Titel Logo
Amtsblatt der Stadt Köthen (Anhalt) – Bürgerzeitung mit amtlichen Bekanntmachungen
Ausgabe 7/2023
Amtlicher Teil
Zurück zur vorigen Seite
Zurück zur ersten Seite der aktuellen Ausgabe

Öffentliche Bekanntmachung über das Inkrafttreten des Bebauungsplanes Nr. 68 "Solarpark Am Rehkopf" in Dohndorf der Stadt Köthen (Anhalt)

Der Stadtrat der Stadt Köthen (Anhalt) hat am 28.02.2023 in öffentlicher Sitzung den Bebauungsplan Nr. 68 "Solarpark Am Rehkopf" in Dohndorf der Stadt Köthen (Anhalt) nach § 10 (1) Baugesetzbuch (BauGB) in Verbindung mit § 8 Kommunal-verfassungsgesetz des Landes Sachsen-Anhalt (KVG LSA) als Satzung beschlossen.

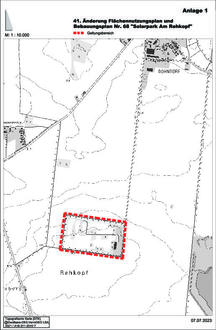
Der Geltungsbereich des Bebauungsplanes Nr. 68 ist in der Anlage 1 dargestellt.

Der Bebauungsplan Nr. 68 "Solarpark Am Rehkopf" in Dohndorf der Stadt Köthen (Anhalt) tritt mit dieser Bekanntmachung in Kraft (vgl. § 10 (3) BauGB).

Der Bebauungsplan Nr. 68 "Solarpark Am Rehkopf", bestehend aus der Planzeichnung (Teil A) und den Textlichen Festsetzungen (Teil B) sowie die Begründung und der Umweltbericht können bei der Stadtverwaltung Köthen (Anhalt), Abt. Stadtentwicklung, Wallstraße 1 bis 5 während der üblichen Dienststunden von jedermann eingesehen werden.

Die Unterlagen können ebenso im Internetauftritt der Stadt Köthen (Anhalt) unter folgendem Link angesehen werden:

https://www.koethen-anhalt.de/de/bebauungsplaene.html

Auf die Vorschriften des § 44 (3) Satz 1 und 2 BauGB über die Fälligkeit etwaiger Entschädigungsansprüche, deren Leistung schriftlich beim Entschädigungspflichtigen zu beantragen ist und des § 44 (4) BauGB über das Erlöschen von Entschädigungsansprüchen wird hingewiesen.

Eine beachtliche Verletzung der in § 214 (1) Satz 1 Nr. 1 bis 3 BauGB bezeichneten Verfahrens- und Formvorschriften und eine beachtliche Verletzung der Vorschriften über das Verhältnis des Bebauungsplanes und des Flächennutzungsplanes unter Berücksichtigung des § 214 (2) BauGB sowie beachtliche Mängel des Abwägungsvorgangs nach § 214 (3) Satz 2 BauGB werden gemäß § 215 (1) BauGB

unbeachtlich, wenn die Verletzung der oben genannten Vorschriften nicht innerhalb eines Jahres seit dieser Bekanntmachung schriftlich gegenüber der Stadt Köthen (Anhalt) unter Darlegung des die Verletzung begründenden Sachverhaltes geltend gemacht worden sind.

Köthen (Anhalt), den 14.07.2023

Christina Buchheim
Bürgermeisterin