Titel Logo
Amtsblatt der Stadt Oranienbaum-Wörlitz mit den Ortschaften
Ausgabe 1/2026
Amtlicher Teil
Zurück zur vorigen Seite
Zurück zur ersten Seite der aktuellen Ausgabe

Öffentliche Bekanntmachung der Stadt Oranienbaum-Wörlitz

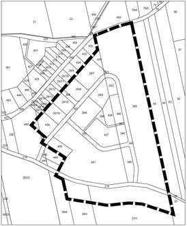
Bekanntmachung des Beschlusses über die Neuaufstellung und öffentliche Auslegung des Vorentwurfs des Bebauungsplanes Nr. 01/2025 „Dorfstücke 2.0“ Wohnpark Griesen der Stadt Oranienbaum-Wörlitz gemäß § 3 Abs. 1 BauGB

Der Stadtrat der Stadt Oranienbaum hat in seiner öffentlichen Sitzung am 18.11.2025 den Beschluss über die Neuaufstellung des Bebauungsplanes Nr. 01/2025 „Dorfstücke 2.0“ Wohnpark Griesen gefasst. Der Aufstellungsbeschluss wird gemäß § 2 Abs. 1 BauGB hiermit bekannt gemacht. Der räumliche Geltungsbereich des Bebauungsplanes Nr. 01/2025 gemäß Aufstellungsbeschluss befindet sich im Nordosten des Ortsteils Griesen der Stadt Oranienbaum-Wörlitz und ist nachfolgend dargestellt.

Das Planungsziel der Neuaufstellung des Bebauungsplanes Nr. 01/2025 besteht in der Festsetzung eines Allgemeinen Wohngebietes in den erschlossenen Bereichen eines bestehenden Baugebietes, um dort eine maßvolle Wohnbebauung zu ermöglichen. Die nicht erschlossenen Flächen innerhalb des Geltungsbereiches sollen als Grünflächen festgesetzt werden, um den dörflichen Charakter des Ortsteils zu sichern.

Da mit der Neuaufstellung eines bestehenden Bebauungsplanes keine (zusätzlichen) umweltrelevanten Eingriffe in die Belange des Umweltschutzes verbunden sind, kann im vorliegenden Fall auf eine Umweltprüfung gemäß § 2 Abs. 4 BauGB verzichtet werden.

Zur frühzeitigen Beteiligung der Öffentlichkeit gemäß § 3 Abs. 1 BauGB kann der Vorentwurf des Bebauungsplanes Nr. 01/2025 „Dorfstücke 2.0“ Wohnpark Griesen, bestehend aus der Planzeichnung (Teil A) mit den textlichen Festsetzungen (Teil B) und der Begründung in der Zeit

vom 12.01.2026 bis einschließlich 13.02.2026

auf den folgenden Internetseiten eingesehen werden:

Auf dem Beteiligungsportal des Landes Sachsen-Anhalt unter https://beteiligung.sachsen-anhalt.de/portal/Oranienbaum-Woerlitz/startseite (Aktuelle Beteiligungen)

Auf der Internetseite der Stadt Oranienbaum-Wörlitz unter http://www.oranienbaum-woerlitz.de à Bürger & Verwaltung à Bauleitplanung à Öffentlichkeitsbeteiligung

Darüber hinaus wird der Bebauungsplanvorentwurf im gleichen Zeitraum während der üblichen Sprechzeiten zur allgemeinen Information in der Stadtverwaltung Oranienbaum-Wörlitz, Fachbereich Bauleitplanung, Franzstraße 1, 06785 Oranienbaum-Wörlitz im 2. OG:

dienstags

von 09.00 - 12.00 Uhr

und

13.00 - 18.00 Uhr

mittwochs

von 09.00 - 12.00 Uhr

donnerstags

von 09.00 - 12.00 Uhr

und

13.00 - 16.00 Uhr

sowie nach telefonischer Absprache außerhalb der Sprechzeiten öffentlich ausgelegt.

Sie haben während der Auslegungsfrist die Möglichkeit, sich an der Planung zu beteiligen, indem Sie Anregungen und Stellungnahmen zum Vorentwurf der Planung über die o. g. Anschrift, über das o. g. Beteiligungsportal des Landes Sachsen-Anhalt https://beteiligung.sachsen-anhalt.de/portal/Oranienbaum-Woerlitz/startseite, oder per E-Mail an bauamt@oranienbaum-woerlitz.de abgeben.

Nicht fristgerecht abgegebene Stellungnahmen können bei der Beschlussfassung über den Bebauungsplan unberücksichtigt bleiben, sofern die Stadt Oranienbaum-Wörlitz deren Inhalt nicht kannte und nicht hätte kennen müssen und deren Inhalt für die Rechtmäßigkeit der Planung nicht von Bedeutung ist.

Hinweise zum Datenschutz

Die Verarbeitung personenbezogener Daten erfolgt auf Grundlage des § 3 BauGB in Verbindung mit Art. 6 Abs. 1e Datenschutzgrundverordnung (EU-DSGVO). Falls Sie Ihre Stellungnahme ohne Absenderangabe abgeben, erhalten Sie keine Mitteilung über das Ergebnis der Prüfung.

Oranienbaum-Wörlitz, den 07.01.2026

Maik Störmer
Bürgermeister
Im Original unterschrieben.