrn Schnell eingesehen werden.

Lageplan: