Titel Logo
Amtsblatt Lossa Bote - Gemeinde Lossatal mit den Ortsteilen
Ausgabe 8/2024
AMTLICHER TEIL
Zurück zur vorigen Seite
Zurück zur ersten Seite der aktuellen Ausgabe

In der öffentlichen Gemeinderatssitzung am 19.06.2024 wurden folgende Beschlüsse gefasst

638/24-GR

Abwägungsbeschluss zum Bebauungsplan „An der Feuerwehr“ im OT Kühnitzsch

639/24-GR

Satzungsbeschluss zum Bebauungsplan „An der Feuerwehr“ im OT Kühnitzsch

640/24-GR

Abwägungsbeschluss zur 2. Änderung des Bebauungsplans Wohn- und Gewerbegebiet „An der Kartoffellagerhalle“ in Falkenhain

641/24-GR

Satzungsbeschluss zur 2. Änderung des Bebauungsplans Wohn- und Gewerbegebiet „An der Kartoffellagerhalle“ in Falkenhain

643/24-GR

Billigungs- und Offenlegungsbeschluss zum Entwurf des Bebauungsplans „Feuerwehrgerätehaus im OT Thammenhain“

645/24-GR

Vergabe von Bauleistungen für das Multifunktionszentrum 1. Bauabschnitt, Thammenhain, Los 6 b – Trockenbauarbeiten

646/24-GR

Vergabe von Bauleistungen für das Multifunktionszentrum 1. Bauabschnitt, Thammenhain, Los 6 d – Prallwandarbeiten

647/24-GR

Tausch des Flurstückes 3/36 gegen das Flurstück 3/59 Gemarkung Dornreichenbach

648/24-GR

Annahme von Einzelspenden

Beschluss-Nr. 642/24-GR

vom 19.06.2024 des Gemeinderates Lossatal

- öffentlich – TOP 9

Aufstellungsbeschluss zum Bebauungsplan "Feuerwehrgerätehaus im OT Thammenhain"

Beschluss:

Der Gemeinderat beschließt

die Aufstellung des qualifizierten Bebauungsplanes "Feuerwehrgerätehaus im OT Thammenhain" nach § 13a BauGB für die Flurstücken 74/2 der Gemarkung Thammenhain im beschleunigten Verfahren.

Gemäß § 13 Abs. 3 BauGB wird von einer Umweltprüfung und der Erstellung eines Umweltberichts nach § 2a BauGB sowie von der frühzeitigen Unterrichtung und Erörterung nach § 3 Abs.1 und § 4 Abs. 1 BauGB abgesehen. Der Beschluss ist ortsüblich bekannt zu machen.

Die aus einer Seite bestehende Anlage 1 mit dem Geltungsbereich ist untrennbarer Bestandteil dieses Beschlusses.

Weigelt
Bürgermeister

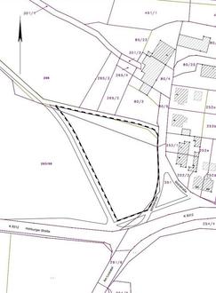
Beschluss-Nr. 644/24-GR

vom 19.06.2024 des Gemeinderates Lossatal

- öffentlich – TOP 11

Aufstellungsbeschluss zum Bebauungsplan "Wohnbebauung Mühlstraße" in Hohburg

Beschluss:

Der Gemeinderat beschließt,

die Aufstellung des Bebauungsplanes „Wohnbebauung Mühlstraße“ in Hohburg gemäß § 2 Abs. 1 und §§ 13a des Baugesetzbuches (BauGB) für die Teilflächen der Flurstücke 263/58 und 266 der Gemarkung Hohburg im beschleunigten Verfahren. Die Anlage ist untrennbarer Bestandteil des Beschlusses.

Weigelt
Bürgermeister