Titel Logo
Amtskurier des Amtes Treptower Tollensewinkel
Ausgabe 3/2025
Amtliche Bekanntmachungen
Zurück zur vorigen Seite
Zurück zur ersten Seite der aktuellen Ausgabe

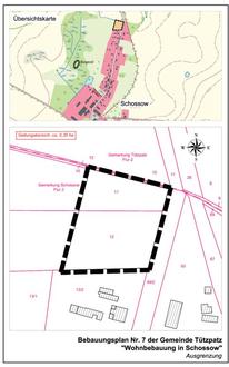
Bebauungsplan Nr. 7 „Wohnbebauung in Schossow“ der Gemeinde Tützpatz

hier:

Bekanntmachung des Satzungsbeschlusses

Die Gemeindevertretung der Gemeinde Tützpatz hat am 29.10.2024 in öffentlicher Sitzung den Bebauungsplan Nr. 7 „Wohnbebauung in Schossow“ der Gemeinde Tützpatz in der Fassung vom Oktober 2024 als Satzung beschlossen.

Der räumliche Geltungsbereich des Bebauungsplans ist der als Anlage beigefügten Übersichtskarte zu entnehmen. Er beläuft sich auf eine Fläche von etwa 0,35 ha und erstreckt sich auf die Flurstücke 11 (teilw.) und 12 /teilw.) der Flur 2 in der Gemarkung Schossow.

Mit der Bekanntmachung tritt die Satzung des Bebauungsplanes Nr. 7 „Wohnbebauung in Schossow“ gemäß § 10 Abs. 3 BauGB i. V. m. der Hauptsatzung der Gemeinde Tützpatz in Kraft.

Die Satzung des Bebauungsplanes Nr. 7 „Wohnbebauung in Schossow“ der Gemeinde Tützpatz kann mit der Begründung und der zusammenfassenden Erklärung vom Tag der Veröffentlichung dieser Bekanntmachung an, im Amt Treptower Tollensewinkel, Rathausstraße 1, 17087 Altentreptow, während der Dienststunden eingesehen werden.

Gemäß § 10a Abs. 2 BauGB ist die Einsichtnahme ebenfalls über die Internetseite des Amtes Treptower Tollensewinkel unter https://www.altentreptow.de/Verwaltung/Bauen-Wohnen/Geodaten-F-Pläne-B-Pläne/ sowie über das Bau- und Planungsportal M-V unter https://bplan.geodaten-mv.de/Bauleitplaene möglich. Auf Verlangen wird Auskunft über den Inhalt erteilt.

Es wird auf die Rechtsfolgen des § 44 Abs. 3 Satz 1, 2 und 4 sowie Abs. 4 BauGB und auf die Voraussetzungen für die Geltendmachung der Verletzung von Verfahrens- und Formvorschriften und von Mängeln der Abwägung sowie die Rechtsfolgen des § 215 Abs. 1 BauGB hingewiesen. Unbeachtlich werden demnach

eine nach § 214 Abs. 1 Satz 1 Nr. 1 bis 3 BauGB beachtliche Verletzung der dort bezeichneten Verfahrens- und Formvorschriften,

eine unter Berücksichtigung des § 214 Abs. 2 BauGB beachtliche Verletzung der Vorschriften über das Verhältnis der Satzung über den Bebauungsplan und des Flächennutzungsplanes

nach § 214 Abs. 3 Satz 2 BauGB beachtliche Mängel des Abwägungsvorgangs, wenn sie nicht innerhalb eines Jahres seit Bekanntmachung des Bebauungsplanes schriftlich gegenüber der Gemeinde Tützpatz unter Darlegung des die Verletzung begründenden Sachverhalts geltend gemacht worden sind. Dies gilt entsprechend, wenn Fehler nach § 214 Abs. 2a BauGB beachtlich sind.

Des Weiteren wird auf § 5 Abs. 5 der Kommunalverfassung für das Land Mecklenburg-Vorpommern (KV M-V) hingewiesen, wonach ein Verstoß gegen Verfahrens- und Formvorschriften, die in diesem Gesetz enthalten oder aufgrund dieses Gesetzes erlassen worden sind, nach Ablauf eines Jahres seit der öffentlichen Bekanntmachung nicht mehr geltend gemacht werden können (außer bei Anzeige-, Genehmigungs- oder Bekanntmachungsvorschriften). Innerhalb der Jahresfrist muss der Verstoß schriftlich unter Bezeichnung der verletzten Vorschrift und der Tatsache, aus der sich der Verstoß ergibt, gegenüber der Gemeinde geltend gemacht werden.