Titel Logo
Amtskurier des Amtes Treptower Tollensewinkel
Ausgabe 11/2025
Amtliche Bekanntmachungen
Zurück zur vorigen Seite
Zurück zur ersten Seite der aktuellen Ausgabe

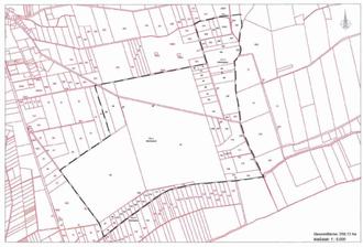
Bebauungsplan Nr. 46 „Windpark Altentreptow-Süd"

hier: Bekanntmachung des Aufstellungsbeschlusses

Die Stadtvertretung der Stadt Altentreptow hat in öffentlicher Sitzung am 15.10.2025 für den in anliegender Übersichtskarte gekennzeichneten Geltungsbereich die Aufstellung Be- bauungsplan Nr. 46 „Windpark Altentreptow-Süd" der Stadt Altentreptow beschlossen. Der Beschluss der Aufstellung des Bebauungsplans werden gemäß § 2 Abs. 1 BauGB hiermit bekannt gemacht. Der räumliche Geltungsbereich des Bebauungsplanes ist der als Anlage beigefügten Übersichtskarte zu entnehmen. Der Geltungsbereich des Plangebietes hat eine Größe von etwa 259,12 ha und erstreckt sich auf die Flurstücke 324(teilw.), 323/1(teilw.), 314, 328 (teilw.), 323/2, 322, 321, 320, 316, 331, 330, 329, 332, 327, 334, 333, 317 (teilw.) der Flur 4 in der Gemarkung Altentreptow. Des Weiteren erstreckt sich der Geltungsbereich auf die Flurstücke 63, 85, 86, 87, 88, 89, 90, 91, 92, 93, 94, 95, 96, 97, 98, 99, 100, 101, 102, 103, 104, 105, 106, 107, 108, 109, 110, 111, 112, 113, 114, 115, 116, 117, 119, 120 (teilw.), 121 (teilw.) der Flur 5 der Gemarkung Altentreptow sowie auf die Flurstücke, 96, 97, 98, 99, 100, 101, 102, 103, 104, 105, 106, 107, 108, 109, 110, 111, 112, 113 der Flur 6 der Gemarkung Altentreptow.

Dieser Entwurf beinhaltet im Raum südöstlich von Altentreptow die Neuausweisung eines Vorranggebietes für Windenergieanlagen, welches unter Nummer 22a in den Unterlagen des Planungsverbandes „Mecklenburgische Seenplatte behandelt wird. Um hier, wie bereits in anderen Eignungsgebieten rings um Altentreptow bereits gesche- hen, Wildwuchs (unterschiedliche Anlagentypen / Anlagenhöhen, konkurrenzbehaftete Standortwahl) zu vermeiden und eine optimierte Standortplanung zu erreichen, bedarf es eines B-Planes.

Altentreptow, den 15.10.2025