Titel Logo
Auerbacher Stadtanzeiger
Ausgabe 6/2024
Amtliche Bekanntmachungen und Satzungen
Zurück zur vorigen Seite
Zurück zur ersten Seite der aktuellen Ausgabe

Ortsübliche Bekanntmachung des Aufstellungsbeschlusses zur zur Aufhebung des Bebauungsplanes Nr. B1 für das allgemeine Wohngebiet „Beerheide Süd“

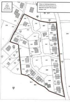
Der Geltungsbereich des Bebauungsplanes Nr. B1 allgemeines Wohngebiet „Beerheide Süd“ grenzt unmittelbar an die Kreisstraße K 7833 mit der Bezeichnung „Rempesgrüner Straße“. Die derzeit im Geltungsbereich des Bebauungsplanes einbezogenen Flurstücke lauten: 609, 614, 615, 616, 617, 618, 619, 622, 623, 624, 625, 626, 627, 628, 629, 630, 631, 632, 633, 634, 635, 636, 637, 638, 639, 640, 641, 642, 643, 644, 645, 646, 647, 648, 649/1, 649/2, 649/3, 650, 651 und 652. Der Bebauungsplan in der Neufassung (Stand 10.09.2001) ist am 05.10.2001 in Kraft getreten. Der Bebauungsplan enthält viele Festsetzungen, die zum Teil nicht verwirklicht wurden. Zahlreiche Anträge auf Befreiungen von den Festsetzungen wurden durch den Ortschaftsrat und den Technischen Ausschuss bearbeitet, so dass zu konstatieren ist, dass die ursprünglichen Festsetzungen nicht immer eingehalten wurden und auch nicht mehr den heutigen Standards entsprechen.

Das grundlegende städtebauliche Ziel des Bebauungsplanes, nämlich die Errichtung von Einfamilienheimen im Plangebiet, wurde erreicht. Ziel der Aufhebung des Bebauungsplanes ist die Ermöglichung einer den heutigen Bedürfnissen angepassten, sinnvollen städtebaulichen Entwicklung. Zudem soll eine Verringerung des Verwaltungsaufwandes und somit eine Erleichterung für die Bauherren erreicht werden. Das Plangebiet soll künftig nach § 34 BauGB beurteilt werden. Die Aufhebung des Bebauungsplanes soll im vereinfachten Verfahren nach § 13 BauGB durchgeführt werden.

Der Stadtrat der Stadt Auerbach/Vogtl. hat in seiner Sitzung am 10.06.2024 die Einleitung eines Aufhebungsverfahrens für den Bebauungsplan Nr. B1 für das allgemeine Wohngebiet „Beerheide Süd“ beschlossen.

Der Aufstellungsbeschluss wird hiermit nach § 2 Abs. 1 BauGB ortsüblich bekanntgemacht.

Auerbach/Vogtl., 11.06.2024

Jens Scharff
Oberbürgermeister