Titel Logo
Amtliches Mitteilungsblatt der Stadt Oschersleben (Bode) und ihrer Ortsteile
Ausgabe 6/2023
Amtliche Bekanntmachungen
Zurück zur vorigen Seite
Zurück zur ersten Seite der aktuellen Ausgabe

Amtliche Bekanntmachung der Stadt Oschersleben (Bode)

Bauleitplanung der Stadt Oschersleben (Bode)

Bekanntmachung des Entwurfs- und Billigungsbeschlusses der 1. Änderung des Bebauungsplanes Nr. 01/2021 „Wohnpark Zuckerfabrik“ in Oschersleben (Bode)

Der Bau-, Wirtschafts- und Umweltausschuss der Stadt Oschersleben (Bode) hat in seiner öffentlichen Sitzung am 2. Mai 2023 dem Entwurf des oben genannten Bebauungsplanes zugestimmt und die Auslage beschlossen.

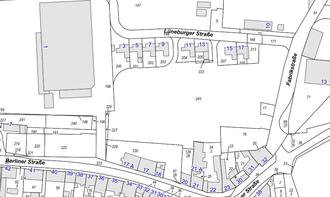
Geltungsbereich:

Lage:

Der Bereich des Wohnparks wird begrenzt nördlich durch die Bebauung der Lüneburger Straße, südlich durch die Bebauung der Berliner Straße, östlich durch die Fabrikstraße und westlich durch Kaufland.

Flur:

52

Flurstück:

243

Die Schwerpunkte der 1. Änderung des Bebauungsplans 01/2021 „Wohnpark Zuckerfabrik“ sind:

-

Ableitung des Niederschlagwassers,

-

Änderung der Bebauung von 2 Wohnfelder und

-

Straßenführung innerhalb des Baugebietes.

Der Entwurf der 1. Änderung des Bebauungsplanes Nr. 01/2021 „Wohnpark Zuckerfabrik“ in Oschersleben (Bode) einschließlich der Begründung liegen für die Dauer eines Monats in der Zeit vom 12. Juni 2023 bis 14. Juli 2023 in der Stadt Oschersleben (Bode), Haus 1, Erdgeschoss, Markt 1, 39387 Oschersleben (Bode) öffentlich aus. Die Auslage erfolgt zu den folgenden Dienstzeiten:

Wochentag

vormittags

nachmittags

Dienstag

09.00 Uhr — 12.00 Uhr

13.00 Uhr — 17.30 Uhr

Donnerstag

09.00 Uhr — 12.00 Uhr

13.00 Uhr — 15.30 Uhr

Freitag

09.00 Uhr — 12.00 Uhr

Während der Auslegungsfrist können von jedermann Stellungnahmen zum Planentwurf schriftlich oder mündlich zur Niederschrift im Rathaus der Stadt Oschersleben (Bode), Fachbereich Bauen und Umwelt, Sachgebiet Planung, I. Obergeschoss, Markt 1, 39387 Oschersleben (Bode), während der Dienststunden abgegeben werden. Die Abgabe der Stellungnahme ist auch per E-Mail bis zum 14. Juli 2023 möglich. Ihre E-Mail schicken Sie bitte an die

E-Mailadresse planungsabteilung@oscherslebenbode.de.

Zusätzlich wird der Entwurf der 1. Änderung des Bebauungsplanes Nr. 01/2021 „Wohnpark Zuckerfabrik“ in Oschersleben (Bode) auf der Homepage der Stadt Oschersleben (Bode) veröffentlicht.

Hinweise:

1) Nicht fristgerecht abgegebene Stellungnahmen können bei der Beschlussfassung über den Bebauungsplan Nr. 05/2018 „Zur Bismarckeiche 2. Bauabschnitt“ Ortsteil Klein Oschersleben, Oschersleben (Bode) unberücksichtigt bleiben, sofern der Plangeber deren Inhalt nicht kannte oder nicht hätte kennen müssen und deren Inhalt für die Rechtmäßigkeit des Bauleitplans nicht von Bedeutung ist.

2) Verfahren: Gemäß § 13 b BauGB (Einbeziehung von Außenbereichsflächen in das beschleunigte Verfahren) ist bei Aufstellung eines Bebauungsplans im beschleunigten Verfahren ortsüblich bekannt zu machen, dass der Bebauungsplan im beschleunigten Verfahren ohne Durchführung einer Umweltprüfung nach § 2 Absatz 4 aufgestellt wird.

3) Anfragen oder Terminabstimmungen können an folgende E-Mailadresse geschickt werden:

planungsabteilung@oscherslebenbode.de

4) Die Verarbeitung personenbezogener Daten erfolgt auf der Grundlage des Art. 6 Abs. 1 Buchstabe e Datenschutzgrundverordnung (DSGVO) in Verbindung mit Art. 6 Abs. 3 Buchstabe b DSGVO und § 3 Baugesetzbuch (BauGB). Weitere Informationen entnehmen Sie bitte der Datenschutzinformation im Rahmen der Bauleitplanung.

Stadt Oschersleben (Bode), den 2. Juni 2023

gez. Kanngießer
Bürgermeister