Titel Logo
Gemeindespiegel
Ausgabe 4/2024
Mitteilungen aus dem Rathaus
Zurück zur vorigen Seite
Zurück zur ersten Seite der aktuellen Ausgabe

Baustellen im Gemeindegebiet

Die Bauverwaltung informiert über Baustellen im Gemeindegebiet:

1. Energetische Ertüchtigung am Gebäude von Grundschule und Hort Rackwitz:

In den letzten Gemeindespiegeln wurde über die Baustelle zur neuen Dacheindeckung am Gebäudedach des Nordflügels vom Gebäudekomplex der Grundschule und Hort Rackwitz, Straße der Jugend 8, informiert.

Die Dachdeckerarbeiten am Gebäude konnten in den Sommerferien abgeschlossen werden. Das verwendete Titanzinkblech ist nahezu wartungsfrei und zeichnet sich durch eine hohe Beständigkeit aus. Darüber hinaus bietet das Material mittels Dachpfalzen die Möglichkeit, Befestigungsmittel waagerecht durch die Dachhaut zu führen, was die dauerhafte Dichtheit im Bereich von notwendigen Dachhautdurchdringungen sichert. Im Sinne der energetischen Sanierung wurde auf dem Dach auch eine Photovoltaik-Anlage (32-Kw PV-Anlage) montiert (siehe Bild 1).

Neben der reinen PV-Anlage, welche nun bei sonnigem Wetter nahezu kostenfreien Strom liefern kann, wurden im Technikraum des Gebäudes die dafür notwendigen Wechselrichter sowie zwei Stromspeicher installiert (siehe Bild 2). Dies soll gewährleisten, dass sich das Gebäude in den Sommermonaten fast vollständig selbst mit Strom versorgen kann.

Überschüssiger Strom wird in das öffentliche Stromnetz eingespeist.

2. Bauarbeiten für das Bürger- und Dienstleistungszentrum (LANDI):

Kurz vor dem Wintereinbruch laufen die Bauarbeiten am größten kommunalen Bauvorhaben auf Hochtouren.

Im Außenbereich wurde das Bestandsgebäude nun fast vollständig mit Fassadendämmung aus Holzfasern eingehaust (siehe Bild 3). Eine Holzfaserdämmung kommt im kommunalen Gebäudebestand erstmals zum Einsatz. Dieser Dämmstoff bietet neben der vergleichsweise hohen Umweltfreundlichkeit und den guten Wärmedämmeigenschaften vor allem gute Schalldämmwerte, welche an diesem Objekt auch notwendig sind. Darüber hinaus besitzt dieser Dämmstoff den Vorteil, dass die Holzfasern überschüssige Umgebungsfeuchte aufnehmen und bei sinkender Umgebungsfeuchte wieder abgeben. Das wiederum trägt zu einem baubiologisch gesundem Raumklima bei und beugt Schimmelbildung vor. Konventionelle Dämmstoffe sind hingegen kaum in der Lage, Feuchtigkeit aufzunehmen, weshalb es bei diesen leichter zu Feuchteschäden und Mängeln führen kann. Um die Arbeiten an der Fassade noch rechtzeitig vor dem Wintereinbruch abschließen zu können, hoffen wir bis Weihnachten auf ausreichend milde Witterungsverhältnisse.

Im Inneren des Gebäudes wurde der unerwartet vorgefundene Fußbodenaufbau zurückgebaut, die Oberflächen sandgestrahlt, Abdichtungslagen aufgebracht und mit den Trockenbauarbeiten sowie der Elektroinstallation begonnen.

Neben den Umbauarbeiten am Bestandsgebäude wurde die Maschinenhalle samt Offenlagen sowie Schüttgutlager für den Betriebshof der Gemeinde fast vollständig hergestellt (siehe Bild 4). Hier sind neben dem ausstehenden Einbau der Tore im Wesentlichen noch Tiefbau- sowie Abdichtungsarbeiten zu bewerkstelligen und der Wasserspeicher für die Be- und Entwässerung einzubauen.

In der Zwischenzeit wurden zur baulichen Umsetzung bereits 37 von insgesamt 56 vorgesehenen Baulosen (Baugewerken) vertraglich gebunden.

Die Zuwendungen für Planung und Baukosten betragen auf Grundlage der vorangegangenen Kostenermittlungen insgesamt 4.287.500,00 EUR.

Das Vorhaben wird im Rahmen des „Investitionsgesetzes Kohleregionen (InvKG)“ durch die Bundesrepublik Deutschland gefördert.

3. Befestigung des Radweges zwischen Lemsel und Zschortau:

Seit ca. 30 Jahren besteht von Bürgern aus Lemsel und Zschortau der Wunsch nach einer angemessenen Rad- und Gehwegverbindung zwischen diesen beiden Ortsteilen.

Auf Grundlage der Radverkehrskonzeption und im Rahmen eines Programmes zur Mobilitätswende des Freistaates Sachsen ist es der Gemeinde Rackwitz nun gelungen, mit dem Landesamt für Straßenbau und Verkehr eine Vereinbarung über die Finanzierung eines Radweges zu schließen.

Nach ca. 2 Jahren Planungs- und Ausschreibungsphase sowie einer nachzuweisenden SPA-Verträglichkeitsprüfung durfte Anfang Oktober 2024 mit der Befestigung des ursprünglich bereits vorhandenen (aber „nur“ geschotterten) Radweges begonnen werden.

Innerhalb der vertraglichen Frist sowie den veranschlagten Kosten konnte der frisch asphaltierte Radweg mit einer Länge von ca. einem Kilometer am 27.11.2024 in Betrieb genommen werden (siehe Bild 5).

Der Rad- und Gehweg besitzt im Vergleich zu anderen Radwegen eine vergleichsweise hohe Breite, um eine landwirtschaftliche Nutzung (samt Begegnungsfällen) auch weiterhin gewährleisten zu können. Darüber hinaus wurde auf ein Aufrauen der Oberfläche bewusst verzichtet, um eine Leichtgängigkeit für Radsportbegeisterte (z.B. Rennrad-Fahrer oder Inline-Skaterfahrer) zu bieten und einen Selbstreinigungseffekt – z. B. nach landwirtschaftlicher Nutzung - durch Regen zu unterstützen.

In den nächsten Monaten sollen in unmittelbarer Nähe und am Rand des nun versiegelten Radweges entsprechend naturschutzfachliche Ausgleichsmaßnahmen folgen.

4. Tausch von Grundstücken am Quermorgen mit Grundstück an Böttcherstraße:

Auf Basis eines Gemeinderatsbeschlusses hat die Gemeinde Rackwitz vorhandene bzw. noch nicht bebaute Grundstücke am Quermorgen mit einem ca. ähnlich großen Grundstück in der Böttcherstraße 1 getauscht.

Das in der Böttcherstraße 1 vor kurzem noch vorhandene Wohngebäude wurde in der Zwischenzeit abgetragen (siehe Bild 6). Das Grundstück soll gemäß Gemeinderatsbeschluss der Errichtung eines neuen Feuerwehrgerätehauses für die Feuerwehren Zschortau und Biesen dienen.

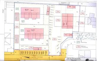
Am Quermorgen hat ein Investor gemäß vorhandener Baugenehmigung mehrere Mehrfamilienwohnhäuser vorgesehen. Die Bauarbeiten sollen an dieser Stelle in Kürze beginnen. Für die Wohneinheiten ist auf diesem Grundstück auch eine ausreichende Anzahl an Stellplätzen für Fahrzeuge/PKW geplant. Zwischen dem westlichen Grenzbereich des Baugrundstückes und dem „Quermorgen“ werden auch öffentliche Stellplätze bestehen bleiben (siehe Bild 7 – insgesamt 12 Stellplätze in orange gekennzeichnet).