Titel Logo
Elbe-Fläming-Kurier Das Amtsblatt der Stadt Coswig (Anhalt)
Ausgabe 22/2024
Amtliche Bekanntmachungen
Zurück zur vorigen Seite
Zurück zur ersten Seite der aktuellen Ausgabe

Öffentliche Bekanntmachung der Stadt Coswig (Anhalt)

Bekanntmachung der Öffentlichkeitsbeteiligung gemäß § 3 Abs. 2 i. V. m. § 4 Abs. 2 BauGB zur 2. Änderung, zugleich Erweiterung des Bebauungsplanes Nr. 20 "WS Coswiger Wellpappe" der Stadt Coswig (Anhalt)

Der Stadtrat der Stadt Coswig (Anhalt) hat in seiner Sitzung am 26.09.2024 den Planentwurf sowie die Begründung zur 2. Änderung, zugleich Erweiterung des Bebauungsplanes Nr. 20 "WS Coswiger Wellpappe" der Stadt Coswig (Anhalt) gebilligt und die Öffentlichkeitsbeteiligung durch Veröffentlichung im Internet und öffentliche Auslegung gemäß § 3 Abs. 2 BauGB für die Dauer eines Monats beschlossen. Parallel dazu sollen gemäß § 4 Abs. 2 BauGB von den Behörden und sonstigen Träger öffentlicher Belange, deren Aufgabenbereiche durch die Planung berührt werden sowie von den Nachbargemeinden gemäß § 2 Abs. 2 BauGB, Stellungnahmen zum Planentwurf und zur Begründung eingeholt werden.

Bei der Aufstellung der 2. Änderung, zugleich Erweiterung des Bebauungsplanes Nr. 20 "WS Coswiger Wellpappe" sind die öffentlichen und privaten Belange gegeneinander und untereinander gerecht abzuwägen. Dafür sind die Belange, die für die Abwägung von Bedeutung sind (Abwägungsmaterial), zu ermitteln und zu bewerten. Auf der Grundlage des § 3 Abs. 2 BauGB in Verbindung mit § 4 Abs. 2 BauGB werden somit die Öffentlichkeit, die Behörden und sonstigen Träger öffentlicher Belange am Planverfahren beteiligt. Ihnen wird die Gelegenheit zur Abgabe einer Stellungnahme gegeben.

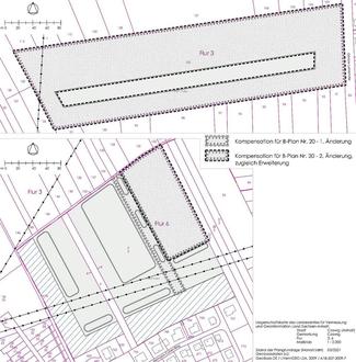
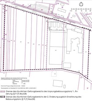
Der Plangeltungsbereich der 2. Änderung, zugleich Erweiterung des Bebauungsplanes ist auf den nachfolgenden Abbildungen zu ersehen.

Im Rahmen der Öffentlichkeitsbeteiligung gemäß § 3 Abs. 2 BauGB wird in der Zeit vom 04.11.2024 bis einschließlich 04.12.2024 der Entwurf der 2. Änderung, zugleich Erweiterung des Bebauungsplanes Nr. 20 "WS Coswiger Wellpappe" der Stadt Coswig (Anhalt) auf der Internetseite der Stadt Coswig (Anhalt) unter

www.coswigonline.de -> Wirtschaft & Stadtplanung -> Stadtentwicklung & Bauen -> Aktuelle Offenlagen

sowie über den Sachsen-Anhalt-Viewer des Landesamtes für Vermessung und Geoinformation Sachsen-Anhalt (Landesportal Sachsen-Anhalt) veröffentlicht:

https://www.geodatenportal.sachsen-anhalt.de/mapapps/resources/apps/viewer_v40/index.html?lang=de

Zusätzlich zur Veröffentlichung im Internet können die Unterlagen während des o. g. Auslegungszeitraums auch in der Stadtverwaltung Coswig (Anhalt), Am Markt 1, 06869 Coswig (Anhalt), Amtshaus, Bau- und Ordnungsamt, Zi. 207 während der Dienstzeiten

Montag

von 08:00 - 12:00 Uhr und 14:00 - 16:00 Uhr

Dienstag

von 08:00 - 12:00 Uhr und 14:00 - 18:00 Uhr

Mittwoch

von 08:00 - 12:00 Uhr und 14:00 - 16:00 Uhr

Donnerstag

von 08:00 - 12:00 Uhr und 14:00 - 16:00 Uhr

Freitag

von 08:00 - 12:00 Uhr

von jedermann eingesehen werden. Während der Öffentlichkeitsbeteiligung können von jedermann Stellungnahmen zu den ausgelegten Unterlagen bei der Stadt Coswig (Anhalt) per E-Mail an g.kutzke@coswig-anhalt.de oder unter o. g. Anschrift abgegeben werden.

Sofern mit einer Stellungnahme personenbezogene Daten angegeben werden, werden diese zur Durchführung des Bebauungsplanverfahrens, zur Erfüllung der Pflicht, das Ergebnis der Prüfung fristgerecht abgegebener Stellungnahmen mitzuteilen, sowie zur Gewährleistung von Rechtsschutz im Rahmen einer gerichtlichen Prüfung verarbeitet. Die Einzelheiten der Datenverarbeitung sowie die Betroffenenrechte können der „Datenschutzinformation im Rahmen der Bauleitplanung, von Satzungen und Planungen nach dem Allgemeinen Städtebaurecht“ unter https://www.coswigonline.de/de/datenschutz.html (bzw. im Anschluss an diese Bekanntmachung abgedruckt) entnommen werden.

Die der Planung zugrundeliegenden nicht öffentlichen Vorschriften (VDI-Richtlinien, Verordnungen, Erlasse, DIN-Vorschriften und ähnliche Regelungen) können während der Zeit der Veröffentlichung im Bau- und Ordnungsamt unter o. g. Adresse eingesehen werden.

Stellungnahmen, die im Verfahren der Öffentlichkeitsbeteiligung nicht rechtzeitig abgegeben worden sind, können bei der Beschlussfassung über die 2. Änderung, zugleich Erweiterung des Bebauungsplanes Nr. 20 "WS Coswiger Wellpappe" der Stadt Coswig (Anhalt) gemäß § 4a Abs. 5 BauGB unberücksichtigt bleiben, sofern die Stadt Coswig (Anhalt) deren Inhalt nicht kannte und nicht hätte kennen müssen und deren Inhalt für die Rechtmäßigkeit des Bebauungsplans nicht von Bedeutung ist.

Die zu veröffentlichenden Unterlagen umfassen:

-

Planzeichnung i. d. F. des Entwurfs vom 19.08.2024

-

Begründung zum Bebauungsplan i. d. F. des Entwurfs vom 19.08.2024

-

Umweltbericht als Bestandteil des Entwurfs der Begründung der 2. Änderung, zugleich Erweiterung des Bebauungsplanes Nr. 20 "WS Coswiger Wellpappe" (Stand 19.08.2024). Im Umweltbericht einschließlich der Eingriffs-/Ausgleichsbilanzierung wurden die Auswirkungen auf folgende Schutzgüter einer Beurteilung unterzogen:

-

Naturraum – mit Aussagen zur Landschaftsbildwirkung und zum Verlust freier Fläche

-

Fläche – mit Aussagen zur Flächenversiegelung, Ein- und Durchgrünungsmaßnahmen

-

Schutzgebiete und -objekte – Schutzgebiete/Erhaltungsziele, Biosphärenreservate und Landschaftsschutzgebiete sowie Naturparke sind nicht betroffen

-

Mensch – mit Aussagen zum Immissionsschutz vor Verkehrs- und Gewerbelärm, zu Erholungsfunktionen und dem benachbarten Wohnen

-

Pflanzen und Tiere/Arten und Lebensgemeinschaften – mit Aussagen u. a. zu Vegetationsbeständen und Vegetationsverlusten, zum Artenschutz sowie zu Habitaten und Habitatverlusten; geschützte Biotope und geschützte Landschaftsbestandteile sind nicht betroffen

-

Boden – mit Aussagen u. a. zur Bodenbeschaffenheit, zur Einschränkung der natürlichen Bodenfunktionen sowie der Bodenversiegelung und zu Bodenverunreinigungen

-

Wasser – mit Aussagen zu Retentionsflächen, zum Bodenwasserhaushalt; Überschwemmungsgebiete sind nicht betroffen

-

Klima/Luft – mit Aussagen zu klimatischen Vorbelastungen, zum lokalen Mikroklima

-

Landschaft – mit Aussagen zur Landschaftsgestalt/Ortsentwicklung im Zusammenhang mit der Überplanung eines Bestandsstandortes

-

Kultur- und Sachgüter – mit Aussagen zum archäologischen und Baudenkmalschutz

Der Umweltbericht wurde gemäß den Maßgaben der §§ 2 Abs. 4 und 2a BauGB und der Anlage 1 zum BauGB erstellt. Er beschränkt sich auf die von der 2. Änderung, zugleich Erweiterung berührten Festsetzungen des Bebauungsplanes. Die Ermittlung zu erwartender Umweltauswirkungen erfolgt für Festsetzungen, mit denen erstmalig durch die 2. Änderung, zugleich Erweiterung des Bebauungsplanes Nr. 20 "WS Coswiger Wellpappe" ein Nutzungswandel bzw. eine Nutzungserweiterung ermöglicht wird.

-

Artenschutzrechtliche Potenzialprognose B-Plan Nr. 20 "WS Coswiger Wellpappe" 2. Änderung, Dr. Thomas Hofmann, Dessau-Roßlau, Stand März 2023

-

Schalltechnische Untersuchung zum Bebauungsplan Nr. 19 "Buroer Feld" in Coswig (Anhalt) vom 12.02.2007, Nr. 07024, Bonk-Maire-Hoppmann GbR, Garbsen

Nachfolgende umweltrelevante Stellungnahmen aus der frühzeitigen Öffentlichkeits- und Behördenbeteiligung werden ebenfalls mit ausgelegt:

-

Stellungnahme des Landesamtes für Denkmalpflege und Archäologie Sachsen-Anhalt vom 04.11.2022 mit Hinweisen zur Sichtbarkeit zu errichtender Hochbauten aus dem Gartenreich Dessau-Wörlitz

-

Stellungnahme ALFF vom 18.11.2022 mit Hinweisen zur Inanspruchnahme landwirtschaftlicher Flächen für externe Ausgleichsmaßnahmen

-

Stellungnahme Landkreis Wittenberg vom 22.11.2022 mit Hinweisen der unteren Naturschutzbehörde zum Artenschutz, zum Verhältnis von Bau- und Naturschutzrecht sowie zur naturschutzrechtlichen Eingriffsregelung, mit Hinweisen der unteren Abfall- und Bodenschutzbehörde zur Altlastenverdachtsfläche "Papierfabrik Coswig" und den Bodenbewertungsverfahren und zur Abfallentsorgung und mit Hinweisen der unteren Immissionsschutzbehörde zu einem beizufügenden Immissionsgutachten

Coswig (Anhalt), den 11.10.2024

A. Saage
Bürgermeister
(im Original unterzeichnet)