Titel Logo
Mitteilungsblatt der Verwaltungsgemeinschaft Heßdorf
Ausgabe 499/2023
Amtliche Nachrichten
Zurück zur vorigen Seite
Zurück zur ersten Seite der aktuellen Ausgabe

BEKANNTMACHUNG

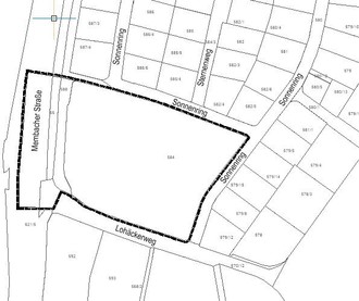
Lageplan des räumlichen Geltungsbereiches des Bebauungsplans o. M., (Kartengrundlage Geobasisdaten © Bayerische Vermessungsverwaltung 2023)

Vollzug des Baugesetzbuches (BauGB)

Bebauungsplan „Heßdorf-Süd“, 1. Änderung mit integriertem Grünordnungsplan

Frühzeitige Beteiligung der Öffentlichkeit gemäß § 3 Abs. 1 BauGB

Der Gemeinderat der Gemeinde Heßdorf hat in öffentlicher Sitzung am 20.06.2023 beschlossen, den Bebauungsplan „Heßdorf-Süd“, 1. Änderung mit integriertem Grünordnungsplan aufzustellen. Wesentliches Ziel der Aufstellung des Bebauungsplans ist es, hier umfänglich preisgünstigen Wohnraum zu ermöglichen.

Der Bebauungsplan mit integrierter Grünordnung wird im beschleunigten Verfahren nach § 13a BauGB aufgestellt. Von der Durchführung einer Umweltprüfung nach § 2 Abs. 4 BauGB wird abgesehen.

Der räumliche Geltungsbereich des Bebauungsplanes umfasst das Grundstück Flst.-Nrn. 584, Gemarkung Heßdorf und ergibt sich aus dem Lageplan, der Bestandteil dieser Bekanntmachung ist.

Weiterhin hat der Gemeinderat in öffentlicher Sitzung am 18.07.2023 beschlossen, die frühzeitige Beteiligung der Öffentlichkeit gemäß § 3 Abs. 1 BauGB sowie die frühzeitige Beteiligung der Nachbargemeinden, Behörden und sonstigen Träger öffentlicher Belange gemäß § 4 Abs. 1 BauGB und § 2 Abs. 2 BauGB zum Vorentwurf des Bauleitplans in der Fassung vom 18.07.2023 durchzuführen.

Der Vorentwurf des Bauleitplans in der Fassung vom 18.07.2023 liegt einschließlich der Begründung in der Zeit vom

21.08.2023 bis einschließlich 22.09.2023

im Rathaus der Verwaltungsgemeinschaft Heßdorf (Hannberger Str. 5, 91093 Heßdorf, Zimmer 13) während der allgemeinen Dienstzeiten (s. u.) zur allgemeinen Einsichtnahme öffentlich aus. Auf Wunsch wird die Planung erläutert. Während der Auslegungsfrist können Stellungnahmen abgegeben werden.

Allgemeine Dienstzeiten:

Montag bis Mittwoch, Freitag

08.00 Uhr bis 12.00 Uhr

Donnerstag

14.00 Uhr bis 18.00 Uhr

Der Vorentwurf des Bauleitplans, einschließlich der Begründung, steht während der Frist zur Stellungnahme außerdem auch auf der Internetseite der Gemeinde Heßdorf unter der Rubrik „Wirtschaft & Bauen“ -> Bauleitplanung (www.hessdorf.de/bauleitplanung) zur Einsichtnahme bzw. zum Download bereit.

Die Verarbeitung personenbezogener Daten erfolgt auf der Grundlage der Art. 6 Abs. 1 Buchstabe e (DSGVO) i. V. m. § 3 BauGB und dem BayDSG. Sofern Sie Ihre Stellungnahme ohne Absenderangaben abgeben, erhalten Sie keine Mitteilung über das Ergebnis der Prüfung. Weitere Informationen entnehmen Sie bitte dem Formblatt „Datenschutzrechtliche Informationspflichten im Bauleitplanverfahren“ das ebenfalls öffentlich ausliegt und auf o. g. Webseite bereit steht.

Heßdorf, den 11.08.2023
Gemeinde Heßdorf
Horst Rehder
Erster Bürgermeister