Titel Logo
Amtsblatt der Gemeinde Kabelsketal mit den Ortsteilen
Ausgabe 11/2025
Gemeinde Kabelsketal
Zurück zur vorigen Seite
Zurück zur ersten Seite der aktuellen Ausgabe

Bekanntmachung 9. vereinfachte Änderung Bebauungsplan Nr. 5 und 5 der Gemeinde Kabelsketal, OT Großkugel

Aufstellungsbeschluss

Der Gemeinderat der Gemeinde Kabelsketal hat in seiner öffentlichen Sitzung am 8. Mai 2025 die Aufstellung der 9. vereinfachten Änderung des Bebauungsplans 5 und 5 der Gemeinde Kabelsketal, OT Großkugel gemäß § 2 Absatz 1 Baugesetzbuch (BauGB) beschlossen.

Der Aufstellungsbeschluss zur 9. vereinfachten Änderung des Bebauungsplans Nr. 5 und 5 der Gemeinde Kabelsketal, OT Großkugel wird hiermit bekannt gemacht.

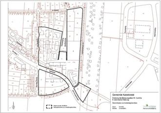
Der räumliche Geltungsbereich der Änderung umfasst die innerhalb des Plangebietes als Kerngebiete festgesetzten Flächen.

Die genaue Abgrenzung ist aus dem angefügten Lageplan ersichtlich.

Im Rahmen des Änderungsverfahrens soll lediglich die textliche Festsetzung Nr. 1.1.3 zur Art der baulichen Nutzung in den Kerngebieten modifiziert werden. Demzufolge werden die Grundzüge der Planung durch die Änderung nicht berührt.

Die Änderung erfolgt im vereinfachten Verfahren. Es wird von der Umweltprüfung nach § 2 Absatz 4 BauGB und von dem Umweltbericht nach § 2a BauGB abgesehen.

 — 

Kabelsketal, 20.05.2025

Kunnig

Bürgermeister

Abbildung:

Übersicht zum räumlichen Geltungsbereich der 9. vereinfachten Änderung des Bebauungsplans Nr. 5 und 5a der Gemeinde Kabelsketal, OT Großkugel