Titel Logo
Amtsblatt Lossa Bote - Gemeinde Lossatal mit den Ortsteilen
Ausgabe 11/2025
AMTLICHER TEIL
Zurück zur vorigen Seite
Zurück zur ersten Seite der aktuellen Ausgabe

In der öffentlichen Gemeinderatssitzung am 12.11.2025 wurden folgende Beschlüsse gefasst

762/25-GR

Sitzungsplan des Gemeinderates der Gemeinde Lossatal für das Jahr 2026

763/25-GR

Zuschuss zur Erhaltung und Bewirtschaftung des Tiergehege Dornreichenbach e.V.

764/25-GR

Bestellung eines Vertreters der Gemeinde Lossatal als Vertreter im „Geopark Porphyrland e.V.“

765/25-GR

Entscheidung über die Mitgliedschaft Betriebsgenossenschaft RathausCloud e.G.

766/25-GR

Jahresabschluss der Gemeinde Lossatal für das Jahr 2023

767/25-GR

Vergabe von Bauleistungen für den Neubau des Feuerwehrgerätehauses Thammenhain, Los 20 – HLS

768/25-GR

Vergabe von Planungsleistungen für den Neubau des Feuerwehrgerätehauses in Meltewitz, Leistungsphase 3-4

770/25-GR

Billigungs- und Offenlegungsbeschluss zum Bebauungsplan „Tinyhaus-Siedlung Lüptitz“ der Gemeinde Lossatal

771/25-GR

Beschluss zum Vertrag über Ausgleichsmaßnahmen zum Bebauungsplan Wohnbebauung „An der Dahlener Straße in Meltewitz“

772/25-GR

Abwägungsbeschluss zum Bebauungsplan Wohnbebauung „An der Dahlender Straße in Meltewitz“

773/25-GR

Städtebauförderung SZP „Vitale Ortskerne Wurzener Land“ – Fortschreibung, Interkommunales Entwicklungskonzept (IEK) „Vitale Ortskerne Wurzener Land“

774/25-GR

Städtebauförderung SZP „Siedlungskerne Wurzener Land“ – Fortschreibung Interkommunales Entwicklungskonzept (IEK) „Siedlungskerne Wurzener Land“

775/25/GR

Annahme von Einzelspenden

776/25/GR

Vergabe von Bauleistungen für die energetische Sanierung des Mehrfamilienhauses in Hohburg, Los 3 – Bauelemente innen

777/25/GR

Vergabe von Bauleistungen für die energetische Sanierung des Mehrfamilienhauses in Hohburg, Los 6 – Balkonanlage

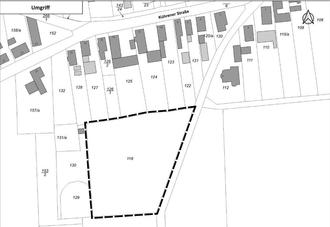
Beschluss-Nr. 769/25-GR

vom 12.11.2025 des Gemeinderates Lossatal

- öffentlich – TOP 15

Aufstellungsbeschluss für den Bebauungsplan „Neubau Feuerwehrgerätehaus Meltewitz“

Beschluss:

Der Gemeinderat beschließt

die Aufstellung des Bebauungsplanes „Neubau Feuerwehrgerätehaus Meltewitz“ gemäß § 2 Abs. 1 Baugesetzbuch (BauGB).

Der Beschluss ist ortsüblich bekannt zu machen.

Weigelt
Bürgermeister