Titel Logo
Mitteilungsblatt des Amtes Anklam-Land
Ausgabe 3/2024
Amtliche Mitteilungen
Zurück zur vorigen Seite
Zurück zur ersten Seite der aktuellen Ausgabe

Gemeinde Boldekow

I.

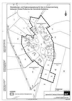
Der räumliche Geltungsbereich für die Klarstellungs- und Ergänzungssatzung für den im

Zusammenhang bebauten Ortsteil Rubenow der Gemeinde Boldekow umfasst eine Fläche von 91.480 m² (9,1 ha) und bildet sich aus dem Bebauungszusammenhang heraus.

Folgende Flurstücke befinden sich innerhalb des Geltungsbereiches:

Gemeinde

Rubenow

Gemarkung

Zinzow

Flur

1

Flurstück

234, 235, 236 und 238

Gemarkung

Rubenow A

Flur

2

Flurstück

6, 9 (tw.),10 (tw.), 12 (tw.), 13, 14, 15, 16, 17, 18, 19, 20 (tw.), 21, 22/1, 22/4 (tw.), 23/2 (tw.), 24/1 (tw.), 24/2, 25 (tw.), 26, 27, 28, 29, 30, 31/1, 31/3, 31/4, 32/1 (tw.), 32/2 (tw.), 33 (tw.), 34, 35, 36, 37, 38, 39, 40/2, 41/2 und 42 (tw.)

Die Gemeindevertretung der Gemeinde Boldekow hat in ihrer Sitzung am 15.02.2022 die Aufstellung der Klarstellungs- und Ergänzungssatzung für den im Zusammenhang bebauten Ortsteil Rubenow der Gemeinde Boldekow nach § 34 Abs. 4 Baugesetzbuch (BauGB) beschlossen.

Ziel der Gemeinde Boldekow ist es, für die Ortslage Rubenow nach § 34 Abs. 4 Satz 1 Nr. 1 BauGB klarstellend die Grenzen der hier im Zusammenhang bebauten Ortslage festzulegen. Gleichzeitig sollen Außenbereichsflächen in die im Zusammenhang bebaute Ortslage gemäß § 34 Abs. 4 Satz 1 Nr. 3 BauGB einbezogen werden.

Der Entwurf der Klarstellungs- und Ergänzungssatzung für den im Zusammenhang bebauten Ortsteil Rubenow der Gemeinde Boldekow wurde gemäß § 4a Abs. 3 BauGB geändert.

Der geänderte Entwurf der Klarstellungs- und Ergänzungssatzung für den im Zusammenhang bebauten Ortsteil Rubenow der Gemeinde Boldekow, bestehend aus Planzeichnung (Teil A) und dem Text (Teil B) sowie der Begründung wird gemäß § 4a Abs. 3 BauGB in der Zeit

vom 25.03.2024 bis zum 26.04.2024

im Internet auf der Homepage des Amtes Anklam-Land veröffentlicht.

Zusätzlich liegt der geänderte Entwurf der Klarstellungs- und Ergänzungssatzung für den im Zusammenhang bebauten Ortsteil Rubenow während der allgemeinen Öffnungszeiten des Amtes Anklam-Land im Amt Anklam-Land, Ducherow, Hauptstraße 75, Sachbereich Bauleitplanung/allgemeine Bauverwaltung zu jedermann Einsichtnahme aus.

Während der Beteiligungsfrist können von jedermann Stellungnahmen zu den vorgenommen Änderungen des geänderten Entwurf der Klarstellungs- und Ergänzungssatzung für den im Zusammenhang bebauten Ortsteil Rubenow der Gemeinde Boldekow sowie dessen Begründung schriftlich oder während der Dienststunden zur Niederschrift vorgebracht werden.

Nicht fristgerecht abgegebene Stellungnahmen können bei der Beschlussfassung der Klarstellungs- und Ergänzungssatzung für den im Zusammenhang bebauten Ortsteil

Rubenow der Gemeinde Boldekow unberücksichtigt bleiben.

Folgende Änderungen wurden vorgenommen:

Eine Anpassung des räumlichen Geltungsbereiches wurde vorgenommen. Dies betrifft die Flurstücke 234, 235, 236 und 238 der Flur 1, Gemarkung Zinzow sowie die Flurstücke 32/2, 32/1, 33, 36, 38 und 39 der Flur 2, Gemarkung Rubenow A. In direkter Nachbarschaft zu den o. g. Flurstücken befindet sich Wald bzw. Aufforstungsflächen. In diesen Bereichen ist die Einhaltung des im LWaldG M-V vorgegebenen Mindestwaldabstandes von 30,00 m bei der Festlegung des Geltungsbereiches zu beachten. Demzufolge wurde der Geltungsbereich so angepasst, dass der Waldabstand von 30,00 m eingehalten werden kann.

Weiterhin wurde der Geltungsbereich im Bereich der Flurstücke 6 und 12 der Flur 2, Ge-markung Rubenow A verkleinert, um eine Beeinträchtigung des Landschaftsschutzgebietes „Landgrabental“ ausschließen zu können.

Die innerhalb des Geltungsbereiches vorhandenen Bau- und Bodendenkmale wurden nachträglich in die Planzeichnung aufgenommen.

Unter Punkt 6 „Wohnbaulandreserven im Gemeindegebiet/Eigenentwicklung“ wurden die Wohnraumkapazitäten, die durch die Klarstellungs- und Ergänzungssatzung geschaffen werden, ergänzend aufgenommen.

Auf dem Flurstück 235 und an der Grenze zu den Flurstücken 236 und 32/2 der Flur 1, Gemarkung Zinzow befindet sich ein gesetzlich geschütztes Biotop, welches in der Plan-zeichnung zum Erhalt festgesetzt wurde. Durch die Festsetzung des gesetzlich geschützten Biotops kommt es zu Einschränkungen der im Entwurf ausgewiesenen Ergänzungsfläche. Um das gesetzlich geschützte Biotop erhalten zu können und gleichzeitig eine Wohnbe-bauung auf dem Flurstück 235 ermöglich zu können, wurde die Ausweisung eines Baufeldes vorgenommen, so dass ein ausreichender Abstand zum gesetzlich geschützten Biotop gewährleistet werden kann und es zu keinen Beeinträchtigungen des Biotops kommt.

Auch für die Ergänzungsfläche auf den Flurstücken 6 und 12 der Flur 2, Gemarkung Rubenow A des Entwurfs wurde die Ausweisung eines Baufeldes vorgenommen, so dass eine einheitliche Ausweisung der noch bebaubaren Flächen erfolgt.

Die Kompensationsmaßnahmen unter Punkt 8.2 „Grünordnerische Festsetzungen“ und in den textlichen Festsetzungen unter Punkt 3. „Ausgleichsmaßnahmen“ wurden überarbeitet bzw. angepasst

Bestandteil der ausliegenden Unterlagen sind folgende wesentliche, bereits vorliegende umweltbezogene Stellungnahmen:

- Landesamt für innere Verwaltung Mecklenburg-Vorpommern vom 21.06.2022 mit dem Hinweis auf Festpunkte der amtlichen geodätischen Grundlagennetze des

Landes Mecklenburg-Vorpommern;

-

Landesamt für zentrale Aufgaben und Technik der Polizei, Brand- und Katastrophenschutz Mecklenburg-Vorpommern vom 22.06.2022 mit Hinweis auf mögliche Munitionsfunde in Mecklenburg-Vorpommern und Empfehlung, eine Kampfmittelbe-lastungsauskunft einzuholen;

-

BUND M-V e.V. vom 27.06.2022 mit dem Verweis zur Aufstellung einer Eingriffs- und Ausgleichsbilanzierung, zur Erstellung eines artenschutzrechtlichen Fachbeitrages, zur Erhaltung der geschützten, einseitigen Baumreihen bzw. Alleen, zum Erhalt der gesetzlich geschützten Biotope im Plangeltungsbereich und zur Beachtung des angrenzenden Landschaftsschutzgebietes „Landgrabental“;

-

Bergamt Stralsund vom 01.07.2022 mit Hinweis auf eine frühere Kartierungsbohrung in dem Plangeltungsbereich;

-

Hauptzollamt Stralsund vom 04.07.2022 mit Hinweisen zu grenznahen Räumen;

-

Landkreis Vorpommern-Greifswald vom 11.07.2022 mit folgenden Belangen aus den einzelnen Fachbehörden:

Sachbereich Bauleitplanung mit Hinweisen zum Flächennutzungsplan, mit dem Verweis auf die Darstellung der Denkmale, welche sich im Plan-geltungsbereich befinden, auf den Nachweis der Löschwasserversorgung und die Vereinbarkeit mit den naturschutzrechtlichen Rechtsbestimmungen sowie den Zielen der Raumordnung;

Sachbereich Denkmalschutz mit dem Verweis auf im Plangeltungsbereich befindliche Baudenkmale und Bodendenkmale;

-

Landkreis Vorpommern-Greifswald vom 12.07.2022 mit folgenden Belangen aus den einzelnen Fachbehörden:

Sachgebiet Wasserwirtschaft mit Auflagen zur Trinkwasserversorgung und Abwasserentsorgung und zum anfallen Niederschlagswasser sowie zur Einholung einer Stellungnahme des zuständigen Wasser- und Bodenverbandes; Hinweise, dass sich im Plangeltungsbereich keine Trinkwasserschutzzonen befinden, zum Einbau von Wärmepumpen, zur Beachtung der Verordnung über Anlagen zum Umgang mit wassergefährdenden Stoffen und zur Berücksichtigung des Wasserhaushaltsgesetzes;

-

Landesforst Mecklenburg-Vorpommern, Forstamt Neubrandenburg vom 27.07.2022 mit dem Verweis auf die Einhaltung des 30 m Waldabstandes und Anpassung der Geltungsbereichsgrenze an den Waldabstand;

-

Landkreis Vorpommern-Greifswald vom 16.08.2022 mit folgenden Belangen aus den einzelnen Fachbehörden:

Sachgebiet Naturschutz mit dem Verweis auf gesetzlich geschützte Biotope innerhalb des Plangeltungsbereiches, die Überarbeitung der Eingriffsregelung für die Erweiterungsflächen und auf das Landschaftsschutzgebiet „Landgrabental“.

II.

Die Beteiligung der Behörden und sonstigen Träger öffentlicher Belange gemäß § 4 Abs. 2 BauGB, der Öffentlichkeit hat nach § 4a Abs. 3 BauGB zu erfolgen.

III.

Der Beschluss wird gemäß § 3 Abs. 2 BauGB hiermit öffentlich bekannt gemacht.