Titel Logo
Barther Boddenblick
Ausgabe 11/2023
Amtlicher Teil
Zurück zur vorigen Seite
Zurück zur ersten Seite der aktuellen Ausgabe

Amtliche Bekanntmachung der Stadt Barth

Bebauungsplan Nr. 45 für das Gebiet „Am Ihlenpfuhl an der Chausseestraße“

Bekanntmachung der öffentlichen Auslegung des Entwurfes gemäß § 3 Abs. 2 BauGB

Die Stadtvertretung der Stadt Barth hat am 28.09.2023 den Entwurfs- und Auslegungsbeschluss zum Bebauungsplan Nr. 45 für das Gebiet „Am Ihlenpfuhl an der Chausseestraße“ beschlossen. Der von der Stadtvertretung gebilligte und zur Auslegung bestimmte Entwurf des Bebauungsplanes Nr. 45 einschließlich des Entwurfes der Begründung liegen in der Zeit vom

24.11.2023 bis zum 29.12.2023

im Amt für Bauen, Kommunalentwicklung und Ordnung der Stadt Barth, Teergang 2, 18356 Barth während der Öffnungszeiten des Rathauses bzw. der Bürgerinformation

Montag

9:00 Uhr bis 16:00 Uhr

Dienstag

9:00 Uhr bis 18:00 Uhr

Mittwoch

9:00 Uhr bis 16:00 Uhr

Donnerstag

9:00 Uhr bis 16:00 Uhr

Freitag

9:00 Uhr bis 12:00 Uhr

zu jedermanns Einsicht öffentlich aus.

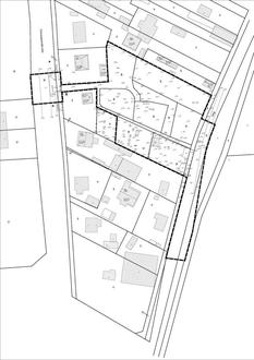
Die Lage des Plangebietes ist in der folgenden Abbildung dargestellt.

Folgende umweltrelevanten Informationen und Stellungnahmen sind verfügbar und liegen ebenfalls aus:

Umweltbericht als gesonderter Teil der Begründung

Umwelt & Planung, Dipl.-Ing. B. Lebahn, Pinnow OT Godern, Stand: 10.08.2023

(1)

Artenschutzrechtlicher Fachbeitrag

Umwelt & Planung, Dipl.-Ing. (FH) B. Schoppmeyer, Satow OT Heiligenhagen

Stand: 31.07.2023

(2)

vorliegende umweltbezogene Stellungnahmen von Behörden und sonstigen

Trägern öffentlicher Belange aus der Beteiligung gem. § 4 Abs. 1 BauGB:

(3)

Landkreis Vorpommern-Rügen

Stellungnahme vom 30.11.2022

(3/1)

Amt für Raumordnung und Landesplanung Vorpommern

Stellungnahme vom 08.12.2022

(3/2)

Landesforst M-V, Forstamt Schuenhagen

Stellungnahme vom 01.12.2022

(3/3)

Staatliches Amt für Landwirtschaft und Umwelt Vorpommern

Stellungnahme vom 07.02.2022

(3/4)

Stadtwerke Barth

Stellungnahme vom 05.12.2022

(3/5)

Die o. g. Unterlagen enthalten die folgenden Arten umweltbezogener Informationen. Es werden Aussagen getroffen bzw. Hinweise gegeben zu:

Tiere und Pflanzen, biologische Vielfalt, Schutzgebiete, Schutzobjekte

Beschreibung des Vorhabengebietes, rechtliche Grundlagen und Methodik der Datenerfassung, Ergebnisse der schutzgutbezogenen Bestandserfassung und -bewertung, Aussagen über die schutzgutbezogene Prognose über die Entwicklung des Umweltzustandes, Einzelheiten zu Vermeidungs-, Minimierungs- und Schutzmaßnahmen sowie Aussagen über fachrechtliche Regelungen und zur Eingriffsermittlung

(1)

Beschreibung des Vorhabengebietes, rechtliche Grundlagen und Methodik der Datenerfassung, Beschreibung des Vorhabens und seiner wesentlichen Wirkungen, relevante Projektwirkung (baubedingte, anlagenbedingte sowie betriebsbedingt Wirkfaktoren sowie potenzielle Beeinträchtigungen), Bestandsdarstellung sowie Abprüfung der Verbotstatbestände (Arten nach Anhang IV der FFH-Richtlinie (Fledermausquartiere und Jagdhabitate, Reptilien und Amphibien) sowie europäischer Vogelarten nach Art. 1 und Art. 4 Abs. 1 der Vogelschutzrichtlinie, Vermeidungsmaßnahmen

(2)

gesetzlich geschützte Biotope, Vermeidungs- und Ausgleichsmaßnahmen, Kompensationsmaßnahmen in geeigneter Form

Weder im Geltungsbereich des Bebauungsplanes noch in Entfernung des gesetzlichen Waldabstandes gemäß § 20 LWaldG von 30 m befindet sich Wald im Sinne des § 2 LwaldG

(3/3)

Mensch, menschliche Gesundheit

Ergebnisse der schutzgutbezogenen Bestandserfassung und -bewertung, Aussagen über die schutzgutbezogene Prognose über die Entwicklung des Umweltzustandes

(1)

immissionsschutzrechtliche Bewertung der Planung (Forderung einer Schallprognose), Aussagen zur Schallbelastung im Plangebiet durch den Flugplatz Stralsund-Barth und der Bahnstrecke Barth Velgast, passive Schallschutzmaßnahmen, Grundsätze des Brandschutzes, Löschwasserversorgung

(3/1)

städtebauliche Verdichtung der bestehenden Siedlungsstrukturen, Sicherung von Wohnbauflächen

(3/2)

Innerhalb des Plangebietes sind keine nach dem Bundes-lmmissionsschutzgesetz genehmigungsbedürftigen Anlagen vorhanden

(3/4)

Aussagen zur Strom-, Gas- und Wärmeversorgung

(3/5)

Boden

Ergebnisse der schutzgutbezogenen Bestandserfassung und -bewertung, Aussagen über die schutzgutbezogene Prognose über die Entwicklung des Umweltzustandes

(1)

Fläche

Ergebnisse der schutzgutbezogenen Bestandserfassung und -bewertung, Aussagen über die schutzgutbezogene Prognose über die Entwicklung des Umweltzustandes

(1)

Wasser

Ergebnisse der schutzgutbezogenen Bestandserfassung und -bewertung, Aussagen über die schutzgutbezogene Prognose über die Entwicklung des Umweltzustandes

(1)

Plangebiet befindet sich in der Schutzzone Ill der Wasserfassung Divitz (WF Divitz), Anforderungen für Baumaßnahmen in Wasserschutzgebieten, Errichtung von Kellern, Errichtung von Erdwärmesonden und Brunnen ist in Trinkwasserschutzgebieten im Allgemeinen verboten, im Plangebiet liegen keine Gewässer 1. oder 2. Ordnung., östlich des Gebietes verläuft der Graben 44 (Gewässer 2. Ordnung), Vorhaben liegt in keinem Hochwasserrisikogebiet und außerhalb eines festgesetzten Überschwemmungsgebietes, Abwasserbeseitigungspflicht liegt satzungsgemäß bei der Stadt Barth, Abwasserentsorgung wird von der Wasser und Abwasser GmbH Boddenland wahrgenommen, Aussagen zum Kleingewässer,,lhlenpfuhl" i.V.m. Auswirkungen durch die Planung

(3/1)

Klima und Luft

Ergebnisse der schutzgutbezogenen Bestandserfassung und -bewertung, Aussagen über die schutzgutbezogene Prognose über die Entwicklung des Umweltzustandes

(1)

Landschafts- / Ortsbild

Ergebnisse der schutzgutbezogenen Bestandserfassung und -bewertung, Aussagen über die schutzgutbezogene Prognose über die Entwicklung des Umweltzustandes

(1)

Kultur und sonstige Sachgüter

Ergebnisse der schutzgutbezogenen Bestandserfassung und -bewertung, Aussagen über die schutzgutbezogene Prognose über die Entwicklung des Umweltzustandes

(1)

keine eingetragenen Baudenkmale vorhanden und keine Bodendenkmale bekannt

(3/1)

Während der Öffentlichkeitsbeteiligung gemäß § 3 Abs. 2 BauGB können von jedermann Stellungnahmen zum Entwurf schriftlich oder während der o.g. Dienststunden zur Niederschrift abgegeben werden. Stellungnahmen können auch per Email an

piest@stadt-barth.de

gesandt werden. Die Verarbeitung personenbezogener Daten erfolgt auf der Grundlage des Artikel 6 Absatz 1 Buchstabe e der Datenschutzgrundverordnung in Verbindung mit § 3 BauGB und dem Landesdatenschutzgesetz. Sofern Sie Ihre Stellungnahme ohne Absenderangaben abgeben, erhalten Sie keine Mitteilung über das Ergebnis der Prüfung. Es wird darauf hingewiesen, dass nicht fristgerecht abgegebene Stellungnahmen bei der Beschlussfassung über den Bauleitplan unberücksichtigt bleiben können.

Die Bekanntmachung ist auch im Internet auf der Seite des Amtes Barth unter www.amt-barth.de/bekanntmachungen/oeffentliche-bekanntmachungen-der-amtsangehoerigen-gemeinden einsehbar.

Barth, den 23.10.2023

gez. F.-C. Hellwig
Bürgermeister