Titel Logo
Mitteilungsblatt des Amtes Anklam-Land
Ausgabe 4/2024
Amtliche Mitteilungen
Zurück zur vorigen Seite
Zurück zur ersten Seite der aktuellen Ausgabe

Bekanntmachung über die öffentliche Beteiligung des Entwurfs der Klarstellungssatzung mit einbezogenen Flächen nach § 34 Abs. 4 BauGB für den Ort Boldekow der Gemeinde Boldekow

Die Gemeindevertretung der Gemeinde Boldekow hat in ihrer öffentlichen Sitzung am 22.02.2024 den Entwurfs- und Beteiligungsbeschluss für die Klarstellungssatzung mit einbezogenen Flächen nach § 34 Abs. 4 BauGB für den Ort Boldekow der Gemeinde Boldekow gefasst.

1

Geltungsbereich und Größe

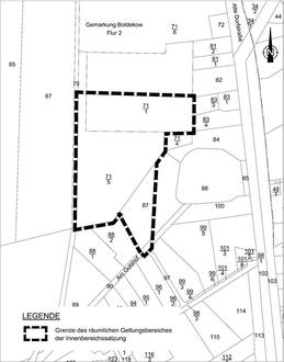
Für das im beiliegenden Planauszug gekennzeichnete Gebiet der

Gemeinde

Boldekow

Gemarkung

Boldekow

Flur

2

Flurstücke

71/1 (tw.), 71/5 (tw.), 87(tw.) und 90 (tw.)

ist die Aufstellung einer Klarstellungssatzung mit einbezogenen Flächen nach § 34 Abs. 4 BauGB für den Ort Boldekow der Gemeinde Boldekow vorgesehen.

Die Größe des räumlichen Geltungsbereiches der Klarstellungssatzung mit einbezogenen Flächen nach § 34 Abs. 4 BauGB für den Ort Boldekow der Gemeinde Boldekow beträgt circa 19.100 m².

2

Anlass und Ziele der Planaufstellung

Die oben benannten Flurstücke befinden sich derzeit im Außenbereich. Folglich besteht für die geplante Wohnbebauung nach § 35 BauGB kein Baurecht.

Um die geplante Wohnbebauung realisieren zu können, ist die Schaffung von Baurecht erforderlich. Dazu ist die Aufstellung der Aufstellung einer Klarstellungssatzung mit einbezogenen Flächen nach § 34 Abs. 4 BauGB für den Ort Boldekow der Gemeinde Boldekow vorzunehmen.

Mit der Aufstellung einer Klarstellungssatzung mit einbezogenen Flächen nach § 34 Abs. 4 BauGB für den Ort Boldekow der Gemeinde Boldekow sollen die folgenden Planungsziele umgesetzt werden:

-

Sicherung einer städtebaulichen Entwicklung im Ort Boldekow,

-

Schaffung von Baurecht für geplante Wohngebäude einschließlich zugehöriger Nebenanlagen und

-

Einhaltung der naturschutzrechtlichen Anforderungen an Naturschutz und Landschaftspflege im Zusammenhang mit der vorgesehenen Nutzung.

Die Erschließung des Standortes ist durch die vorhandene Dorfstraße gegeben.

Zur Umsetzung der Planungsziele ist die Aufstellung einer Klarstellungssatzung mit einbezogenen Flächen nach § 34 Abs. 4 BauGB für den Ort Boldekow der Gemeinde Boldekow erforderlich.

Die Aufstellung der Klarstellungssatzung mit einbezogenen Flächen nach § 34 Abs. 4 BauGB für den Ort Boldekow der Gemeinde Boldekow erfolgt unter Beteiligung der Öffentlichkeit, der Behörden und sonstigen Träger öffentlicher Belange sowie der Nachbargemeinden in entsprechender Anwendung zum vereinfachten Verfahren nach § 13 BauGB.

Die Gemeindevertretung der Gemeinde Boldekow hat mit Beschluss vom 22.02.2024 den

Entwurf der Klarstellungssatzung mit einbezogenen Flächen nach § 34 Abs. 4 BauGB für den Ort Boldekow der Gemeinde Boldekow in der Fassung von August 2023 gebilligt und zur Beteiligung bestimmt.

Der Entwurf der Klarstellungssatzung, bestehend aus Planzeichnung (Teil A) und dem Text (Teil B) sowie der Begründung wird gemäß § 3 Abs. 2 BauGB in der Zeit

vom 18.04.2024 bis einschließlich zum 24.05.2024

im Internet auf der Internetseite des Amtes Anklam-Land

https://amt-anklam-land.de/bauleitplanung/bauleitplanung-boldekow/

sowie auf dem zentralen Landesportal

https://www.bauportal-mv.de/bauportal/Bauleitplaene

veröffentlicht.

Zusätzlich zu der Veröffentlichung im Internet werden die nach § 3 Abs. 2 Satz 1 BauGB zu veröffentlichenden Unterlagen in Form einer öffentlichen Auslegung als andere leicht zugängliche Zugangsmöglichkeit im oben genannten Zeitraum in den Räumen des Amtes

Anklam-Land, Hauptstraße 75, 17398 Ducherow, Sachbereich Bauleitplanung/ allgemeine Bauverwaltung zu folgenden Dienststunden

Montag

von 07:00 - 12:00 Uhr und 12:30 Uhr - 15:00 Uhr

Dienstag

von 07:00 - 12:00 Uhr und 12:30 Uhr - 18:00 Uhr

Mittwoch

von 07:00 - 12:00 Uhr und 12:30 Uhr - 15:00 Uhr

Donnerstag

von 07:00 - 12:00 Uhr und 12:30 Uhr - 15:00 Uhr

Freitag

von 07:00 - 12:00 Uhr

(außerhalb dieser Zeiten nach telefonischer Absprache unter 039727 25057)

zur Verfügung gestellt.

Während der Veröffentlichungsfrist können von jedermann Stellungnahmen abgegebenwerden. Diese sollen elektronisch per E-Mail an info@amt-anklam-land.de übermittelt werden, können bei Bedarf auch auf anderen Weg (zum Beispiel schriftlich vor Ort oder postalisch unter der oben genannten Adresse) eingereicht werden. Die Stellungnahmen werden in der anschließenden Abwägung der öffentlichen und privaten Belange gegeneinander und untereinander abgewogen. Nicht fristgerecht abgegebene Stellungnahmen können unberücksichtigt bleiben.

Es liegen derzeit keine wesentlichen umweltbezogenen Informationen vor.

II.

Der Entwurf der Klarstellungssatzung mit einbezogenen Flächen nach § 34 Abs. 4 BauGB für den Ort Boldekow der Gemeinde Boldekow mit der Begründung ist gemäß § 3 Abs. 2 BauGB im Internet zu veröffentlichen und die betroffenen Behörden, sonstigen Träger öffentlicher Belange und Nachbargemeinden sind von der Beteiligung zu benachrichtigen.

III.

Die Beteiligung der Behörden und sonstigen Träger öffentlicher Belange gemäß § 4 Abs. 2 BauGB, der Öffentlichkeit gemäß § 3 Abs. 2 BauGB und der Nachbargemeinden gemäß § 2 Abs. 2 BauGB wird durchgeführt.

IV.

Der Beschluss wird gemäß § 3 Abs. 2 BauGB hiermit öffentlich bekannt gemacht.

Boldekow, 04.04.2024