Titel Logo
Stargarder Zeitung
Ausgabe 5/2024
Amtliche Bekanntmachungen
Zurück zur vorigen Seite
Zurück zur ersten Seite der aktuellen Ausgabe

2024-04-29 Bekanntmachung Satzung

Bekanntmachung des Satzungsbeschlusses

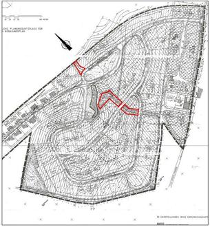
Aufgrund des § 13 des Baugesetzbuches (BauGB) in der Fassung der Bekanntmachung vom 03. November 2017 (BGBl. I S. 3634) hat die Stadtvertretung Burg Stargard in der Sitzung am 24.04.2024 den Satzungsbeschluss zur Satzung der Stadt Burg Stargard über die 5. Änderung des B-Planes Nr. 1 „Fichtenweg“ für einen Teilbereich (siehe Kartenausschnitt) gefasst.

Dieser Beschluss wird gemäß § 10 Absatz 3 BauGB bekannt gemacht. Mit dieser Bekanntmachung tritt die Satzung über die 5. Änderung des B-Planes Nr. 1 „Fichtenweg“ der Stadt Burg Stargard in Kraft. Jedermann kann die 5. Änderung des Bebauungsplans Nr. 1 „Fichtenweg“ der Stadt Burg Stargard und die Begründung dazu ab diesem Tag im Rathaus der

Stadt Burg Stargard

Bau- und Ordnungsamt

Mühlenstraße 30

17094 Burg Stargard

während folgender Zeiten:

Dienstag

8:30 bis 12:00 Uhr und 13:30 bis 18:00 Uhr

Donnerstag

8:30 bis 12:00 Uhr und 13:30 bis 16:00 Uhr

Freitag

8:30 bis 11:00 Uhr

einsehen und über den Inhalt Auskunft verlangen. Außerhalb dieser Zeiten nach Vereinbarung.

Die 5. Änderung umfasst das im folgenden Kartenausschnitt dargestellte Gebiet:

Eine zusammenfassende Erklärung nach § 10a Abs. 1 BauGB ist auf Grund § 13 Abs. 3 BauGB nicht erforderlich.

Auf die Voraussetzungen für die Geltendmachung der Verletzung von Verfahrens- und Formvorschriften und von Mängeln in der Abwägung sowie die Rechtsfolgen des § 215 Abs. 1 BauGB wird hingewiesen. Unbeachtlich werden demnach

  1. eine nach § 214 Abs. 1 Satz 1 Nr. 1 bis 3 BauGB beachtliche Verletzung der dort bezeichneten Verfahrens- und Formvorschriften,
  2. eine unter Berücksichtigung des § 214 Abs. 2 BauGB beachtliche Verletzung der Vorschriften über das Verhältnis der Satzung und des Flächennutzungsplans und
  3. nach § 214 Abs. 3 Satz 2 BauGB beachtliche Mängel des Abwägungsvorgangs,

wenn sie nicht innerhalb eines Jahres seit Bekanntmachung des Bebauungsplanes schriftlich gegenüber der Stadt Burg Stargard unter Darlegung des die Verletzung begründenden Sachverhalts geltend gemacht worden sind. Dies gilt entsprechend, wenn Fehler nach § 214 Absatz 2a BauGB beachtlich sind.

Außerdem wird auf die Vorschriften des § 44 Abs. 3 Satz 1 und 2 sowie Abs. 4 BauGB hingewiesen.

Danach erlöschen Entschädigungsansprüche für nach §§ 39 bis 42 BauGB eingetretene Vermögensnachteile, wenn nicht innerhalb von drei Jahren nach Ablauf des Kalenderjahres, in dem die Vermögensnachteile eingetreten sind, die Fälligkeit des Anspruchs herbeigeführt wird.

Hinweis nach § 5 Abs. 5 der Kommunalverfassung M-V:

Soweit beim Erlass dieser Satzung gegen Verfahrens- und Formvorschriften verstoßen wurde, können diese gemäß § 5 Abs. 5 Kommunalverfassung des Landes Mecklenburg-Vorpommern nach Ablauf eines Jahres seit der öffentlichen Bekanntmachung nicht mehr geltend gemacht werden. Die Frist gilt nicht für die Verletzung von Anzeige-, Genehmigungs- oder Bekanntmachungsvorschriften.

Burg Stargard, den 29.04.2024

gez. Lorenz
(DS)
Bürgermeister
Verfahrensvermerk:

Diese Bekanntmachung erscheint am 25.05.2024 im amtlichen Bekanntmachungsblatt „Stargarder Zeitung“ und im Internet.