Titel Logo
Amtsblatt der Stadt Böhlen
Ausgabe 12/2024
Stadt Böhlen
Zurück zur vorigen Seite
Zurück zur ersten Seite der aktuellen Ausgabe

Öffentliche Bekanntmachung über die Aufstellung des Bebauungsplanes „Pleißebogen“

Der Stadtrat der Stadt Böhlen hat am 26.09.2024 in öffentlicher Sitzung die Aufstellung des Bebauungsplanes „Pleißebogen“ gemäß § 2 BauGB beschlossen.

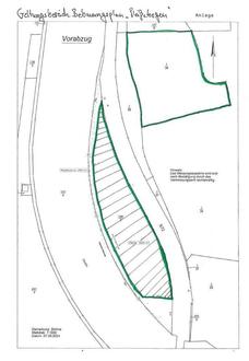
Der Geltungsbereich des Bebauungsplanes betrifft eine Teilfläche des Flurstücks 126/2 sowie das Flurstück 1/36 der Gemarkung Stöhna. Es umfasst ein ca. 18.500 m² großes Gebiet und ist im folgenden Kartenausschnitt dargestellt:

Mit der Aufstellung des Bebauungsplanes sollen die bauplanungsrechtlichen Zulässigkeitsvoraussetzungen für eine eventuelle Bebauung geschaffen werden und die zulässigen Nutzungen festgesetzt werden.

Dietmar Berndt
Bürgermeister