Titel Logo
Amtskurier des Amtes Treptower Tollensewinkel
Ausgabe 3/2026
Amtliche Bekanntmachungen
Zurück zur vorigen Seite
Zurück zur ersten Seite der aktuellen Ausgabe

Amtliche Bekanntmachung der Gemeinde Grapzow

Betr.: Bebauungsplan Nr. 4 „Wohnen am Großen Rötsoll“

hier:

Bekanntmachung der frühzeitigen Unterrichtung der Öffentlichkeit gemäß § 3 Abs. 1 BauGB

Die Gemeindevertretung der Gemeinde Grapzow hat in der Sitzung am 19.11.2020 den Aufstellungsbeschluss für den Bebauungsplan Nr. 4 „Wohnen am Großen Rötsoll“ gefasst. Der Aufstellungsbeschluss wurde gemäß § 2 Abs. 1 BauGB ortsüblich bekannt gemacht. Des Weiteren hat die Gemeinde Grapzow am 20.07.2023 den Entwurf der Satzung und der Begründung gebilligt und zur Veröffentlichung gemäß § 3 Abs. 2 BauGB bestimmt. Der Entwurf wurde im Zeitraum vom 18.09.2023 bis zum 20.10.2023 veröffentlicht.

Im Zuge der Fortschreibung und Aktualisierung der Planunterlagen sowie einer Erweiterung des räumlichen Geltungsbereichs ist eine erneute Durchführung der Verfahrensschritte nach § 3 Abs. 1 und § 3 Abs. 2 BauGB erforderlich. Die bereits im früheren Verfahrensstand eingegangenen Stellungnahmen bleiben Bestandteil der Abwägung, werden jedoch durch die nunmehr aktualisierten Unterlagen ergänzt. Zur Gewährleistung einer vollständigen und transparenten Beteiligung wird der Planentwurf daher erneut veröffentlicht.

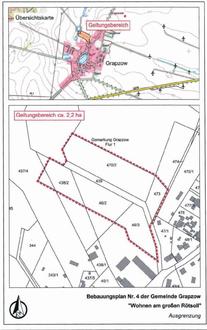
Der räumliche Geltungsbereich des Bebauungsplans befindet sich im Nordenwesten des OT Grapzow. Er beläuft sich auf eine Fläche von ca. 3,2 ha und ist in der als Anlage beigefügten Übersichtskarte dargestellt. Er erstreckt sich auf die Flurstücke 46/2 (tlw.), 46/3 (tlw.), 437/4 (tlw.), 438/3 (tlw.), 439 (tlw.), 470/2 (tlw.) und 473 (tlw.) der Flur 1 innerhalb der Gemarkung Grapzow.

Gemäß § 3 Abs. 1 BauGB ist die Öffentlichkeit möglichst frühzeitig über die allgemeinen Ziele und Zwecke der Planung, sich wesentlich unterscheidende Lösungen, die für die Neugestaltung oder Entwicklung eines Gebiets in Betracht kommen, und die voraussichtlichen Auswirkungen der Planung öffentlich zu unterrichten; ihr ist Gelegenheit zur Äußerung und Erörterung zu geben. Dazu wird der Vorentwurf des Bebauungsplans Nr. 4 „Wohnen am Großen Rötsoll“ der Gemeinde Grapzow mit Stand Januar 2026 nebst Begründung in der Veröffentlichungsfrist vom

16.03.2026 - 17.04.2026

auf der Homepage des Amtes Treptower Tollensewinkel unter dem Link: https://www.altentreptow.de/Amt-Gemeinden/Gemeinden-von-A-G/Grapzow/Bekanntmachungen-br-Ortsrecht/ veröffentlicht.

Die zu veröffentlichenden Unterlagen und der Inhalt der Bekanntmachung werden zusätzlich über das Internetportal des Landes Mecklenburg-Vorpommern (https://www.bauportal-mv.de/bauportal/Plaene_in_Aufstellung) zugänglich gemacht.

Zusätzlich können die Planunterlagen des Vorentwurfes im Bauamt des Amtes Treptower Tollensewinkel, Rathausstraße 1, 17087 Altentreptow, während folgender Dienstzeiten eingesehen werden:

Dienstag

9.00 bis 12.00 Uhr und 13.00 bis 18.00 Uhr,

Donnerstag

9.00 bis 12.00 Uhr und 13.00 bis 16.00 Uhr,

Freitag

9.00 bis 12.00 Uhr.

Stellungnahmen können während der Dauer der Veröffentlichungsfrist abgegeben werden. Stellungnahmen sollen elektronisch an toeb@mikavi-planung.de übermittelt werden, können bei Bedarf aber auch auf anderem Weg abgegeben werden.

Nicht fristgerecht abgegebene Stellungnahmen können bei der Beschlussfassung über den Bauleitplan unberücksichtigt bleiben können.

Hinweis zum Datenschutz

Die Verarbeitung personenbezogener Daten erfolgt auf der Grundlage der Art. 6 Abs. 1 Buchstabe e DSGVO i.V.m. § 3 BauGB und dem DSG M-V. Sofern Sie ihre Stellungnahme ohne Absenderangaben abgeben, erhalten Sie keine Mitteilung über das Ergebnis der Prüfung. Weitere Informationen entnehmen Sie bitte dem Formblatt: Informationspflichten bei der Erhebung von Daten im Rahmen der Öffentlichkeitsbeteiligung nach BauGB (Art. 13 DSGVO), welches mit ausliegt.

Gemeinde Grapzow, den 18.03.2026

Berno Heidschmidt
Bürgermeister