Titel Logo
Amtsblatt für die Stadt Spremberg/Grodk – Spremberger Anzeiger
Ausgabe 14/2024
Informationen aus dem Rathaus
Zurück zur vorigen Seite
Zurück zur ersten Seite der aktuellen Ausgabe

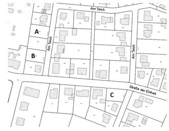
Attraktive Baugrundstücke in bester Lage

Die Stadt Spremberg/Grodk beabsichtigt folgende Liegenschaften zu verkaufen:

Gemarkung Sellessen, Flur 3,

Angebot A

Flurstück 481

585 m²

Bauland

Angebot B

Flurstück 479

585 m²

Bauland

Angebot C

Flurstück 515

594 m²

Bauland

Die Grundstücke liegen im räumlichen Geltungsbereich der 1. Änderung des Bebauungsplanes Nr. 47 „Umsiedlung Haidemühl“. Dieser Bebauungsplan ist ein sog. qualifizierter Bebauungsplan im Sinne des § 30 (1) BauGB. Die Zulässigkeit von Vorhaben regelt sich nach den jeweiligen Festsetzungen und kann nur grundstücksbezogen dargestellt werden.

Der Bebauungsplan kann im Geoportal der Stadt Spremberg/Grodk (www.spremberg.de) eingesehen werden.

Das Mindestgebot beträgt 50,- € pro m² Bauland.

Der Zuschlag erfolgt auf das Höchstgebot.

Durch den Bieter ist ein Bonitätsnachweis vorzulegen.

Unvollständige Unterlagen werden bei der Vergabe nicht berücksichtigt.

Die Gebote sind bis zum 31.01.2025 nur im verschlossenen Umschlag für jeweils ein Angebot mit der Aufschrift „Ausschreibung Baugrundstück z. B. A“ zu senden an:

Stadtverwaltung Spremberg/Grodk

Stadtplanung

Am Markt 1

03130 Spremberg/Grodk