Titel Logo
Der Lindenstein Amts- und Mitteilungsblatt der Stadt Sandersdorf-Brehna
Ausgabe 3/2023
Amtlicher Teil
Zurück zur vorigen Seite
Zurück zur ersten Seite der aktuellen Ausgabe

Bekanntmachung der Stadt Sandersdorf-Brehna über die Öffentliche Auslegung des Vorentwurfs zum Bebauungsplan „Sondergebiet Photovoltaik-Freiflächenanlage, südlich Schwarzer Weg“ in der Gemarkung Ramsin

Der Stadttrat der Stadt Sandersdorf-Brehna hat in öffentlicher Sitzung am 22.02.2023 die Aufstellung des Bebauungsplanes „Sondergebiet Photovoltaik-Freiflächenanlage, südlich Schwarzer Weg“ in der Gemarkung Ramsin beschlossen. In gleicher Sitzung hat der Stadtrat der Stadt Sandersdorf-Brehna die frühzeitige Beteiligung der Öffentlichkeit nach § 3 Abs. 1 BauGB und die frühzeitige Beteiligung der Behörden, sonstigen Träger öffentlicher Belange sowie der Nachbargemeinden und -städte gemäß § 4 Abs. 1 BauGB beschlossen.

Für den Bebauungsplan ist eine Umweltprüfung nach § 2 Abs. 4 BauGB durchzuführen.

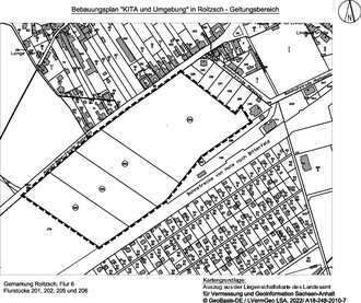
Der räumliche Geltungsbereich des Plangebietes zur Gewinnung von Solarenergie liegt am östlichsten Gemarkungsrand von Ramsin, südöstlich der Ortslage von Zscherndorf. Der Geltungsbereich erstreckt sich über Teilflächen der ehemaligen Tagebaugrube „Auguste“ (später Freiheit III) und ist über eine bestehende Zuwegung verkehrlich erschlossen. Das Plangebiet umfasst das Flurstück 2/16 der Flur 4 in der Gemarkung Ramsin und ist im Anschluss an diese Bekanntmachung dargestellt.

Der Vorentwurf des Bebauungsplanes „Sondergebiet Photovoltaik-Freiflächenanlage, südlich Schwarzer Weg“, bestehend aus der Planzeichnung (Teil A), den Textlichen Festsetzungen (Teil B) und der Begründung nebst Anlagen liegt in der Zeit vom

27. März 2023 bis einschließlich 28. April 2023

Montag:

geschlossen

Dienstag:

09.00 bis 12.00 Uhr und 13.00 bis 18.00 Uhr

Mittwoch:

geschlossen

Donnerstag:

09.00 bis 12.00 Uhr und 13.00 bis 16.00 Uhr

Freitag:

09.00 bis 12.00 Uhr

sowie nach vorheriger terminlicher Vereinbarung in der Stadt Sandersdorf-Brehna, Bahnhofstraße 2, im Fachbereich Bau- und Ordnungsverwaltung, Raum 24 in 06792 Sandersdorf-Brehna zur frühzeitigen Beteiligung der Öffentlichkeit gemäß § 3 Abs. 1 BauGB öffentlich aus. Jedermann ist zur Einsicht berechtigt. Es wird Auskunft über die allgemeinen Ziele und Zwecke der Planung sowie über die voraussichtlichen Auswirkungen der Planung erteilt.

Während der Auslegungszeit können Stellungnahmen, Anregungen, Hinweise und/oder Bedenken zum Entwurf des Bebauungsplanes, schriftlich, mündlich zur Niederschrift oder per E-Mail (info@sandersdorf-brehna.de) eingereicht werden. Der Inhalt dieser Bekanntmachung sowie die Unterlagen des Vorentwurfs zum Bebauungsplan „Sondergebiet Photovoltaik-Freiflächenanlage, südlich Schwarzer Weg“ in der Gemarkung Ramsin sind während der Auslegungszeit auf der Internetseite der Stadt Sandersdorf-Brehna unter www.sandersdorf-brehna.de/Meine-Stadt/Mein-Rathaus-Online/Amtliche-Bekanntmachungen einsehbar.

Des Weiteren sind die Unterlagen über den Sachsen-Anhalt-Viewer des Landesamtes für Vermessung und Geoinformation Sachsen-Anhalt (Landesportal) zugänglich.

Damit wird auch den Festsetzungen des Gesetzes zur Sicherstellung ordnungsgemäßer Planungs- und Genehmigungsverfahren während der COVID-19-Pandemie (Planungssicherstellungsgesetz-PlanSiG) vom 20.05.2020 in der aktuell gültigen Fassung entsprochen.

Die der Planung zugrunde liegenden nicht öffentlichen Vorschriften (Verordnungen, DIN-Vorschriften und ähnliche Regelungen) werden während der Zeit der förmlichen Öffentlichkeitsbeteiligung an der o.g. Stelle zur Einsicht bereitgehalten.

Es wird darauf hingewiesen, dass nicht fristgerecht abgegebene Stellungnahmen bei der Beschlussfassung über den Bauleitplan gemäß § 4a Abs. 6 BauGB unberücksichtigt bleiben können.

Hinweise zum Datenschutz

Es wird darauf aufmerksam gemacht, dass Dritte (Privatpersonen) mit der Abgabe einer Stellungnahme der Verarbeitung ihrer angegeben Daten, wie Name, Adressdaten und E-Mailadressen zustimmen. Sofern Sie Ihre Stellungnahme ohne Absenderangaben abgeben, erhalten Sie keine Mitteilung über das Ergebnis der Prüfung nach Abschluss des Verfahrens. Gemäß Art. 6 Abs. 1e EU-DSGVO werden die Daten im Rahmen des Bauleitplanverfahrens für die gesetzlich bestimmten Dokumentationspflichten und für die Informationspflicht Ihnen gegenüber genutzt.

Sandersdorf-Brehna, den 07.03.2023

Steffi Syska
Bürgermeisterin