Titel Logo
Elbe-Fläming-Kurier Das Amtsblatt der Stadt Coswig (Anhalt)
Ausgabe 7/2026
Amtliche Bekanntmachungen
Zurück zur vorigen Seite
Zurück zur ersten Seite der aktuellen Ausgabe

Öffentliche Bekanntmachung: Genehmigung der 2. Änderung, zugleich Erweiterung des Geltungsbereiches des Bebauungsplanes Nr. 20 "WS Coswiger Wellpappe" der Stadt Coswig (Anhalt)

Der Stadtrat der Stadt Coswig (Anhalt) hat in seiner öffentlichen Sitzung am 05.06.2025 die 2. Änderung, zugleich Erweiterung des Bebauungsplanes Nr. 20 "WS Coswiger Wellpappe" der Stadt Coswig (Anhalt), bestehend aus der Planzeichnung und den textlichen Festsetzungen gemäß § 10 Abs. 1 Baugesetzbuch (BauGB) als Satzung beschlossen. Die der 2. Änderung, zugleich Erweiterung des Bebauungsplanes beigefügte Begründung wurde gebilligt. Die 2. Änderung, zugleich Erweiterung des Bebauungsplanes Nr. 20 "WS Coswiger Wellpappe" bedurfte gem. § 10 (2) BauGB der Genehmigung durch die höhere Verwaltungsbehörde. Der Landkreis Wittenberg hat als höhere Verwaltungsbehörde mit Verfügung vom 02.02.2026 (AZ: 63-00145-2026-40) die 2. Änderung, zugleich Erweiterung des Bebauungsplanes Nr. 20 "WS Coswiger Wellpappe" der Stadt Coswig (Anhalt) genehmigt. Die Erteilung der Genehmigung wird hiermit gem. § 10 (3) BauGB ortsüblich bekanntgemacht. Die 2. Änderung, zugleich Erweiterung des Bebauungsplanes Nr. 20 "WS Coswiger Wellpappe" der Stadt Coswig (Anhalt) tritt mit dieser Bekanntmachung in Kraft.

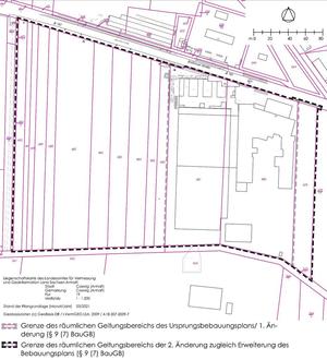
Die Lage des Geltungsbereiches der 2. Änderung, zugleich Erweiterung des Bebauungsplanes ist auf dem nachstehenden Kartenausschnitt ersichtlich.

Die 2. Änderung, zugleich Erweiterung des Bebauungsplanes Nr. 20 "WS Coswiger Wellpappe" der Stadt Coswig (Anhalt), bestehend aus der Planzeichnung und den textlichen Festsetzungen und die zugehörige Begründung und deren Anlage sowie die Zusammenfassende Erklärung gemäß § 10a Abs. 1 BauGB kann in den Diensträumen der Stadtverwaltung Coswig (Anhalt), Am Markt 1, 06869 Coswig (Anhalt), Amtshaus, Amt für Stadtentwicklung, Sicherheit und Kultur, durch jedermann auf Dauer eingesehen werden. Über den Inhalt wird auf Verlangen Auskunft erteilt.

Die vollständigen Planunterlagen werden ab dem Tag dieser Bekanntmachung auch gemäß § 10a Abs. 2 BauGB in das Internet eingestellt und können unter der Internetadresse

www.coswigonline.de à Wirtschaft & Stadtplanung à Stadtentwicklung & Bauen à Bebauungspläne & Satzungen à Bebauungspläne

sowie über die Internetseite des Landesportales Sachsen-Anhalt unter der Adresse:

https://www.geodatenportal.sachsen-anhalt.de/mapapps/resources/apps/bauleitplanung_v4/index.html?lang=de

eingesehen werden.

Unbeachtlich werden nach § 215 BauGB

1.

eine nach § 214 Abs. 1 Satz 1 Nr. 1 bis 3 BauGB beachtliche Verletzung der dort bezeichneten Verfahrens- und Formvorschriften,

2.

eine unter Berücksichtigung des § 214 Abs. 2 BauGB beachtliche Verletzung der Vorschriften über das Verhältnis des Bebauungsplans und des Flächennutzungsplans und

3.

nach § 214 Abs. 3 Satz 2 BauGB beachtliche Mängel des Abwägungsvorgangs, wenn sie nicht innerhalb eines Jahres seit Bekanntmachung der Satzung schriftlich gegenüber der Gemeinde unter Darlegung des die Verletzung begründenden Sachverhalts geltend gemacht worden sind.

Auf die Vorschriften des § 44 Abs. 3 Satz 1 und 2 sowie Abs. 4 BauGB über die fristgemäße Geltendmachung etwaiger Entschädigungsansprüche für Eingriffe in eine bisher zulässige Nutzung durch den Bebauungsplan und über das Erlöschen von Entschädigungsansprüchen wird hingewiesen.

Weiterhin wird auf die Rechtsfolgen nach § 8 Abs. 3 des Kommunalverfassungsgesetzes des Landes Sachsen-Anhalt (KVG LSA) hingewiesen:

Ist eine Satzung unter Verletzung von Verfahrens- oder Formvorschriften, die in diesem Gesetz enthalten oder aufgrund dieses Gesetzes erlassen worden sind, zustande gekommen, so ist diese Verletzung unbeachtlich, wenn sie nicht schriftlich innerhalb eines Jahres seit Bekanntmachung der Satzung gegenüber der Kommune geltend gemacht worden ist. Dabei sind die verletzte Vorschrift und die Tatsache, die den Mangel ergibt, zu bezeichnen. Satz 1 gilt nicht, wenn die Vorschriften über die Genehmigung oder die öffentliche Bekanntmachung der Satzung verletzt worden sind.

Coswig (Anhalt), den 16.03.2026

Saage
Bürgermeister  — Siegel
Im Original unterzeichnet und gesiegelt.