Titel Logo
Mitteilungsblatt des Amtes Anklam-Land
Ausgabe 11/2024
Amtliche Mitteilungen
Zurück zur vorigen Seite
Zurück zur ersten Seite der aktuellen Ausgabe

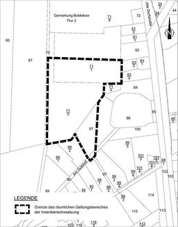
Innenbereichssatzung mit einbezogenen Flächen nach § 34 Abs. 4 BauGB für den Ort Boldekow der Gemeinde Boldekow

Gemeinde Boldekow

Der Bürgermeister

Amtliche Bekanntmachung

Betr.:

Innenbereichssatzung mit einbezogenen Flächen nach § 34 Abs. 4 BauGB für den Ort Boldekow der Gemeinde Boldekow

hier:

Bekanntmachung zur Aufhebung des Aufstellungsbeschlusses

Die Gemeindevertretung der Gemeinde Boldekow hat in öffentlicher Sitzung am 26.09.2024 beschlossen, den Aufstellungsbeschluss zur Innenbereichssatzung mit einbezogenen Flächen nach § 34 Abs. 4 BauGB für den Ort Boldekow der Gemeinde Boldekow aufzuheben und damit das Bauleitplanverfahren einzustellen. Der Aufstellungsbeschluss erfolgte am 10.10.2023 in öffentlicher Sitzung der Gemeinde Boldekow. Grund für die Einstellung des Bauleitplanverfahrens sind Stellungnahmen, die während der Beteiligung der Behörden und sonstigen Träger öffentlicher Belange gemäß § 4 Abs. 2 BauGB vorgebracht wurden.

Der Beschluss, das Bauleitplanverfahren einzustellen zum Bebauungsplan einzustellen, wird hiermit ortsüblich bekannt gemacht.

Es wird ausdrücklich darauf hingewiesen, dass es sich nur um die Einstellung eines begonnenen, jedoch nicht zum Abschluss gebrachten Planverfahrens handelt.

Boldekow, 26.09.2024