Titel Logo
Amtsblatt der Gemeinde Kabelsketal mit den Ortsteilen
Ausgabe 22/2023
Gemeinde Kabelsketal
Zurück zur vorigen Seite
Zurück zur ersten Seite der aktuellen Ausgabe

Bekanntmachung

Veränderungssperre im Zusammenhang mit der 8. vereinfachten Änderung des Bebauungsplans Nr. 5 und 5a der Gemeinde Kabelsketal, OT Großkugel

Satzungsbeschluss

Der Gemeinderat der Gemeinde Kabelsketal hat in seiner öffentlichen Sitzung am 26.10.2023 die Veränderungssperre im Zusammenhang mit der 8. vereinfachten Änderung für das Gebiet des Bebauungsplans Nr. 5 und 5a der Gemeinde Kabelsketal, OT Großkugel gemäß § 16 Absatz 1 Baugesetzbuch (BauGB) als Satzung beschlossen.

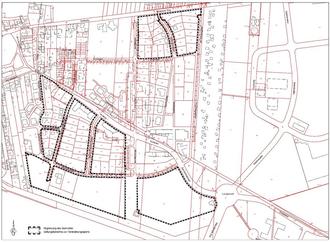
Der räumliche Geltungsbereich der Veränderungssperre umfasst den Bereich, der als Mischgebiet festgesetzten Flächen, die sich zwischen der alten Ortslage Großkugel im Westen und Kleingartenanlage Großkugel sowie der Prof-Schmeil-Allee im Osten, der Bundesstraße B 6 im Süden, der Dorfstraße und dem Werlitzscher Weg im Norden befinden.

Die genaue Abgrenzung ist aus dem angefügten Lageplan ersichtlich.

Gemäß § 16 Absatz 2 Satz 2 2. Halbsatz BauGB in Verbindung mit § 10 Absatz 3 Satz 2 BauGB kann jedermann die Veränderungssperre für das Gebiet des Bebauungsplans Nr. 5 und 5a einsehen und über den Inhalt Auskunft verlangen.

Die Unterlagen können in der Bauverwaltung der Gemeinde Kabelsketal, Lange Straße 18, in 06184 Kabelsketal OT Gröbers, während der folgenden Sprechzeiten

Mo.

9.00 Uhr bis 12.00 Uhr

und

13.00 Uhr bis 16.00 Uhr

Di.

9.00 Uhr bis 12.00 Uhr

und

13.00 Uhr bis 18.00 Uhr

Do.

9.00 Uhr bis 12.00 Uhr

und

13.00 Uhr bis 15.00 Uhr

eingesehen werden.

Die der Planung zugrunde liegenden Vorschriften (Gesetze, Verordnungen und DIN-Vorschriften) können an gleicher Stelle ebenfalls eingesehen werden.

Gemäß § 215 Absatz 1 BauGB werden unbeachtlich

eine nach § 214 Absatz 1 Satz 1 Nr. 1 bis 3 BauGB beachtliche Verletzung der dort bezeichneten Verfahrens- und Formvorschriften,

eine unter Berücksichtigung des § 214 Absatz 2 BauGB beachtliche Verletzung der Vorschriften über das Verhältnis des Bebauungsplans und des Flächennutzungsplans und

nach § 214 Absatz 3 Satz 2 BauGB beachtliche Mängel des Abwägungsvorgangs,

wenn sie nicht innerhalb eines Jahres seit Bekanntmachung dieser Satzung schriftlich gegenüber der Gemeinde unter Darlegung des die Verletzung begründenden Sachverhalts geltend gemacht worden sind.

Auf die Vorschriften des § 18 Abs. 2 Satz 2 und 3 BauGB über die fristgemäße Geltendmachung etwaiger Entschädigungsansprüche und des § 18 Abs. 3 BauGB über das Erlöschen von Entschädigungsansprüchen wird hingewiesen.

Weiterhin wird auf die Rechtsfolgen nach § 8 Absatz 3 Kommunalverfassungsgesetz Land Sachsen-Anhalt (KVG LSA) hingewiesen:

Ist eine Satzung gemäß § 8 Absatz 3 KVG LSA unter Verletzung von Verfahrens- oder Formvorschriften, die in diesem Gesetz enthalten oder aufgrund dieses Gesetzes erlassen worden sind, zustande gekommen, so ist diese Verletzung unbeachtlich, wenn sie nicht schriftlich innerhalb eines Jahres seit Bekanntmachung der Satzung gegenüber der Kommune geltend gemacht worden ist. Dabei sind die verletzte Vorschrift und die Tatsache, die den Mangel ergibt, zu bezeichnen.

Mit dieser Bekanntmachung tritt die Veränderungssperre im Zusammenhang mit der 8. vereinfachten Änderung für das Gebiet des Bebauungsplans Nr. 5 und 5a der Gemeinde Kabelsketal, OT Großkugel in Kraft.

Kabelsketal, 02.11.2023

Kunnig
Bürgermeister