Titel Logo
Mitteilungsblatt der Verwaltungsgemeinschaft Heßdorf
Ausgabe 503/2023
Amtliche Nachrichten
Zurück zur vorigen Seite
Zurück zur ersten Seite der aktuellen Ausgabe

BEKANNTMACHUNG

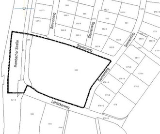
Lageplan des räumlichen Geltungsbereiches des Bebauungsplans o. M., (Kartengrundlage Geobasisdaten © Bayerische Vermessungsverwaltung 2023)

Vollzug des Baugesetzbuches (BauGB)

Bebauungsplan „Heßdorf-Süd“, 1. Änderung mit integriertem Grünordnungsplan

Öffentlichkeitsbeteiligung gemäß § 3 Abs. 2 BauGB

Der Gemeinderat der Gemeinde Heßdorf hat in seiner Sitzung am 20.06.2023 beschlossen, den Bebauungsplan „Heßdorf-Süd“, 1. Änderung mit integriertem Grünordnungsplan aufzustellen. Wesentliches Ziel der Planung ist es, hier umfänglich preisgünstigen Wohnraum zu ermöglichen.

Die Bebauungsplanänderung wird im beschleunigten Verfahren nach § 13a BauGB aufgestellt. Von der Durchführung einer Umweltprüfung nach § 2 Abs. 4 BauGB wird abgesehen.

Der räumliche Geltungsbereich der Bebauungsplanänderung umfasst das Grundstück Fl.Nr. 584 sowie Teilflächen der Grundstücke Fl.Nrn. 570/12, 621/5, 588 und 55, jeweils Gmkg. Heßdorf und ergibt sich aus dem Lageplan, der Bestandteil dieser Bekanntmachung ist.

Der Gemeinderat hat in seiner Sitzung am 21.11.2023 den Entwurf der Bebauungsplanänderung in der Fassung vom 14.11.2023, gebilligt und beschlossen, den Planentwurf gemäß § 3 Abs. 2 BauGB zu veröffentlichen und die Behörden und sonstigen Träger öffentlicher gemäß § 4 Abs. 2 BauGB zu beteiligen.

Der Entwurf der Bebauungsplanänderung mit der Begründung, jeweils in der Fassung vom 14.11.2023 sowie die nach Einschätzung der Gemeinde wesentlichen, bereits vorliegenden umweltbezogenen Stellungnahmen sind in der Zeit vom

11.12.2023 bis einschließlich 17.01.2024

auf der Internetseite der Gemeinde Heßdorf „www.hessdorf.de“ unter der Rubrik „Wirtschaft und Bauen“ auf „Aktuelle Bauleitplanungen“ einsehbar bzw. abrufbar. Direkter Link: www.hessdorf.de/bauleitplanung

Während der Veröffentlichungsfrist können Stellungnahmen abgegeben werden. Diese sollen per E-Mail an die Adresse bauamt@vg-hessdorf.de unter Angabe des Betreffs „Bebauungsplan „Heßdorf-Süd“, 1. Änderung“ übermittelt werden. Bei Bedarf können Stellungnahmen auch auf anderem Weg abgegeben werden.

Es wird gemäß § 3 Abs. 2 Satz 4 Nr. 3 i. V. m. § 4a Abs. 5 BauGB darauf hingewiesen, dass nicht fristgerecht abgegebene Stellungnahmen bei der Beschlussfassung über den Bebauungsplan unbeabsichtigt bleiben können, sofern die Gemeinde deren Inhalt nicht kannte und nicht hätte kennen müssen und deren Inhalt für die Rechtmäßigkeit des Bauleitplans nicht von Bedeutung ist.

Als alternative Zugangsmöglichkeit im Sinne des § 3 Abs. 2 Satz 4 Nr. 4 BauGB liegen die o.g. Unterlagen zusätzlich im Rathaus der Verwaltungsgemeinschaft Heßdorf (Hannberger Str. 5, 91093 Heßdorf, Zimmer 13) während der allgemeinen Dienstzeiten (s.u.) zur allgemeinen Einsichtnahme öffentlich aus. Auf Wunsch wird die Planung erläutert.

Allgemeine Dienstzeiten:

Montag bis Mittwoch, Freitag:

08.00 Uhr bis 12.00 Uhr

Donnerstag:

14.00 Uhr bis 18.00 Uhr

Es wird darauf hingewiesen, dass Dritte (Privatpersonen) mit der Abgabe einer Stellungnahme der Verarbeitung ihrer angegebenen Daten, wie z. B. Name, Anschrift, Telefonnummer, Email-Adresse etc. zustimmen. Gemäß Artikel 6 Abs. 1c und 1e der Datenschutz-Grundverordnung (DSGVO) werden die Daten im Rahmen des Bauleitplanverfahrens für die gesetzlich bestimmten Dokumentationspflichten und für die Informationspflicht ihnen gegenüber genutzt.

Heßdorf, den 08.12.2023
Horst Rehder
Erster Bürgermeister