Titel Logo
Kiek Rin
Ausgabe 3/2024
Amtliche Bekanntmachungen
Zurück zur vorigen Seite
Zurück zur ersten Seite der aktuellen Ausgabe

Amtliche Bekanntmachungen

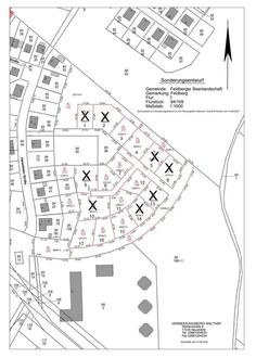
Parzellierung B-Plan Nr. 3a

Hiermit schreibt die Gemeinde Feldberger Seenlandschaft 3 Baugrundstücke im Baugebiet B-Plan Nr. 3a „Am Schmalen Luzin“ öffentlich zur Vergabe aus.

Die Möglichkeiten der Bebauung richten sich nach dem geltenden Bebauungsplan Nr. 3a „Am Schmalen Luzin“. Dieser ist auf der Internetseite der Gemeinde Feldberger Seenlandschaft unter https://gemeinde.feldberger-seenlandschaft.de/bauen-und-wohnen/bebauungsplaene/ einsehbar.

Die Ausschreibung umfasst folgende Parzellen des Baugebietes:

Parzelle 3

Größe: 554 m²

Parzelle 4

Größe: 693 m²

Parzelle 7

Größe: 482 m²

Parzelle 8

Größe: 572 m²

Parzelle 11

Größe: 566 m²

Parzelle 12

Größe: 550 m²

Parzelle 15

Größe: 662 m²

Parzelle 16

Größe: 609 m²

Parzelle 17

Größe: 741 m²

Die Ausschreibung der Baugrundstücke unterliegt folgenden Bedingungen:

  • Es werden 3 Baugrundstücke zu einem Kaufpreis in Höhe von 135,00 €/m² zzgl. der Vertragsdurchführungskosten verkauft.
  • Der Verkauf der Grundstücke erfolgt im erschlossenen Zustand. Derzeit befindet sich in dem Baugebiet eine Baustraße, die zu einem späteren Zeitpunkt fertiggestellt wird. Nach Abgabe des Kaufangebotes und Entscheidung in den politischen Gremien für die jeweiligen Käufer, besteht nach der notariellen Beurkundung des Kaufvertrages und der Entrichtung des vollständigen Kaufpreises die Möglichkeit, unverzüglich mit dem Bauvorhaben beginnen zu können.
  • Im Kaufvertrag wird zunächst ein pauschaler Betrag für die Erschließungs- und Vermessungskosten festgelegt. Nach Abschluss der vollständigen Erschließung (Straßenbau, Laternen, Bepflanzung etc.) erfolgt eine Endabrechnung über den Kaufpreis in Bezug auf die Grundstücksgröße und die darauf tatsächlich angefallenen anteiligen Erschließungs- und Vermessungskosten.
  • Ein Rechtsanspruch auf einen Kauf leitet sich aus der Teilnahme an der Ausschreibung nicht ab. Die Gemeindevertretung ist nicht verpflichtet, sich für eines der eingereichten Kaufanträge zu entscheiden. Aufwendungen werden nicht erstattet.
  • Im Kaufvertrag wird eine Bebauungsverpflichtung – 3 Jahre nach Eigentumsumschreibung und Baufertigstellung 6 Jahre nach Eigentumsumschreibung – mit Rückauflassungsvormerkung für die Gemeinde Feldberger Seenlandschaft bei Nichteinhaltung vereinbart.

Bei Interesse reichen Sie bitte schriftlich Ihren Kaufantrag ein. Freiwillige Angaben, wie Familienstand, Alter, Kinder, derzeitiger Wohnort, Beruf sind wünschenswert, aber nicht verpflichtend

Abgabe des Kaufantrages:

Der unterschriebene Kaufantrag ist in einem geschlossenen Umschlag mit der Aufschrift „Kaufantrag Baugebiet Am Schmalen Luzin“ bei der Gemeinde Feldberger Seenlandschaft einzureichen.

Anschrift:

Gemeinde Feldberger Seenlandschaft

z. Hd. Josephine Schramm

Prenzlauer Str. 2

17258 Feldberger Seenlandschaft

Andere als postalische Angebote sind ungültig.

Bei Fragen bezüglich der Grundstücke und des Kaufprozesses können Sie sich gern bei Frau Schramm (Email: schramm@feldberg.de; Tel.: 039831-25015) erkundigen.

Bei Fragen bezüglich der Möglichkeiten der Bebauung wenden Sie sich bitte an Frau Stein (Email: stein@feldberg.de; Tel.: 039831-25026).

Josephine Schramm

Liegenschaften