Titel Logo
Amtsblatt für die Stadt Forst (Lausitz)
Ausgabe 7/2024
Amtlicher Teil
Zurück zur vorigen Seite
Zurück zur ersten Seite der aktuellen Ausgabe

Öffentliche Bekanntmachung zur Aufhebung der seit dem 14.07.2006 rechtskräftigen Satzung nach § 34 Abs. 1 Satz 1 Nr. 1 und 3 BauGB der Stadt Forst (Lausitz) mit der Bezeichnung „Am Kreuzberg / Nördliche Frankfurter Straße“ (Klarstellungs- und Ergänzungssatzung) und öffentliche Bekanntmachung zur Inkraftsetzung der Satzung nach § 34 Abs. 4 Satz 1 Nr. 1 BauGB der Stadt Forst (Lausitz) mit der Bezeichnung „Am Kreuzberg / Frankfurter Straße“ (Klarstellungssatzung)

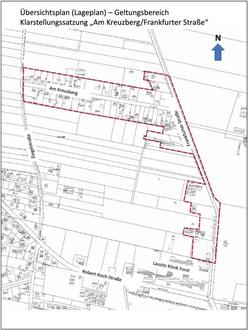
Lageplan – Geltungsbereich Klarstellungssatzung „Am Kreuzberg/Frankfurter Straße“

Die Stadtverordnetenversammlung der Stadt Forst (Lausitz) hat am 08.11.2024 einen Satzungsbeschluss für die Satzung gemäß § 34 Abs. 4 Satz 1 BauGB mit der Bezeichnung Klarstellungssatzung „Am Kreuzberg / Frankfurter Straße“ in der Fassung vom 21.08.2024 gefasst. Gleichzeitig wurde die Aufhebung der seit dem 14.07.2006 rechtskräftigen Satzung nach § 34 Abs. 1 Satz 1 Nr. 1 und 3 BauGB, der Klarstellungs- und Ergänzungssatzung „Am Kreuzberg / Frankfurter Straße“, beschlossen (Beschlussvorlage SVV/0033/2024).

Da es sich bei Innenbereichssatzungen nach § 34 Abs. 1 Satz 1 Nr. 1 BauGB um eine Klarstellungssatzung handelt und diese aus den Darstellungen des Flächennutzungsplanes entwickelt wurde, war eine rechtsaufsichtliche Prüfung und Genehmigung durch die Höhere Verwaltungsbehörde, den Landkreis Spree-Neiße, nicht erforderlich.

Auf Grundlage des § 3 der Kommunalverfassung des Landes Brandenburg (BbgKVerf) vom 05.03.2024 (GBVBl. I/24, [Nr. 10], S., ber. [Nr. 38]) wird die Satzung hiermit bekanntgemacht.

Der Geltungsbereich der Satzung ist dem beigefügten Lageplan zu entnehmen.

Die Satzung tritt am Tage ihrer Bekanntmachung in Kraft.

Jedermann kann diese Satzung ab diesem Tage im Fachbereich Stadtentwicklung, Cottbuser Straße 10, während der Dienststunden einsehen und über den Inhalt Auskunft verlangen.

Es wird darauf hingewiesen, dass eine Verletzung von Verfahrens- und Formvorschriften, die in der Kommunalverfassung für das Land Brandenburg (BbgKVerf) enthalten oder aufgrund dieses Gesetzes erlassen worden sind, beim Zustandekommen der Satzung unbeachtlich ist, wenn sie nicht schriftlich innerhalb eines Jahres seit der öffentlichen Bekanntmachung der Satzung gegenüber der Stadt Forst (Lausitz), Lindenstraße 10-12, 03149 Forst (Lausitz), unter der Bezeichnung der verletzten Vorschrift und der Tatsache, die den Mangel ergibt, geltend gemacht worden ist. Dies gilt nicht, wenn die Vorschriften über die Genehmigung oder die öffentliche Bekanntmachung verletzt worden sind. Eine nach § 214 Abs. 1 Satz 1 Nr. 1 bis 3 BauGB beachtliche Verletzung der dort bezeichneten Verfahrens- und Formvorschriften, eine unter Berücksichtigung des § 214 Abs. 2 beachtliche Verletzung der Vorschriften der Satzung und des Flächennutzungsplanes sowie nach § 214 Abs. 3 Satz 2 BauGB beachtliche Mängel des Abwägungsvorganges sind gemäß § 215 Abs. 1 BauGB unbeachtlich, wenn sie nicht innerhalb eines Jahres schriftlich gegenüber der Gemeinde geltend gemacht worden sind. Bei der Geltendmachung ist der Sachverhalt, der die Verletzung oder den Mangel begründen soll, darzulegen.

Auf die Vorschriften des § 44 Abs. 3 Satz 1 und 2 BauGB über die Fälligkeit etwaiger Entschädigungsansprüche im Falle der in den §§ 39 bis 42 BauGB bezeichneten Vermögensnachteile, deren Leistung schriftlich beim Entschädigungspflichtigen zu beantragen ist, und des § 44 Abs. 4 BauGB über das Erlöschen von Entschädigungs-ansprüchen, wenn der Antrag nicht innerhalb der Frist von drei Jahren nach Ablauf des Kalenderjahres, in der die Vermögensnachteile eingetreten sind, gestellt worden ist, wird hingewiesen.

Forst (Lausitz), den 11.11.2024

Simone Taubenek
Hauptamtliche Bürgermeisterin

Ersatzbekanntmachung

Aufgrund des § 10 Abs.3 BauGB in der Fassung der Bekanntmachung vom 3. November 2017 (BGBl. I S. 3634), zuletzt geändert durch Gesetz vom 20.12.2023 (BGBI. I.S. 395) m.W.v. 01.01.2024, wird hiermit für die Klarstellungssatzung mit der Bezeichnung „Am Kreuzberg / Frankfurter Straße“ die Ersatzbekanntmachung gem. § 2 Abs. 1 der Verordnung über die öffentliche Bekanntmachung von Satzungen und sonstigen ortsrechtlichen Vorschriften in den Gemeinden, Ämtern und Landkreisen (BekanntmV)vom 1. Dezember 2000 (GVBl.II/00, [Nr. 24], S.435), zuletzt geändert durch die Verordnung vom 25.06.2024 (GVBl.II/24, [Nr. 43]), i.V.m. § 15 der Hauptsatzung der Stadt Forst (Lausitz), in der Fassung der Beschlussfassung der Stadtverordnetenversammlung vom 20.09.2019, zuletzt geändert durch die 4. Änderung der Hauptsatzung der Stadt Forst (Lausitz)/ Głowne Wustawki Mĕsta Baršć (Łužyca) in der Beschlussfassung der Stadtverordnetenversammlung vom 27.09.2024, veröffentlicht im Amtsblatt Nr. 6/2024 vom 11.10.2024, durchgeführt.

Die Einsichtnahme und Auskunftsmöglichkeit besteht für jedermann auf Dauer während der Dienststunden im Fachbereich Stadtentwicklung der Stadt Forst (Lausitz), Cottbuser Straße 10, 03149 Forst (Lausitz).

Forst (Lausitz), den 11.11.2024

Simone Taubenek
Hauptamtliche Bürgermeisterin