Titel Logo
Amtsbote Zerbst/Anhalt – Amtsblatt der Stadt Zerbst/Anhalt und ihrer Ortsteile
Ausgabe 7/2025
Amtliche Bekanntmachungen der Stadt Zerbst/Anhalt
Zurück zur vorigen Seite
Zurück zur ersten Seite der aktuellen Ausgabe

Bekanntmachung der Stadt Zerbst/Anhalt über den Auslegungsbeschluss und die frühzeitige Öffentlichkeitsbeteiligung zum Vorentwurf des Bebauungsplanes Nr. 2 Freiflächen Photovoltaik Deetzer Weg der Stadt Zerbst/Anhalt

Der Stadtrat der Stadt Zerbst/Anhalt hat in seiner Sitzung am 30.10.2024 die Aufstellung des Bebauungsplanes Nr. 2 Freiflächen Photovoltaik Deetzer Weg der Stadt Zerbst/Anhalt (BV/0074/2024) beschlossen.

Der Stadtrat hat am 25. Juni 2025 in seiner öffentlichen Sitzung den Auslegungsbeschluss zum Vorentwurf des Bebauungsplanes Nr. 2 Freiflächen Photovoltaik Deetzer Weg der Stadt Zerbst/Anhalt (Beschluss-Nr. 0183/2025).

Der Bebauungsplan soll die planungsrechtlichen Voraussetzungen für eine Freiflächen- Photovoltaikanlage auf landwirtschaftlichen Flächen in der Gemarkung Deetz schaffen. Es handelt sich hierbei um eine Fläche, die in der Angebotsplanung der Stadt Zerbst/Anhalt (Stand: März 2023) als Suchraum enthalten ist.

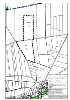
Der Geltungsbereich umfasst ca. 30,5 ha und beinhaltet die Flurstücke 5 in der Flur 9 und Flurstück 16 in der Flur 12 in der der Gemarkung Deetz. Der Standort liegt nördlich von Deetz.

Lageplan:

Quelle: GeoBasis-DE / LVermGeo LSA, ALKIS Juni 2024, A18-223-2009-7

Der Vorentwurf des Bebauungsplanes Nr. 2 Freiflächen Photovoltaik Deetzer Weg der Stadt Zerbst/Anhalt in der Fassung vom April 2025 einschließlich Planzeichnung und Begründung liegen,

vom 04.08.2025 bis einschließlich 18.08.2025

im Zimmer 2.05 des Bau- und Liegenschaftsamtes der Stadt Zerbst/Anhalt, Verwaltungsgebäude Breite 86 a während folgender Zeiten zu jedermanns Einsicht öffentlich aus:

Montag

9:00 – 12:00 Uhr

Dienstag

9:00 – 12:00 Uhr und 14:00 – 18:00 Uhr

Mittwoch

9:00 – 12:00 Uhr

Donnerstag

9:00 – 12:00 Uhr und 14:00 – 17:00 Uhr

Freitag

9:00 – 12:00 Uhr

Darüber hinaus können die Planunterlagen nach Terminvereinbarung im Bau- und Liegenschaftsamt, Zimmer 2.05, Verwaltungsgebäude Breite 86a (Tel. 03923/754241) eingesehen werden.

Die auszulegenden Unterlagen umfassen:

-

Planzeichnung i. d. F. des Vorentwurfs vom April 2025

-

Begründung i. d. F. des Vorentwurfs vom April 2025

Es besteht außerdem die Möglichkeit der Einsichtnahme in die Unterlagen zum Vorentwurf auf der Internetseite der Stadt Zerbst/Anhalt unter www.stadt-zerbst.de über den Link Stadt + Bürger, Stadtverwaltung, Öffentlichkeitsbeteiligung oder im Beteiligungsportal der Stadt Zerbst/Anhalt (Beteiligungsportal des Landes Sachsen-Anhalt).

Tag der Bereitstellung der Unterlagen im Internet: 04.08.2025.

Während der Dauer der Veröffentlichung (Auslegungsfrist) können Stellungnahmen abgegeben werden. Es besteht die Möglichkeit der elektronischen Übermittlung der Stellungnahme unter bau-liegenschaftsamt@stadt-zerbst.de sowie auf der Seite des Beteiligungsportales der Stadt Zerbst/Anhalt (Beteiligungsportal des Landes Sachsen-Anhalt). Bei Bedarf können die Stellungnahmen auch auf anderem Wege abgegeben werden.

Es wird darauf aufmerksam gemacht, dass Dritte (Privatpersonen) mit der Abgabe einer Stellungnahme der Verarbeitung ihrer angegebenen Daten, wie Name, Adressdaten und E-Mail-Adresse zustimmen. Gemäß Art. 6 Abs. 1c EU-DSGVO werden die Daten im Rahmen des Bauleitplanverfahrens für die gesetzlich bestimmten Dokumentationspflichten und für die Informationspflicht Ihnen gegenüber genutzt.

Die Stadt Zerbst/Anhalt weist im Zusammenhang mit dieser Bekanntmachung auf Folgendes hin: Nach § 4 a Abs. 5 BauGB können Stellungnahmen, die nicht rechtzeitig innerhalb der Auslegungsfrist abgegeben worden sind, bei der Beschlussfassung über die Bauleitplanung unberücksichtigt bleiben, sofern die Gemeinde deren Inhalt nicht kannte und nicht hätte kennen müssen und deren Inhalt für die Rechtmäßigkeit des Bauleitplans nicht von Bedeutung ist.

Zerbst/Anhalt, 08. Juli 2025

Dittmann
Bürgermeister
Im Original unterschrieben