Titel Logo
Amtsblatt der Gemeinde Kabelsketal mit den Ortsteilen
Ausgabe 12/2024
Gemeinde Kabelsketal
Zurück zur vorigen Seite
Zurück zur ersten Seite der aktuellen Ausgabe

Bekanntmachung der Gemeinde Kabelsketal

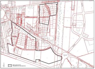
Inkrafttreten der 8. vereinfachten Änderung des Bebauungsplanes Nr. 5 und 5a der Gemeinde Kabelsketal, OT Großkugel

Der Gemeinderat der Gemeinde Kabelsketal hat am 25.04.2024 in öffentlicher Sitzung die 8. vereinfachte Änderung des Bebauungsplanes Nr. 5 und 5a (OT Großkugel) in der Fassung vom März 2024, bestehend aus der Planzeichnung (Teil A) und den textlichen Festsetzungen (Teil B), als Satzung gemäß § 10 BauGB beschlossen.

Der räumliche Geltungsbereich ist in nachfolgendem Kartenausschnitt ersichtlich.

Die 8. vereinfachte Änderung des Bebauungsplanes Nr. 5 und 5a (OT Großkugel) tritt mit dieser Bekanntmachung in Kraft (§ 10 Abs. 3 BauGB).

Die 8. vereinfachte Änderung des Bebauungsplanes Nr. 5 und 5a kann mit der Begründung ab dem Tage der Bekanntmachung, in der Bauverwaltung der Gemeinde Kabelsketal, Ortsteil Gröbers, Lange Straße 18 in 06184 Kabelsketal während folgender Sprechzeiten

Montag:

9.00 – 12.00 und 13.00 – 16.00 Uhr

Dienstag:

9.00 – 12.00 und 13.00 – 18.00 Uhr

Donnerstag:

9.00 – 12.00 und 13.00 – 15.00 Uhr

von jedermann eingesehen werden.

Ergänzend kann die 8. vereinfachte Änderung des Bebauungsplanes Nr. 5 und 5a auf der Internetseite der Gemeinde Kabelsketal eingesehen werden.

Auf die Voraussetzungen für die Geltendmachung der Verletzung von Verfahrens- und Formvorschriften und von Mängeln der Abwägung sowie die Rechtsfolgen des § 215 Abs. 1 BauGB wird hingewiesen.

Unbeachtlich werden demnach:

  1. eine nach § 214 Abs. 1 Satz 1 Nr. 1 bis 3 BauGB beachtliche Verletzung der dort bezeichneten Verfahrens- und Formvorschriften,
  2. eine unter Berücksichtigung des § 214 Abs. 2 BauGB beachtliche Verletzung der Vorschriften über das Verhältnis des Bebauungsplans und des Flächennutzungsplans und
  3. nach § 214 Abs. 3 Satz 2 BauGB beachtliche Mängel des Abwägungsvorgangs,

wenn sie nicht innerhalb eines Jahres seit dieser Bekanntmachung schriftlich gegenüber der Gemeinde Kabelsketal geltend gemacht worden sind. Dabei ist der Sachverhalt, der die Verletzung oder den Mangel begründen soll, darzulegen (§ 215 Abs. 1 BauGB).

Außerdem wird auf die Vorschriften des § 44 Abs. 3 Satz 1 und 2 sowie Abs. 4 BauGB hingewiesen. Danach erlöschen Entschädigungsansprüche für nach den §§ 39 bis 42 BauGB eingetretene Vermögensnachteile, wenn nicht innerhalb von drei Jahren nach Ablauf des Kalenderjahres, in dem die Vermögensnachteile eingetreten sind, die Fälligkeit des Anspruchs herbeigeführt wird.

Kabelsketal, 07.06.2024

Kunnig
Bürgermeister