Titel Logo
Amtsblatt für die Stadt Spremberg/Grodk – Spremberger Anzeiger
Ausgabe 7/2024
Amtliche Bekanntmachungen
Zurück zur vorigen Seite
Zurück zur ersten Seite der aktuellen Ausgabe

Öffentliche Auslegung des Entwurfes des Bebauungsplanes Nr. 118 „Eigenheimstandort Bräsinchener Straße“

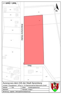
Bebauungsplan Nr. 118 „Eigenheimstandort Bräsinchener Straße“

Die Stadtverordnetenversammlung der Stadt Spremberg/Grodk hat nach Prüfung des Vorliegens der Voraussetzungen in der Sitzung am 07.12.2022 beschlossen, für das Gebiet „Eigenheimstandort Bräsinchener Straße“ einen Bebauungsplan Nr. 118 gemäß § 13b Baugesetzbuch im beschleunigten Verfahren aufzustellen. Eine Umweltprüfung wird nicht durchgeführt.

Gemäß § 3 Kommunalverfassung Brandenburg (BbgKVerf) und § 13b i.V.m. § 13a, § 13 Abs. 2 Nr. 2 und § 215a Baugesetzbuch (BauGB) liegen der Plan und die Begründung des Entwurfes des Bebauungsplanes Nr. 118 „Eigenheimstandort Bräsinchener Straße“ (siehe Übersichtsplan)

vom 24.06.2024 bis einschließlich 24.07.2024

öffentlich aus.

Der räumliche Geltungsbereich befindet sich im Ortsteil Sellessen/Zelezna. Das Plangebiet grenzt östlich an die Bräsinchener Straße und südlich schließt sich die vorhandene Wohnbebauung an.

Die Unterlagen können während folgender Zeiten in der Stadtverwaltung Spremberg/Grodk, Fachbereich Planen und Bauen, Sachgebiet Stadtplanung, Am Markt 1, Zimmer 312i (2. Obergeschoss), eingesehen werden:

Mo.

7.30 bis 13.30 Uhr

Di.

7.30 bis 12.00 Uhr und 13.00 bis 17.30 Uhr

Mi.

7.30 bis 13.30 Uhr

Do.

7.30 bis 12.00 Uhr und 13.00 bis 16.00 Uhr

Fr.

7.30 bis 12.00 Uhr

Stellungnahmen zum Entwurf können während dieser Auslegungsfrist schriftlich oder zur Niederschrift vorgebracht werden. Verspätet abgegebene Stellungnahmen können bei der Beschlussfassung über den Bebauungsplan gemäß § 4a Abs. 6 BauGB unberücksichtigt bleiben. Ein Antrag nach § 47 Verwaltungsgerichtsordnung (VwGO) ist unzulässig, wenn mit ihm nur Einwendungen geltend gemacht werden, die vom Antragsteller im Rahmen der Auslegung nicht oder verspätet geltend gemacht wurden, aber hätten geltend gemacht werden können.

Der Entwurf des Bebauungsplanes mit Begründung können gem. § 4a Abs. 4 BauGB in der Zeit der der Auslegung zusätzlich auch im Internet unter https://spremberg.de/rathaus/aktuelles/oeffentliche-auslegungen/ eingesehen werden.

Hinweis:

Die Verarbeitung personenbezogener Daten erfolgt auf Grundlage des Artikels 6 Abs. 1 c beziehungsweise e der europäischen Datenschutzgrundverordnung (DS-GVO) in Verbindung mit § 3 BauGB und dem Brandenburgischen Datenschutzgesetz. Sofern Sie Ihre Stellungnahme ohne Absenderangaben abgeben, erhalten Sie keine Mitteilung über das Ergebnis der Prüfung. Weitere Informationen entnehmen Sie bitte dem Hinweisblatt zum Datenschutz: Informationspflichten bei der Erhebung von Daten im Rahmen der Öffentlichkeitsbeteiligung nach dem BauGB (Artikel 13 DS-GVO), welches mit ausliegt.

Christine Herntier
Bürgermeisterin