Titel Logo
Amtsblatt der Gemeinde Kabelsketal mit den Ortsteilen
Ausgabe 16/2025
Gemeinde Kabelsketal
Zurück zur vorigen Seite
Zurück zur ersten Seite der aktuellen Ausgabe

Bekanntmachung der Veröffentlichung des Entwurfs der 9. vereinfachten Änderung des Bebauungsplanes Nr. 5 und 5a in Großkugel der Gemeinde Kabelsketal nach § 3 Abs. 2 BauGB

Der vom Gemeinderat Kabelsketal in der Sitzung am 28.08.2025 gebilligte und zur Veröffentlichung bestimmte Entwurf der 9. vereinfachten Änderung des Bebauungsplanes Nr. 5 und 5a in Großkugel der Gemeinde Kabelsketal in der Fassung vom Juli 2025, bestehend aus Planzeichnung und Begründung sowie den textlichen Festsetzungen, wird

vom 06.10.2025 bis 07.11.2025

gemäß § 3 Abs. 2 des Baugesetzbuches (BauGB) auf der Internetseite der Gemeinde Kabelsketal unter folgendem Link veröffentlicht:

https://www.kabelsketal.de/de/oeffentliche-bekanntmachung-der-bauverwaltung.html

sowie über das zentrale Landesportal unter

https://beteiligung.sachsen-anhalt.de/portal/hauptportal/startseite.

Zusätzlich zur Veröffentlichung im Internet können die o. g. Unterlagen im gleichen Zeitraum in der Bauverwaltung der Gemeinde Kabelsketal (OT Gröbers), Lange Str. 18 in 06184 Kabelsketal, während folgender Zeiten

Montag:

9.00 – 12.00 und 13.00 – 16.00 Uhr

Dienstag:

9.00 – 12.00 und 13.00 – 19.00 Uhr

Donnerstag:

9.00 – 12.00 und 13.00 – 15.00 Uhr

von jedermann eingesehen werden.

Stellungnahmen können während der Dauer der Veröffentlichung abgegeben werden. Sie sollen elektronisch per E-Mail unter vollständiger Angabe des Absenders an folgende E-Mail-Adresse

bauverwaltung@kabelsketal.de

übermittelt werden, können aber bei Bedarf aber auch auf anderem Weg bei der

Gemeindeverwaltung Kabelsketal

Lange Straße 18

06184 Kabelsketal

abgegeben werden.

Stellungnahmen, die im Verfahren der Öffentlichkeits- und Behördenbeteiligung nicht rechtzeitig abgegeben worden sind, können bei der Beschlussfassung über die Änderung des Bebauungsplanes unberücksichtigt bleiben, sofern die Gemeinde Kabelsketal deren Inhalte nicht kannte und nicht hätte kennen müssen und deren Inhalt für die Rechtmäßigkeit des Bebauungsplanes nicht von Bedeutung ist (§ 4 a Abs. 5 S. 1 BauGB).

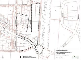
Die 9. vereinfachte Änderung betrifft die als Kerngebiete festgesetzten Baufelder B 7, B 8, B 9 und 10.1 des rechtskräftigen Bebauungsplanes Nr. 5 und 5a der Gemeinde Kabelsketal (OT Großkugel).

Betroffen sind die folgenden Flurstücke der Flur 3 der Gemarkung Großkugel:

31/22

31/25

32/109

32/189

32/197

32/199

32/206

32/207

32/208

32/209

32/210

32/211

32/212

32/213

32/215

32/216

32/217

32/218

32/219

32/220

32/221

32/225

32/227

32/228

32/229

32/230

32/231

32/252

37/11

37/17

37/29

37/41

37/42

37/43

37/44

37/45

37/46

37/47

37/48

37/49

37/50

37/65

258 teilw.

Die Lage und die Abgrenzung des Änderungsbereichs der 9. vereinfachten Änderung des Bebauungsplanes Nr. 5 und 5a sind der folgenden Abbildung zu entnehmen:

Inhalt der Änderung:

Der Eigentümer Marktzentrum Nord im OT Großkugel beabsichtigt, das Erdgeschoss des Turms zur Tagespflege und zwei der oberen Etagen zum Servicewohnen umnutzen. Um die geplante Nutzung zu ermöglichen, soll der Bebauungsplan Nr. 5 und 5a, in dessen Geltungsbereich die Objekte am Marktplatz im OT Großkugel liegen, geändert werden. Der Bebauungsplan Nr. 5 und 5a setzt für das betroffene Baufeld B 9 ein Kerngebiet laut § 7 der Baunutzungsverordnung (BauNVO) fest.

Laut § 7 Abs. 1 BauNVO dienen Kerngebiete vorwiegend der Unterbringung von Handelsbetrieben sowie der zentralen Einrichtungen der Wirtschaft, der Verwaltung und der Kultur. Laut § 7 Abs. 2 BauNVO sind u. a. Einrichtungen für gesundheitliche und soziale Zwecke im Kerngebiet allgemein zulässig.

Die textliche Festsetzung des Bebauungsplanes Nr. 5 und 5a, die die Art der baulichen Nutzung für alle innerhalb des Plangebietes gelegenen Kerngebiete (Baufelder B 7, B 8, B 9 und B 10.1) regelt, soll deshalb so geändert werden, dass die Vorgaben des § 7 Abs. 1 BauNVO mindestens im Erdgeschoss nachgewiesen werden und die darüberliegenden Geschosse für das Wohnen genutzt werden können. Kerngebietstypische Nutzungen sind weiterhin in allen Geschossen möglich.

Der Bebauungsplan Nr. 5 und 5a ist rechtskräftig und es handelt sich um eine Änderung von Festsetzungen, die sich auf das Gebiet selbst und angrenzende Flächen nicht wesentlich auswirkt. Die Grundzüge des Bebauungsplanes werden durch die Änderung nicht berührt. Somit kann die 9. Änderung des Bebauungsplanes im vereinfachten Verfahren nach § 13 BauGB durchgeführt werden.

Von der Umweltprüfung nach § 2 Abs. 4 BauGB sowie dem Umweltbericht nach § 2a BauGB und der Überwachung nach § 4c BauGB wird abgesehen.

Hinweise zum Datenschutz:

Es wird darauf aufmerksam gemacht, dass Dritte (Privatpersonen) mit der Abgabe einer Stellungnahme der Verarbeitung ihrer angegebenen Daten, wie Name, Adressdaten und E-Mail-Adresse zustimmen. Sofern Sie Ihre Stellungnahme ohne Absenderangaben abgeben, erhalten Sie keine Mitteilung über das Ergebnis der Prüfung nach Abschluss des Verfahrens. Gemäß Art. 6 Abs. 1e

EU-DSGVO werden die Daten im Rahmen des Bauleitplanverfahrens für die gesetzlich bestimmten Dokumentationspflichten und für die Informationspflicht Ihnen gegenüber genutzt.

 — 

Kabelsketal, 02.09.2025

Der Gemeinderat
Kunnig
Bürgermeister