Titel Logo
Auerbacher Stadtanzeiger
Ausgabe 10/2024
Amtliche Bekanntmachungen und Satzungen
Zurück zur vorigen Seite
Zurück zur ersten Seite der aktuellen Ausgabe

Amtliche Bekanntmachungen der Stadt Auerbach/Vogtl.

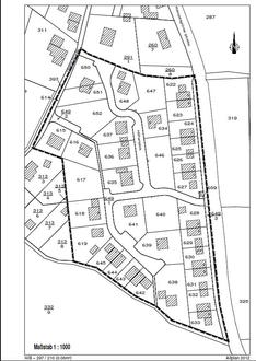
Bekanntmachung der öffentlichen Auslegung des Planentwurfes gemäß § 3 Abs. 2 BauGB zur Aufhebung des Bebauungsplanes Nr. B1 für das allgemeine Wohngebiet „Beerheide Süd“

Der Stadtrat der Stadt Auerbach/Vogtl. hat am 14.10.2024 den Entwurf zur Aufhebung des Bebauungsplanes Nr. B1 für das allgemeine Wohngebiet „Beerheide Süd“ i. d. F. vom September 2024 gebilligt und zur öffentlichen Auslegung bestimmt. Der räumliche Geltungsbereich der Aufhebung umfasst das gesamte Plangebiet mit ca. 2,3 ha und ist in der Abbildung zeichnerisch dargestellt.

Die Aufhebung des Bebauungsplanes soll im vereinfachten Verfahren nach § 13 BauGB durchgeführt werden. Im vereinfachten Verfahren wird von der Umweltprüfung nach § 2 Abs. 4 BauGB, von dem Umweltbericht nach § 2a BauGB, von der Angabe nach § 3 Absatz 2 Satz 2 BauGB, welche Arten umweltbezogener Informationen verfügbar sind sowie von der zusammenfassenden Erklärung nach § 6a Absatz 1 BauGB und § 10a Absatz 1 BauGB abgesehen; § 4c BauGB ist nicht anzuwenden.

Die Planunterlagen einschließlich Planzeichnung, textlichen Festsetzungen und Begründung in der Fassung vom September 2024 liegen in der Zeit vom 04.11.2024 bis 06.12.2024 während der nachfolgend genannten Zeiten in der Stadtverwaltung Auerbach/Vogtl., Nicolaistraße 51, 08209 Auerbach/Vogtl., Stadtplanungsamt (Zimmer 3.4.) zu jedermanns Einsicht aus:

Montag:

9:00 bis 12:00 Uhr

Dienstag:

9:00 bis 12:00 Uhr und 13:00 bis 18:00 Uhr

Donnerstag:

9:00 bis 12:00 Uhr und 14:00 bis 16:00 Uhr

Freitag:

9:00 bis 12:00 Uhr

Stellungnahmen können während dieser Zeit schriftlich während der Dienststunden zur Niederschrift in der Stadtverwaltung Auerbach/Vogtl., Nicolaistraße 51, 08209 Auerbach/Vogtl. (Stadtplanungsamt) abgeben werden. Da das Ergebnis der Behandlung der Stellungnahme mitgeteilt wird, ist die Angabe der Anschrift des Verfassers zweckmäßig.

Bei Fragen zur Bauleitplanung bitten wir um eine vorherige Terminvereinbarung per E-Mail über steffi.poller@stadt-auerbach.de oder telefonisch unter 03744 825145 (Frau Poller).

Der Inhalt dieser Bekanntmachung und die nach § 3 Abs. 2 Satz 1 BauGB auszulegenden Unterlagen sind auch im Internet unter www.stadt-auerbach.de und im Zentralen Landesportal Bauleitplanung unter www.bauleitplanung.sachsen.de veröffentlicht.

Nicht fristgemäß abgegebene Stellungnahmen können bei der Beschlussfassung über den Bebauungsplan unberücksichtigt bleiben (§ 4a Abs. 6 BauGB), wenn die Stadt den Inhalt nicht kannte oder hätte kennen müssen und deren Inhalt für die Rechtmäßigkeit des Bebauungsplanes nicht von Bedeutung sind.

Auerbach, 14.10.2024

Jens Scharff
Oberbürgermeister