Titel Logo
Kiek Rin
Ausgabe 2/2026
Amtliche Bekanntmachungen
Zurück zur vorigen Seite
Zurück zur ersten Seite der aktuellen Ausgabe

1. Verordnung über die Änderung der Verordnung über das Landschaftsschutzgebiet „Feldberger Seenlandschaft"

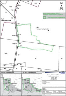
Außengrenzen LSG Feldberger Seenlandschaft

Landkreis Mecklenburg-Strelitz vom 08. Februar 1996

Aufgrund des § 26 des Gesetzes über Naturschutz und Landschaftspflege (Bundesnaturschutzgesetz vom 29. Juli 2009 (BGBI. I S. 2542), das zuletzt durch Artikel 48 des Gesetzes vom 23. Oktober 2024 (BGBl.2024 1 Nr. 323) geändert worden ist, in Verbindung mit den §§ 6, 14, 15 und 22 des Gesetzes des Landes Mecklenburg-Vorpommern zur Ausführung des Bundesnaturschutzgesetzes (Naturschutzausführungsgesetz - NatSchAG M-V) vom 23. Februar 2010 (GVOBI. M-V 2010, S. 66), zuletzt geändert durch Artikel 1 des Gesetzes vom 24. März 2023 (GVOBI. M-V S. 546)

verordnet der Landrat des Landkreises Mecklenburgische Seenplatte:

Artikel 1

„Änderung des Grenzverlaufs"

(1) Aus dem Landschaftsschutzgebiet (LSG) „Feldberger Seenlandschaft" (Verordnung vom 08. Februar 1996, veröffentlicht am 06. März 1996 im Amtsblatt des Landkreises Mecklenburg-Strelitz Nr.05) wird im Bereich Triepkendorf ein Teilgebiet herausgelöst.

(2) Der Grenzverlauf des LSG „Feldberger Seenlandschaft" wird im Bereich der Gemarkung Triepkendorf entsprechend der beiliegenden Abgrenzungskarte neu gefasst. Die örtliche Lage ergibt sich nunmehr aus der als Anlage zu dieser Verordnung veröffentlichten Karte im Maßstab 1:4.000.

Darin ist die Grenze des Landschaftsschutzgebietes mit einer einseitig auf der wegzeigenden Seite des Landschaftsschutzgebietes gestrichelten grünen Linie dargestellt.

(3) Die Verordnung wird für die bisher im Landschaftsschutzgebiet liegenden Teile der Flurstücke

Flurstücke

Flur

Gemarkung

1/6

1

Triepkendorf

2/5

1

Triepkendorf

teilweise aufgehoben.

(4) Die Abgrenzungskarte ist Bestandteil dieser Verordnung und wird durch den Landrat des Landkreises Mecklenburgische Seenplatte als untere Naturschutzbehörde archivmäßig verwahrt.

Eine weitere Ausfertigung ist im Rathaus Feldberger Seenlandschaft, Prenzlauer Straße 2 in 17258 Feldberger Seenlandschaft niedergelegt und kann dort während der Sprechzeiten eingesehen werden.

Artikel 2

„Inkrafttreten"

Diese Verordnung tritt am Tage nach ihrer öffentlichen Bekanntmachung in Kraft.

Neubrandenburg, 28. Jan. 2026

Thomas MüIler

Der Landrat

als untere Naturschutzbehörde