Titel Logo
Die neue Brücke – Das Amtsblatt der Lutherstadt Wittenberg
Ausgabe 9/2025
Amtliche Bekanntmachungen
Zurück zur vorigen Seite
Zurück zur ersten Seite der aktuellen Ausgabe

Bekanntmachung der Beteiligung der Öffentlichkeit gemäß § 3 Abs. 2 BauGB

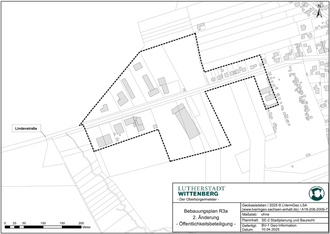
Bebauungsplan R3a Gewerbegebiet Lindenstraße

2. Änderung

Der Stadtrat der Lutherstadt Wittenberg hat in seiner Sitzung am 12.06.2024 die Aufstellung des o. g. Bebauungsplanes beschlossen (Beschluss-Nr. I/520-47-24).

Das etwa 8,47 ha große Plangebiet liegt im Ortsteil Reinsdorf. Das Plangebiet grenzt an die Reinsdorfer Lindenstraße. Die Plangebietsabgrenzung ist dem beigefügten Lageplan zu entnehmen.

Folgende Planziele sollen im o. g. Bebauungsplan Berücksichtigung finden:

Erweiterung der Betriebsfläche des Recyclinghofes unter Beibehaltung der im rechtswirksamen Bebauungsplan R3a Gewerbegebiet Lindenstraße 1. Änderung festgesetzten Emissionskontingente

Gemäß § 3 Abs. 2 BauGB werden der Entwurf des Bebauungsplans mit Begründung und den wesentlichen, bereits vorliegenden umweltbezogenen Stellungnahmen sowie diese Bekanntmachung über die Homepage der Lutherstadt Wittenberg in der Zeit vom 05.05.2025 bis 09.06.2025 veröffentlicht und können unter folgendem Link www.wittenberg.de/stadtplanung eingesehen werden. Die Unterlagen werden auch über das zentrale Internetportal des Landes zugänglich gemacht.

Zusätzlich zur Veröffentlichung im Internet liegen der Bebauungsplanentwurf einschließlich der Begründung sowie der umweltbezogenen Gutachten und Informationen in dieser Zeit im Neuen Rathaus, Bürgerbüro, Lutherstraße 56 während der Dienstzeiten zur Einsichtnahme öffentlich aus:

Montag

von

8:00 Uhr

bis

12:00 Uhr

Dienstag

von

8:00 Uhr

bis

18:00 Uhr

Mittwoch

von

8:00 Uhr

bis

12:00 Uhr

Donnerstag

von

8:00 Uhr

bis

18:00 Uhr

Freitag

von

8:00 Uhr

bis

12:00 Uhr

Samstag (1. und 3. im Monat)

von

9:00 Uhr

bis

12:00 Uhr

Während der Veröffentlichungsfrist können von Jedermann Stellungnahmen abgegeben werden. Die Stellungnahmen sollen elektronisch per E-Mail an stadtplanung@wittenberg.de übermittelt werden. Bei Bedarf können die Stellungnahmen auch auf anderem Weg abgegeben werden. Nicht fristgerecht abgegebene Stellungnahmen können bei Beschlussfassung über den Bauleitplan gemäß § 3 Abs. 2 BauGB unberücksichtigt bleiben.

Neben dem Entwurf des Bebauungsplans, Begründung und des Umweltberichtes können folgend aufgelistete bereits vorliegende umweltbezogene Stellungnahmen und Informationen eingesehen werden.

A Umweltbezogene Gutachten

A1 Schalltechnische Untersuchung

Zur Erweiterung des Geltungsbereichs des Bebauungsplans R3a „Gewerbegebiet Lindenstraße“ derLutherstadt Wittenberg, 05.02.2024, TÜV NORDUmweltschutz GmbH & Co. KG

A2 Artenschutzfachbeitrag

Zum Vorhaben Erweiterung des Betriebshofes Reinsdorf der Zegarek GmbH, 21.08.2024, Biotopmanagement Schonert, Kemberg OT Bleddin

B Umweltbezogene Stellungnahmen

B1 Landesverwaltungsamt Sachsen-Anhalt, Obere Immissionsschutzbehörde vom 17.12.2024

Hinweise zur Emissionskontingentierung und schalltechnischen Untersuchung des TÜV NORD vom 05.02.2024

B2 Landkreis Wittenberg, Fachdienst Bauordnung vom 18.12.2024

Hinweise zu Altlasten, Bodenschutz, Oberflächengewässer, Flächenentwässerung, Gewässerbenutzung, Verwendung von Saatgut, Biotopschutz

B3 Landesamt für Geologie und Bergwesen vom 12.12.2024

Hinweise zu geologischer Einschätzung des Baugrundes

Die Verarbeitung personenbezogener Daten erfolgt auf Grundlage des § 3 BauGB in Verbindung mit Art. 6 Abs. 1 Buchst. e DSGVO und dem Datenschutzgesetz Sachsen-Anhalt - DSG LSA. Sofern Sie ihre Stellungnahme ohne Absenderangaben abgeben, erhalten Sie keine Mitteilung über das Ergebnis der Prüfung.

Lutherstadt Wittenberg, den 09.04.2025

Der Oberbürgermeister