Titel Logo
Mitteilungsblatt des Amtes Anklam-Land
Ausgabe 3/2024
Amtliche Mitteilungen
Zurück zur vorigen Seite
Zurück zur ersten Seite der aktuellen Ausgabe

Bekanntmachung Entwurfs- und Auslegungsbeschluss der Klarstellungssatzung mit einbezogenen Flächen nach § 34 Abs. 4 BauGB für den Ort Boldekow der Gemeinde Boldekow word

Die Gemeindevertretung der Gemeinde Boldekow hat in ihrer öffentlichen Sitzung am 22.02.2024 den Entwurfs- und Beteiligungsbeschluss für die Klarstellungssatzung mit einbezogenen Flächen nach § 34 Abs. 4 BauGB für den Ort Boldekow der Gemeinde Boldekow gefasst.

1 Geltungsbereich und Größe

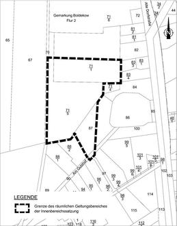
Für das im beiliegenden Planauszug gekennzeichnete Gebiet der

Gemeinde

Boldekow

Gemarkung

Boldekow

Flur

2

Flurstücke

71/1 (tw.), 71/5 (tw.), 87(tw.) und 90 (tw.)

ist die Aufstellung einer Klarstellungssatzung mit einbezogenen Flächen nach § 34 Abs. 4 BauGB für den Ort Boldekow der Gemeinde Boldekow vorgesehen.

Die Größe des räumlichen Geltungsbereiches der Klarstellungssatzung mit einbezogenen Flächen nach § 34 Abs. 4 BauGB für den Ort Boldekow der Gemeinde Boldekow beträgt circa 19.100 m².

2 Anlass und Ziele der Planaufstellung

Die oben benannten Flurstücke befinden sich derzeit im Außenbereich. Folglich besteht für die geplante Wohnbebauung nach § 35 BauGB kein Baurecht.

Für den Ort Boldekow der Gemeinde Boldekow gibt es bislang keine gültige Klarstellungssatzung mit einbezogenen Flächen nach § 34 Abs. 4 BauGB.

Um die geplante Wohnbebauung realisieren zu können, ist die Schaffung von Baurecht erforderlich. Dazu ist die Aufstellung der Aufstellung einer Klarstellungssatzung mit einbezogenen Flächen nach § 34 Abs. 4 BauGB für den Ort Boldekow der Gemeinde Boldekow vorzunehmen.

Mit der Aufstellung einer Klarstellungssatzung mit einbezogenen Flächen nach § 34 Abs. 4 BauGB für den Ort Boldekow der Gemeinde Boldekow sollen die Voraussetzungen für eine geordnete städtebauliche Entwicklung geschaffen werden.

Mit der Aufstellung einer Klarstellungssatzung mit einbezogenen Flächen nach § 34 Abs. 4 BauGB für den Ort Boldekow der Gemeinde Boldekow sollen die folgenden Planungsziele umgesetzt werden:

-

Sicherung einer städtebaulichen Entwicklung im Ort Boldekow,

-

Schaffung von Baurecht für geplante Wohngebäude einschließlich zugehöriger Nebenanlagen und

-

Einhaltung der naturschutzrechtlichen Anforderungen an Naturschutz und Landschaftspflege im Zusammenhang mit der vorgesehenen Nutzung.

Die Erschließung des Standortes ist durch die vorhandene Dorfstraße gegeben.

Zur Umsetzung der Planungsziele ist die Aufstellung einer Klarstellungssatzung mit einbezogenen Flächen nach § 34 Abs. 4 BauGB für den Ort Boldekow der Gemeinde Boldekow erforderlich.

Die Aufstellung der Klarstellungssatzung mit einbezogenen Flächen nach § 34 Abs. 4 BauGB für den Ort Boldekow der Gemeinde Boldekow erfolgt unter Beteiligung der Öffentlichkeit, der Behörden und sonstigen Träger öffentlicher Belange sowie der Nachbargemeinden in entsprechender Anwendung zum vereinfachten Verfahren nach § 13 BauGB.

Die Gemeindevertretung der Gemeinde Boldekow hat mit Beschluss vom 22.02.2024 den Entwurf der Klarstellungssatzung mit einbezogenen Flächen nach § 34 Abs. 4 BauGB für den Ort Boldekow der Gemeinde Boldekow in der Fassung von August 2023 gebilligt und zur Beteiligung bestimmt.

Der Entwurf der Satzung über die Klarstellungssatzung mit einbezogenen Flächen nach § 34 Abs. 4 BauGB für den Ort Boldekow der Gemeinde Boldekow, bestehend aus Planzeichnung (Teil A) und dem Text (Teil B) sowie der Begründung wird gemäß § 3 Abs. 2 BauGB in der Zeit

vom 25.03.2024 bis zum 26.04.2024

im Internet auf der Homepage des Amtes Anklam-Land veröffentlicht.

Zusätzlich liegt der Entwurf der Klarstellungssatzung mit einbezogenen Flächen nach § 34 Abs. 4 BauGB für den Ort Boldekow der Gemeinde Boldekow während der allgemeinen Öffnungszeiten des Amtes Anklam-Land im Amt Anklam-Land, Ducherow, Hauptstraße 75, Sachbereich Baueltiplanung/allgemeine Bauverwaltung zu jedermann Einsichtnahme aus.

Während der Beteiligungsfrist können von jedermann Stellungnahmen zum Entwurf der Klarstellungssatzung mit einbezogenen Flächen nach § 34 Abs. 4 BauGB für den Ort Boldekow der Gemeinde Boldekow sowie dessen Begründung schriftlich oder während der Dienststunden zur Niederschrift vorgebracht werden.

Nicht fristgerecht abgegebene Stellungnahmen können bei der Beschlussfassung der Klarstellungssatzung mit einbezogenen Flächen nach § 34 Abs. 4 BauGB für den Ort Boldekow der Gemeinde Boldekow unberücksichtigt bleiben.

Es liegen derzeit keine wesentlichen umweltbezogenen Informationen vor.

II.

Der Entwurf der Klarstellungssatzung mit einbezogenen Flächen nach § 34 Abs. 4 BauGB für den Ort Boldekow der Gemeinde Boldekow mit der Begründung ist gemäß § 3 Abs. 2 BauGB im Internet zu veröffentlichen und die betroffenen Behörden, sonstigen Träger öffentlicher Belange und Nachbargemeinden sind von der Beteiligung zu benachrichtigen.

III.

Die Beteiligung der Behörden und sonstigen Träger öffentlicher Belange gemäß § 4 Abs. 2 BauGB, der Öffentlichkeit gemäß § 3 Abs. 2 BauGB und der Nachbargemeinden gemäß § 2 Abs. 2 BauGB wird durchgeführt.

IV.

Der Beschluss wird gemäß § 3 Abs. 2 BauGB hiermit öffentlich bekannt gemacht.

Boldekow, 29.02.2024

Gemeinde Boldekow
Bürgermeister Hr. Dr. Vogel
Siegel